Skierniewice Centrum
ul. Unii Europejskiej
działka inwestycyjna na sprzedaż Bez pośrednika

Działka inwestycyjna Skierniewice Centrum, ul. Unii Europejskiej
Cena
1 808 040
Powierzchnia
9272 m²
Cena za m²
195
Skierniewice Centrum · 1 808 040 zł

Ogłoszenie właściciela - bez pośredników

Działka inwestycyjna Skierniewice Centrum, ul. Unii Europejskiej. Zdjęcie 1
Działka inwestycyjna Skierniewice Centrum, ul. Unii Europejskiej. Zdjęcie 1

Bez pośrednika. Oszczędzasz 54 200 zł na prowizji pośrednika!

Osoba fizyczna sprzeda-Działkę zgodnie zgodnie z planem zagospodarowania przestrzennego przeznaczoną pod zabudowę produkcyjno-usługową razem z infrastrukturą techniczną.Wysokość zabudowy do 20 m, w strefie obniżonej zabudowy przy granicy działki do 12m,dachy płaskie.Zabudowa do 60% , powierzchnia biologicznie czynna 10%.

  • ul. Unii Europejskiej, Skierniewice Centrum
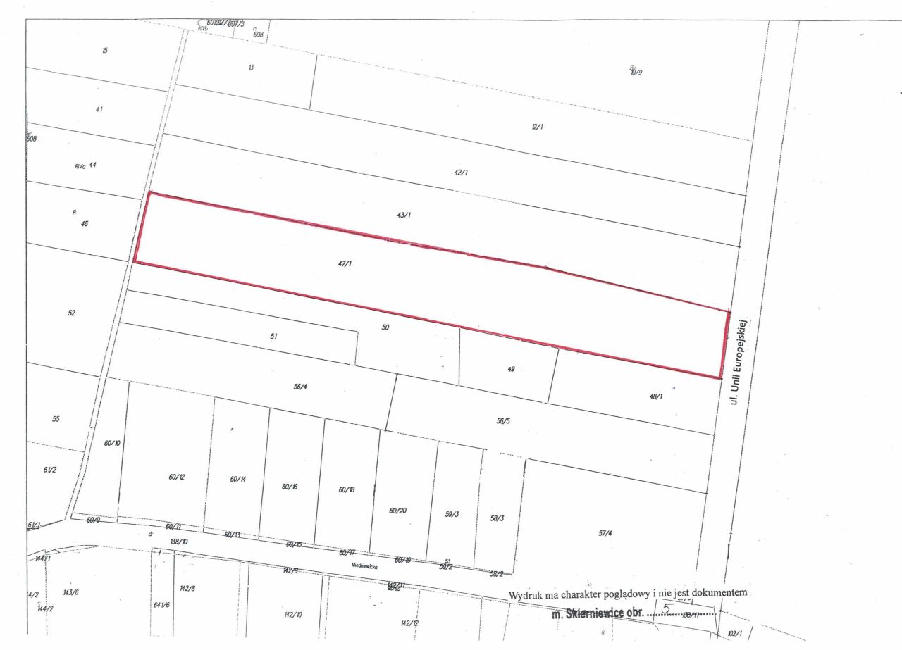
  • Na sprzedaż działka inwestycyjna o powierzchni 9272 m².
  • Numer ewidencyjny działki: 47/1
  • Wymiary działki: Szerokość ok 29m, długość ok 310m
  • Dojazd: asfalt, ogrodzenie: bez ogrodzenia
  • Media: woda nieprzyłączona, brak kanalizacji, prąd nieprzyłączony, gaz nieprzyłączony
  • Cena do negocjacji
  • Oferta dodana bezpośrednio przez właściciela ponad miesiąc temu i zaktualizowana ponad tydzień temu
Wróć
Największa baza ogłoszeń bez pośredników
Zarejestruj się, aby przejść dalej
lub

Kontynuując akceptujesz
Regulamin i Politykę prywatności

Masz już konto na adresowo.pl?
Zaloguj się

Mamy dla Ciebie kredyt hipoteczny z niską ratą! Chcesz poznać szczegóły?

Kontakt z VeloBank:
- ofertę, wniosek i decyzję o przyznaniu kredytu w procesie online,
- wsparcie eksperta hipotecznego na każdym kroku,
- kredyt do 90% wartości nieruchomości.





Wyrażam zgodę na przetwarzanie moich danych osobowych zawartych w formularzu na stronie adresowo.pl przez VeloBank S.A. z siedzibą w Warszawie przy Rondo Ignacego Daszyńskiego 2C (Bank), a tym samym na ich przetwarzanie, w tym profilowanie, przez Bank w celu marketingu produktów i usług Banku za pośrednictwem rozmowy telefonicznej i sms. Zgoda może być w każdej chwili wycofana. Cofnięcie zgody nie ma wpływu na zgodność z prawem przetwarzania danych przed jej wycofaniem.