Przejdź do wyników wyszukiwania

Działki inwestycyjne na sprzedaż Bełchów Najwięcej bez pośredników

Średnia 137 zł/m² 2 oferty
Zobacz najwięcej aktualnych działek inwestycyjnych na sprzedaż z Bełchowa - najwięcej w Polsce bez pośredników.

1
Działka inwestycyjna Bełchów

859 000

9138

Do sprzedania działka inwestycyjna objęta planem zagospodarowania przestrzennego. Lokalizacja: Bełchów. W odległości około 3 km od węzła autostrady A-2 (węzeł Bełchów-Nieborów). 35 km do węzła A2/A1. Identyfikator działki: 100509_2.0004.189/1 KW: LD1O/00028777/5 Numer działki: 189/1 Pole powierzch...

Zobacz ogłoszenie
4
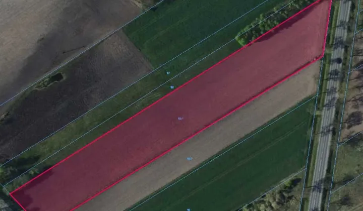
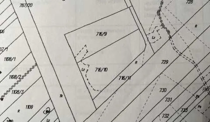
Działka inwestycyjna Bełchów

5 610 000

3,12 ha

Do sprzedania działki we wsi Bełchów gm. Nieborów nr 716/9 (1/5h), 716/10 (1,62h) o łącznej powierzchni 3,12h wraz z udziałami w drodze działki 716/11. Odległość od A2 – Autostrady Wolności około 4km. Wg wypis z Planu Zagospodarowania Przestrzennego z 22.08.2003 przeznaczenie E34 PB, PP, UR – tereny...

Zobacz ogłoszenie
Oferty z najbliższej okolicy do 10 km
1
Działka inwestycyjna Skierniewice Centrum, ul. Unii Europejskiej

1 808 040

9272

Osoba fizyczna sprzeda-Działkę zgodnie zgodnie z planem zagospodarowania przestrzennego przeznaczoną pod zabudowę produkcyjno-usługową razem z infrastrukturą techniczną.Wysokość zabudowy do 20 m, w strefie obniżonej zabudowy przy granicy działki do 12m,dachy płaskie.Zabudowa do 60% , powierzchnia bi...

Zobacz ogłoszenie
4
Działka inwestycyjna Skierniewice, ul. Rawska

350 000

1789

Witam Sprzedam działkę usługową o pow. 1789m2 na ul. Rawskiej w Skierniewicach, blisko pierwszego ronda. Wymiary działki to ok 27x66 Teren płaski. Media na sąsiadujących działkach.

Zobacz ogłoszenie
7
Działka inwestycyjna Słomków

100 000

6200

Sprzedam ładną działkę inwestycyjną pod Skierniewicami, do Warszawy 60 km. Działka w prostokącie około 30 na 200 metrów. Działka położona w malowniczej wsi Słomków oddalona od Skierniewic o 7 km i autostrady A2 o 8km. Do rzeczki 200 metrów do lasu może 600. Działka przy drodze asfaltowej, media w dr...

Zobacz ogłoszenie
2
Działka inwestycyjna Skierniewice, ul. Czerwona

5 000 000

4,06 ha

Doskonała działka inwestycyjna w granicach miasta Skierniewice, koniec nowej ulicy czerwonej. Ulica czerwona biegnie po przekątnej działki, jest 8 wjazdów na działkę. Działka ma studium: funkcja budowlana , produkcja nieuciążliwa handel Dziaka jest własnościa firmy wiec cena plus VAT Powierzchnia 40...

Zobacz ogłoszenie
9
Działka inwestycyjna Nieborów, ul. Spacerowa

323 640

3596

Witam, mam do zaoferowania działkę 556/5 o powierzchni 3276m2, oraz działkę nr 594o powierzchni 300m2 połączoną z 1DZ. nr 556/5 co uwidoczniłem na załączonej mapce poglądowej. Działki zlokalizowane są w NIEBOROWIE 1km od centrum miejscowości  , ulica SPACEROWA . Zdjęcia uwidaczniają dwie działki ra...

Zobacz ogłoszenie
Oferty spełniające kryteria do 20 km
16
Działka inwestycyjna Strzyboga

120 000

799

Kompleks działek budowlanych z WZ | Strzyboga | 798 m² i 799 m² | media | spokojna okolica Na sprzedaż dwie atrakcyjne działki budowlane położone w miejscowości Strzyboga, gmina Nowy Kawęczyn, w pobliżu drogi wojewódzkiej nr 707. Nieruchomości posiadają wydane Warunki Zabudowy pod zabudowę mieszkani...

Zobacz ogłoszenie
1
Działka inwestycyjna Budy Zaklasztorne, ul. Lipowa

200 000

2000

Działka pod inwestycje z dostępem do mediów. Położenie na obszarze otwartym w okolicy mały lasek, ale Park Bolimowski około 2 km.

Zobacz ogłoszenie
3
Działka inwestycyjna Miedniewice

2 740 000

1,36 ha

Do sprzedania działka inwestycyjna w Miedniewicach o powierzchni około 13600 m. Na terenie znajduje się murowany budynek gospodarczy oraz drewniane wiaty. Działka uzbrojona (światło, woda), w bardzo dobrej lokalizacji (około 4 km od strefy pod CPK). Aukcja grzecznościowa. Więcej informacji pod nu...

Zobacz ogłoszenie
2
Działka inwestycyjna Krępa

250 000

8700

Sprzedam działkę w miejscowości Krępa. Część działki z przeznaczeniem pod zabudowę mieszkaniową jednorodzinną z usługami. Pozostała część - tereny inwestycyjne. (Widoczny podział na załączonych zdjęciach). Więcej informacji pod numerem telefonu.

Zobacz ogłoszenie
6
Działka inwestycyjna Trzcianna

750 000

1,91 ha

Sprzedam działkę inwestycyjną znajdującą się w niedalekiej odległości od Skierniewic. • Działka o pow. 1,912 ha jest podzielona na dwie działki: 1 ha + 0,912 ha (co umożliwia podział na działki bez zgody RDOŚ). • Nieruchomość jest położona w spokojnej okolicy, przy drodze asfaltowej z dwóch stron. ...

Zobacz ogłoszenie
4
Działka inwestycyjna Niedźwiada

2 190 000

1,39 ha

Na sprzedaż działka inwestycyjna o powierzchni 1,39 ha położona w miejscowości Niedźwiada, gm. Łowicz (woj. łódzkie), bezpośrednio przy trasie DK92. LOKALIZACJA I PRZEZNACZENIE - W MPZP teren przeznaczony pod produkcję, usługi, magazyny, składy. - Działka bez uzbrojenia, zlokalizowana strategiczni...

Zobacz ogłoszenie
1
Działka inwestycyjna Goleńsko

300 000

8502

Sprzedam działkę inwestycyjno-budowlaną o powierzchni 8502 m2. - Nr działki: 487 - W miejscowości: Goleńsko, gmina Chąśno Więcej informacji pod nr tel.

Zobacz ogłoszenie
4
Działka inwestycyjna Kotulin

3 000 000

6,8 ha

Witam sprzedam Żwirownię z aktualną koncesją na wydobywanie. Żwirownia znajduję się w odległości 15 kilometrów od zjazdu z Autostrady A2 Łyszkowice-Brzeziny w Województwie Łódzkim. Na daną chwilę do wydobycia 1,2 miliona ton. Możliwość sprzedaży samych zasobów złoża. Powierzchnia Kopalni to 6.3 hekt...

Zobacz ogłoszenie
15
Działka inwestycyjna Goleńsko

3 500 000

1,5 ha

Sprzedam lub wynajmę świeżo wybudowaną bazę transportową w miejscowości Goleńsko obok Łowicza, przy drodze 584. - Hala o powierzchni 400 m², 2-kanałowa na 2 zestawy (kanały wykonane w technologii białej wanny, szczelne). - Do hali dobudowany budynek z zapleczem socjalnym (kuchnia, łazienka, toalet...

Zobacz ogłoszenie
7
Działka inwestycyjna Łowicz Górki

900 000

5800

Łowicz - Górki Róg Łęczyckiej i Młyńskiej Działka inwestycyjno-budowlana narożna Studnia i prąd na działce Media w obu narożnych ulicach

Zobacz ogłoszenie
7
Działka inwestycyjna Dębowa Góra

700 000

1,2 ha

Sprzedam działkę przemysłowo - usługową o powierzchni 1,20 ha. Działka posiada bezpośredni dostęp do asfaltowej drogi powiatowej w której dostępny jest między innymi gazociąg czy wodociąg. Szerokość działki - 44 m Długość wynosi 275 m Numer ewidencyjny działki - 363 obręb ewidencyjny - Dębowa Góra ....

Zobacz ogłoszenie
3
Działka inwestycyjna Łowicz, ul. Uchanka

850 000

6950

Oferta sprzedaży działki inwestycyjno budowlanej o pow. 6.950m2 w Łowiczu przy ul. Uchanka w obrębie Łowicka Wieś pomiędzy rzeką Uchanką, a ul. Prymasowską ( droga krajowa 14 Łowicz-Łódź. Działka ogrodzona. W sąsiedztwie prowadzona jest działalność przemysłowa. Według planu miejscowego zagospodarowa...

Zobacz ogłoszenie
1
Działka inwestycyjna Goleńsko Goleńsko Małe

500 000

1,03 ha

Sprzedam działkę o charakterze inwestycyjno-budowlanym w miejscowości Goleńsko (gm. Chąśno | pow. łowicki | woj. łódzkie) przy Drodze Wojewódzkiej 584 (ŁOWICZ-KIERNOZIA) o powierzchni 10295 m2

Zobacz ogłoszenie
7
Działka inwestycyjna Nowy Karolinów

900 000

6000

Sprzedam działkę inwestycyjno -przemysłową o powierzchni 6000m2,oznaczoną nr 6/3 zlokalizowaną bezpośrednio przy drodze wojewódzkiej nr 719 w miejscowości Nowy Karolinów ,pomiędzy Skierniewicami a Zyrardowem(centrum Polski). Dogodny dojazd do Łodzi i Warszawy, w pobliżu znajdują się wjazdy na autost...

Zobacz ogłoszenie
Oferty spełniające kryteria do 50 km
7
Działka inwestycyjna Łódź Górna, ul. Ekonomiczna

3 600 000

5997

OBIEKT PRODUKCYJNO-MAGAZYNOWY Z WYDANĄ WZ - ŁÓDŹ, DZIELNICA GÓRNA Działka komercyjna 5 997 m2 zabudowana halą produkcyjno-biurową o powierzchni 1 962,70 m2 PU, w przemysłowym sercu dzielnicy Górna. Pełne uzbrojenie, wydana Decyzja o Warunkach Zabudowy bezterminowa (sprzed reformy planistycznej z 16...

Zobacz ogłoszenie
2
Działka inwestycyjna Łódź Górna, ul. Ekonomiczna

2 650 000

3672

GRUNT GOTOWY POD INWESTYCJĘ - KOMPLET 3 PRZYLEGŁYCH DZIAŁEK - ŁÓDŹ, DZIELNICA GÓRNA Komplet trzech przylegających działek o łącznej powierzchni 3 672 m2, sprzedawanych jako jedna oferta inwestycyjna. Teren niezabudowany, ogrodzony, częściowo utwardzony - gotowy do natychmiastowego zagospodarowania b...

Zobacz ogłoszenie
8
Działka inwestycyjna Księża Wola

215 000

1,76 ha

Działka 17 627 m² | Księża Wola | część budowlana MRj + część rolna i leśna | spokojna okolica | 215 000 zł Wstęp - lokalizacja i przeznaczenie Na sprzedaż atrakcyjna nieruchomość gruntowa położona w miejscowości Księża Wola, gmina Rawa Mazowiecka, o łącznej powierzchni 17 627 m² (1,7627 ha). To ofe...

Zobacz ogłoszenie
9
Działka inwestycyjna Księża Wola

120 909

983

Kompleks działek budowlanych na sprzedaż | Księża Wola | gm. Rawa Mazowiecka | MPZP MRj | idealne pod dom lub inwestycję Wstęp - lokalizacja i przeznaczenie Na sprzedaż atrakcyjny kompleks działek położonych w miejscowości Księża Wola, w gminie Rawa Mazowiecka. Nieruchomości objęte są miejscowym pla...

Zobacz ogłoszenie
9
Działka inwestycyjna Suchodół

1 980 000

5100

Prezentujemy Państwu działkę na sprzedaż o powierzchni 5100 m² z gotowym zakładem produkcyjnym i biurem (pow. ok 653m2) położoną w miejscowości Suchodół, w gminie Tarczyn.  NIERUCHOMOŚĆ Nieruchomość objęta miejscowym planem zagospodarowania przestrzennego (MN/U), co daje szerokie możliwości zabudowy...

Zobacz ogłoszenie
8
Działka inwestycyjna Budy Zosine, ul. Armii Krajowej

895 000

3700

Na sprzedaż nowoczesny dom parterowy w konstrukcji szkieletowej, położony na dużej działce - idealny zarówno do zamieszkania, jak i jako inwestycja. Dom posiada funkcjonalny układ pomieszczeń: przestronny salon z otwartą kuchnią, trzy ustawne pokoje, łazienkę z wanną oraz praktyczną spiżarnię. Układ...

Zobacz ogłoszenie
6
Działka inwestycyjna Kopiska

278 000

1739

Działka budowlana 1739 m² - Kopiska | Warunki zabudowy | Droga asfaltowa | Media | Idealna inwestycja Na sprzedaż atrakcyjna działka budowlana o powierzchni 1739 m², położona w miejscowości Kopiska. Nieruchomość posiada wydane warunki zabudowy, co daje możliwość szybkiej realizacji inwestycji - zaró...

Zobacz ogłoszenie
12
Działka inwestycyjna Kopiska

160 000

1046

Atrakcyjna działka budowlana - Kopiska  1046m Na sprzedaż atrakcyjna działka budowlana położona w miejscowości Kopiska. Nieruchomość posiada wydane warunki zabudowy, co znacznie ułatwia rozpoczęcie inwestycji. Budowa domu jednorodzinnego warunki są wydane bezterminowo Działka usytuowana jest przy dr...

Zobacz ogłoszenie
6
Działka inwestycyjna Głuchówek

286 475

1637

Działka budowlano-usługowa MNU | 1637 m² | Głuchówek | Ogrodzona | Media na działce Na sprzedaż atrakcyjna działka budowlano-usługowa o powierzchni 1637 m², położona w miejscowości Głuchówek, gmina Rawa Mazowiecka, w spokojnej i zielonej okolicy, z bardzo dogodnym dojazdem do miasta. Nieruchomość ob...

Zobacz ogłoszenie
11
Działka inwestycyjna Głuchówek

350 000

4470

Na sprzedaż działka budowlano-rolna | Głuchówek | 4470 m² | MPZP MRj Na sprzedaż działka o numerze ewidencyjnym 53/2, położona w spokojnej i zielonej miejscowości Głuchówek. Nieruchomość posiada duży potencjał zabudowy oraz bardzo dobry dojazd - działka ma bezpośredni dostęp do drogi asfaltowej. To...

Zobacz ogłoszenie
11
Działka inwestycyjna Myszczyn, ul. Zaborowska

449 000

1219

Działka zabudowa mieszkaniowo-usługowa na sprzedaż 1219 m² Zapraszam do zapoznania się z ofertą nieruchomości, znajdującej się w miejscowości Myszczyn przy ulicy Zaborowskiej, w gminie Ożarów Mazowiecki. Działka znajduje się w pierwszej linii zabudowy Do działki zapewniony jest dojazd drogą wojewódz...

Zobacz ogłoszenie
7
Działka inwestycyjna Grzmiąca

165 000

3511

Na sprzedaż działka o powierzchni 3511mkw z MPZP pod zabudowę zagrodową z dopuszczeniem usług nieuciążliwych. Lokalizacja: woj.łódzkie, powiat brzeziński, gmina Brzeziny. Jest to wieś położona bezpośrednio na terenie Parku Krajobrazowego Wzniesień Łódzkich, na północny wschód od Łodzi. Odle...

Zobacz ogłoszenie
19
Działka inwestycyjna Mszczonów, ul. Czereśniowa

599 000

2559

Duża działka inwestycyjna w spokojnej okolicy - Mszczonów, ul. Czereśniowa Na sprzedaż pakiet trzech atrakcyjnych działek budowlanych, położonych w spokojnej, zielonej części Mszczonowa przy ul. Czereśniowej. Nieruchomość stanowi jedną księgę wieczystą, co czyni ją idealną propozycją zarówno dla in...

Zobacz ogłoszenie
20
Działka inwestycyjna Mszczonów, ul. Czereśniowa

239 900

983

Atrakcyjna działka w spokojnej okolicy - Mszczonów, ul. Czereśniowa Na sprzedaż atrakcyjne działki budowlane położone w spokojnej, zielonej części Mszczonowa przy ul. Czereśniowej. To idealna propozycja dla osób poszukujących miejsca pod dom jednorodzinny z szybkim dojazdem do Warszawy, a jednocześn...

Zobacz ogłoszenie
20
Działka inwestycyjna Mszczonów, ul. Czereśniowa

109 900

700

Sprzedam działkę pod zabudowę - Mszczonów, ul. Czereśniowa Na sprzedaż atrakcyjne działki budowlane położone w spokojnej, zielonej części Mszczonowa przy ul. Czereśniowej. To idealna propozycja dla osób poszukujących miejsca pod dom jednorodzinny z szybkim dojazdem do Warszawy, a jednocześnie w otoc...

Zobacz ogłoszenie
20
Działka inwestycyjna Mszczonów, ul. Czereśniowa

199 900

787

Działki budowlane na sprzedaż - Mszczonów, ul. Czereśniowa Na sprzedaż atrakcyjne działki budowlane położone w spokojnej, zielonej części Mszczonowa przy ul. Czereśniowej. To idealna propozycja dla osób poszukujących miejsca pod dom jednorodzinny z szybkim dojazdem do Warszawy, a jednocześnie w otoc...

Zobacz ogłoszenie
5
Działka inwestycyjna Feliksów, ul. Zajęcza

894 999

2750

Na sprzedaż wyjątkowa działka budowlana o powierzchni 2750 m², położona w malowniczej miejscowości Feliksów (gmina Leszno, powiat warszawski zachodni), blisko Warszawy jak i Kampinoskiego Parku Narodowego.  To idealna propozycja dla osób marzących o domu w otoczeniu natury - działka jest częściowo z...

Zobacz ogłoszenie
5
Działka inwestycyjna Rosanów

1 250 000

1,4 ha

Na sprzedaż duża działka inwestycyjna w Rosanowie - idealna pod rezydencję lub zabudowę deweloperską Oferujemy na sprzedaż wyjątkową działkę o powierzchni 13 971 m² w malowniczej lokalizacji Rosanów, tuż przy Zgierzu. Wymiary działki: Granica od ulicy 67m Długość działki  160 - 201 m Szerokość dział...

Zobacz ogłoszenie