Przejdź do wyników wyszukiwania

Działki budowlane na sprzedaż Cisie Najwięcej bez pośredników

Średnia 320 zł/m² 4 oferty
Zobacz najwięcej aktualnych działek budowlanych na sprzedaż z Cisia - najwięcej w Polsce bez pośredników.

2
Działka budowlana Cisie

625 000

1063

Na sprzedaż działka budowlana w miejscowości Cisie, gmina Halinów. Wymiar działki: 34x31m, 1063m2. Numer działki: 362/17. Ulica: Platynowa. Wszystkie media przyłączone: prąd, kanalizacja, woda, gaz. Rewelacyjnie skomunikowana z Warszawą: 2 km do węzła autostrady A2 oraz 800 m do stacji PKP. Okol...

Zobacz ogłoszenie
6
Działka budowlana Cisie

300 600

1002

Numer działki: 518. Położenie pomiędzy ulicami Główną, Uroczą i Dworcową. Działka jest zadrzewiona i zaciszna, ale blisko drogi asfaltowej, przystanku autobusowego, stacji kolejowej i drogi szybkiego ruchu do Warszawy. Wokół są inne działki i domy jednorodzinne. Ma różne możliwości komunikacyjne doj...

Zobacz ogłoszenie
3
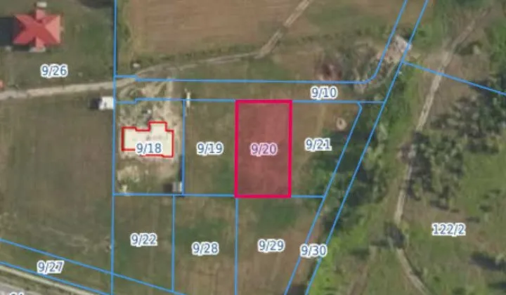
Działka budowlana Cisie, ul. Staropolska

610 200

2034

Działka budowlana 2034 m² - Cisie, gmina Halinów | Blisko PKP, szybki dojazd do Warszawy Lokalizacja: Cisie, ul. Staropolska, gmina Halinów, powiat miński, województwo mazowieckie Numery działek: 310/12 i 310/13 Powierzchnia: 2034 m² (dwie działki - sprzedawane razem lub oddzielnie) Przeznaczenie: ...

Zobacz ogłoszenie

Dodaj ogłoszenie za darmo

3 mln osób szuka z adresowo.pl

Dodaj ogłoszenie
5
Działka budowlana Cisie, ul. Środkowa

300 000

3300

Co Wam napisać? Sami sobie sprawdźcie wg adresu i numerów ewidencyjnych. Może tylko to, że obydwie są blisko stacji PKP Halinów lub stacji PKP Cisie. Do centrum Warszawy pociągiem niespełna poł godziny. Do węzła Konik samochodem około 4 km.. Obydwie położone na przeciw siebie przy ulicy Środkowej w ...

Zobacz ogłoszenie
Oferty z najbliższej okolicy do 10 km
11
Działka budowlana Michałówek

450 000

1020

WYJĄTKOWA DZIAŁKA BUDOWLANA | 1020 m? | MICHAŁÓWEK | PRZY LESIE | WYSOKA PRYWATNOŚĆ Prezentujemy unikalną ofertę sprzedaży działki budowlanej o powierzchni 1020 m?, położonej w prestiżowej i kameralnej części Michałówka, w otoczeniu zieleni oraz terenów objętych ochroną przyrodniczą. Nieruchomość us...

Zobacz ogłoszenie
8
Działka budowlana Żanęcin, ul. Prosta

438 800

2194

Doskonała działka budowlana w Żanęcinie Marzysz o własnym domu z dala od zgiełku miasta, a jednocześnie blisko jego serca? Ta działka budowlana, położona w malowniczym Żanęcinie, w gminie Wiązowna spełnia te kryteria. **Parametry:** Przeznaczenie: Zabudowa jednorodzinna - stwórz własną przestrzeń we...

Zobacz ogłoszenie
18
Działka budowlana Długa Kościelna, ul. Pigwy

999 000

6868

Na sprzedaż atrakcyjna działka budowlana o dużym potencjale inwestycyjnym, położona w spokojnej i rozwijającej się miejscowości Długa Kościelna, w gminie Halinów. Nieruchomość o imponującej powierzchni 6868 m² objęta jest miejscowym planem zagospodarowania przestrzennego, co zapewnia przejrzyste war...

Zobacz ogłoszenie
7
Działka budowlana Ruda

200 000

797

Działka budowlana pow. 797 m2 cena: 200.000 PLN Do sprzedania atrakcyjna działka budowlana położona w miejscowości Ruda, gm. Dębe Wielkie z W.Z, pow. 797 m2, CENA 200.000 PLN (cena do negocjacji) Działka jest w kształcie prostokąta, dojazd do działki drogą wewnętrzną (współwłasno...

Zobacz ogłoszenie
9
Działka budowlana Olesin, ul. Długa

199 000

995

Oferujemy do sprzedaży działkę budowlaną położoną w miejscowości Olesin, gmina Dębe Wielkie, przy ulicy Długiej. Działka kształem jest zbliżona do kwadratu o wymiarach ok 33 x 30 m. Dostępne media prąd, woda oraz światłowód - bezpośrednio przy działce. W sąsiedztwie nowa zabudowa jednorodzinna or...

Zobacz ogłoszenie
8
Działka budowlana Wiązowna

157 920

1128

DZIAŁKA BUDOWLANA W RZAKCIE/WIĄZOWNA Grunt o pow. 1128 mkw. z wydaną decyzją o Warunkach Zabudowy na jednorodzinny budynek mieszkalny przy ul. Rolniczej w miejscowości Rzakta/ gm. Wiązowna/ pow. Otwock/woj. mazowieckie. Rzakta położona jest w południowo-wschodniej części gminy Wiązowna. Z ...

Zobacz ogłoszenie
10
Działka budowlana Malcanów, ul. Kosa

725 000

2086

OPIS Na sprzedaż wyjątkowa działka budowlana o powierzchni 2086 m², położona w zielonej części miejscowości Malcanów (gmina Wiązowna). Nieruchomość objęta warunkami zabudowy na dom jednorodzinny – idealna pod budowę rezydencji w otoczeniu lasu i ciszy, z szybkim dojazdem do centrum Warszawy. ATUTY ...

Zobacz ogłoszenie
6
Działka budowlana Sulejówek

4 980 000

1,16 ha

Sulejówek ( południowa strona torów). Plan MN na osiedle bliźniaków. Dojazd asfaltem, wszystkie media przy działce. Powierzchnia ponad 11000 m2 w wymiarze 38,5 m / ok. 270 m. Możliwa zabudowa mieszkaniowa jednorodzinna, budynki wolnostojące lub bliźniacze. Na osiedle 10-13 bliźniaków...

Zobacz ogłoszenie
3
Działka budowlana Kąck

220 000

1499

Działka/ki położone są 20km od Warszawy (A2 6km) w bardzo malowniczym miejscu w sąsiedztwie lasu i wody (kąpielisko Kąck, obszar Natura 2000) w miejscowości Kąck, gmina Wiązowna, na lekkim wzgórku, porośnięte są samosiewem sosnowym, mają dostęp bezpośredni do drogi gminnej. Wszystkie działki są p...

Zobacz ogłoszenie
9
Działka budowlana Kąck, ul. Leśna

281 250

1125

Działka z nowego podziału z wydanymi warunkami zabudowy - budynkiem mieszkalnym jednorodzinnym wolnostojącym. Dojazd do działki asfaltowymi drogami a ostatnie 150m szutrową drogą gminną i wewnętrzną drogą szerokości 5m. W bezpośrednim sąsiedztwie dwa istniejące zabudowania całoroczne oraz nowopowsta...

Zobacz ogłoszenie
1
Działka budowlana Michałówek

765 000

5100

Na sprzedaż duża piękna działka w miejscowości Michałówek. Gmina Wiązowna Działka jest zadrzewiona, porośnięta samosiejkami. Duża działka w drugiej linii zabudowy,oddalona około 150 metrów od drogi serwisowej. Działka stanowi teren pod zabudowę, ma zapewniony dojazd do drogi publicznej, a jednocześn...

Zobacz ogłoszenie
1
Działka budowlana Dębe Wielkie

158 000

604

Na sprzedaż działka na obrzeżach miejscowości Dębe Wielkie. Ulica Pustelnicka -Majowa. Działka kształt zbliżony do kwadratu, idealna pod budowę domu jednorodzinnego. Powierzchnia działki 600m2- wymiary 24,5m2 x 24,5m2. Po sąsiedzku zabudowa z budynkami jednorodzinnymi. Działka sąsiaduje z jednej str...

Zobacz ogłoszenie
2
Działka budowlana Dębe Wielkie, ul. Powstańców

420 000

1521

Na sprzedaż duża piękna działka w miejscowości Dębe Wielkie. Ulica Powstańców Działka dłuższym bokiem przylega do drogi- idealna pod budowę domu jednorodzinnego lub bliźniaka. W okolicy budynki jednorodzinne oraz budynki w zabudowie bliźniaczej. Działka ma zapewniony dojazd do drogi publicznej, w ul...

Zobacz ogłoszenie
6
Działka budowlana Okuniew

699 000

2469

Działka budowlana 2469 m. w Okuniewie, nad rzeką Długą Dojazd do działki drogą utwardzoną. Teren działki płaski, kształt prostokąta W drodze przy działce prąd i woda. Kanalizacja i gaz w drodze głównej - ok 100m Część działki przy rzeczce objęta jest MPZP o symbolu ZN - tereny zieleni o charakterze...

Zobacz ogłoszenie
7
Działka budowlana Mrowiska

335 000

1067

Działka budowlana MPZP 1.067 m2 cena: 335.000 PLN Do sprzedania atrakcyjna działka budowlana położona w Mrowiskach z Miejscowym Planem Zagospodarowania Przestrzennego w gminie Halinów o powierzchni 1.067 M2, CENA 335.000 PLN Działka jest w kształcie prostokąta o wymiarach 35m ...

Zobacz ogłoszenie
6
Działka budowlana Zakręt

749 000

1040

INFORMACJE pod nr [numer]. MB Nieruchomości oferuje DZIAŁKĘ BUDOWLANĄ Z AKTUALNYMI WARUNKAMI ZABUDOWY Z 2024 R o powierzchni 1040 m2 pod bliżniak lub dom jednorodzinny położona na skraju Warszawy w miejscowości Zakręt gmina Wiązowna. Działka położona na urokliwym osiedlu pośród sosn...

Zobacz ogłoszenie
7
Działka budowlana Duchnów

650 000

5954

Działka dla dewelopera. Wykonany wstępny projekt kameralnego osiedla - osiem domów (cztery bliźniaki połączone garażami). 3748 m2 to działka przeznaczona na budowę domów, 2206 m2 stanowi działka będąca drogą dojazdową o szerokości 12m. Atrakcyjna, zielona okolica. W sąsiedztwie nowopowstające osi...

Zobacz ogłoszenie
6
Działka budowlana Stary Konik

450 425

1075

Działki budowlane, gmina Halinów - warunki zabudowy i bliskość Warszawy! Na sprzedaż atrakcyjne działki budowlane, położone  kilka minut od Halinowa i z wygodnym dojazdem do Warszawy. Dostępne tereny objęte są miejscowym planem zagospodarowania przestrzennego, co ułatwia proces budowlany. Powierzch...

Zobacz ogłoszenie
5
Działka budowlana Wiązowna

395 000

1330

Wiązowna - Idealne miejsce dla ludzi aktywnych blisko centrum Warszawy Prezentujemy państwu działkę o powierzchni około 1300m2 zlokalizowaną w miejscowości Wiązowna przy ul. Altany Działka:  Jest to zespół działek stanowiących w przyszłości mini osiedle, składające się z  gruntów , częściowo już zab...

Zobacz ogłoszenie
8
Działka budowlana Duchnów

1 535 000

5183

Na sprzedaż działka budowlana położona w miejscowości Duchnów, gmina Wiązowna ok 40 min od centrum Warszawy Na sprzedaż działka budowlana o powierzchni 5183 m?, położona w spokojnej miejscowości Duchnów, w gminie Wiązowna, około 40 minut od centrum Warszawy. Działka ma kształt prostokąta (ok. 90 ...

Zobacz ogłoszenie
12
Działka budowlana Wiązowna, ul. Projektowana

299 000

1899

Na sprzedaż działka - Wiązowna, 1899 m², spokojna okolica Na sprzedaż atrakcyjna działka budowlana o powierzchni 1899 m² położona w Wiązownej - w cichej, zielonej i spokojnej okolicy, idealnej dla osób ceniących komfort i bliskość natury, a jednocześnie szybki dojazd do Warszawy. - Wymiary działki: ...

Zobacz ogłoszenie
21
Działka budowlana Stary Konik

1 620 000

5811

Działka inwestycyjna pod inwestycję objęta MPZP o powierzchni 5811 m kw., położona w Stary Konik gm. Halinów. Oferowana działka budowlana znajduje się w rozwojowej części gminy Halinów. Parametry: - wymiary: 34 x 171 m - powierzchnia: 5811 m kw. - działka w pierwszej linii zabudowy - teren płaski ...

Zobacz ogłoszenie
19
Działka budowlana Kąck

250 000

1140

W sprzedaży 30  działek budowlanych o powierzchni pomiędzy 570 a 1200 m2.  **Opis:** Zapraszamy do zapoznania się z ofertą sprzedaży działki budowlanej położonej w miejscowości Kąck w gminie Wiązowna. Ta działka jest doskonałą inwestycją dla klientów poszukujących ciszy i spokoju a zarazem możliwośc...

Zobacz ogłoszenie
4
Działka budowlana Budziska

350 000

1293

Na sprzedaż ? działka budowlana 1293 m?, Halinów Budziska Na sprzedaż atrakcyjna działka budowlana o powierzchni 1293 m?, położona w spokojnej, zielonej okolicy w miejscowości Budziska, gmina Halinów. ? Lokalizacja: Działka usytuowana jest w drugiej linii zabudowy, co zapewnia większą prywatność i ...

Zobacz ogłoszenie
11
Działka budowlana Sulejówek Ratajewo

799 000

1351

Zadrzewiona, cicha, pięknie usytułowana działka w Sulejówku, 1351m2 ( 36,5 x 37m). Przeznaczenie: pod zabudowę jednorodzinną. Dostęp do działki zagwarantowany poprzez wewnętrzną drogę dojazdową ( ok 150m do asfaltu ) Wszystkie media znajdują się w ul - ok 150m W niedalekiej odległości przystanek ...

Zobacz ogłoszenie
21
Działka budowlana Kąck

89 000

608

Zapraszamy do zapoznania się z ofertą sprzedaży działki budowlanej położonej w miejscowości Kąck, w gminie Wiązowna. To atrakcyjna propozycja dla osób poszukujących spokoju, bliskości natury oraz możliwości realizacji własnego domu. Lokalizacja: Działka znajduje się w cichej, zielonej okolicy, w oto...

Zobacz ogłoszenie
17
Działka budowlana Żanęcin, ul. Gościniec

330 000

1486

W sprzedaży działka budowlana o łącznej pow. 1486 m² usytuowana przy drodze gminnej. Dopuszczalna zabudowa bliźniacza. Działka została oczyszczona z samosiejek i małych drzew. Zostały tylko średnie i większe drzewa, które dodają naturalny charakter terenowi. **Opis:** Zapraszamy do zapoznania się z ...

Zobacz ogłoszenie
14
Działka budowlana Żanęcin, ul. Gościniec

1 200 000

5566

W sprzedaży 4 działki budowlane o łącznej pow. 5566 m². przy drodze gminnej. Z uzyskanymi warunkami zabudowy na 8 lokali w zabudowie bliźniaczej. **Opis:** Zapraszamy do zapoznania się z ofertą sprzedaży działek budowlanych położonych w miejscowości Żanęcin w gminie Wiązowna. Działki są doskonałą in...

Zobacz ogłoszenie
11
Działka budowlana Budziska

389 000

1084

BS Partners Nieruchomości prezentuje na sprzedaż działkę budowlaną o powierzchni 1084m2 w Budziskach gmina Halinów. Działka znajduje się przy terenach leśnych w sąsiedztwie domów jednorodzinnych. Nieruchomość jest idealna dla osób chcących zamieszkać blisko natury w cichej i spokojnej okolicy. W odl...

Zobacz ogłoszenie
21
Działka budowlana Kąck

180 000

854

W sprzedaży 25 działek budowlanych o powierzchni od 570 m2.  **Opis:** Zapraszamy do zapoznania się z ofertą sprzedaży działki budowlanej położonej w miejscowości Kąck w gminie Wiązowna. Ta działka jest doskonałą inwestycją dla klientów poszukujących ciszy i spokoju a zarazem możliwości zabudowy. *...

Zobacz ogłoszenie
21
Działka budowlana Kąck

125 400

570

W sprzedaży 30 działek budowlanych o powierzchni od 570 m2.  **Opis:** Zapraszamy do zapoznania się z ofertą sprzedaży działki budowlanej położonej w miejscowości Kąck w gminie Wiązowna. Ta działka jest doskonałą inwestycją dla klientów poszukujących ciszy i spokoju a zarazem możliwości zabudowy. *...

Zobacz ogłoszenie
8
Działka budowlana Kazimierów, ul. Różana

395 000

1389

Opis nieruchomości: Na sprzedaż atrakcyjna działka budowlana o powierzchni 1389 m², położona w spokojnej i dynamicznie rozwijającej się miejscowości Kazimierów (gmina Halinów). To idealna propozycja dla osób szukających miejsca pod budowę domu jednorodzinnego z szybkim dojazdem do Warszawy lub jako ...

Zobacz ogłoszenie
8
Działka budowlana Krubki-Górki

329 000

2568

Na sprzedaż trzy atrakcyjne działki o powierzchni ok. 2568 m² każda, położone w miejscowości Krubki-Górki (gmina Poświętne), w spokojnej i rozwijającej się okolicy, ok. 30-35 km od Warszawy. Do wyboru działki: 217/2 217/3 217/4 Działki stanowią część kameralnego podziału - tylko kilka nieruchomośc...

Zobacz ogłoszenie
4
Działka budowlana Dębe Wielkie, ul. Polna

322 000

1023

Na sprzedaż atrakcyjna działka budowlana o powierzchni 1023 m², położona w miejscowości Dębe Wielkie przy ulicy Polnej. W spokojnej i rozwijającej się okolicy, idealnej pod budowę domu jednorodzinnego. Najważniejsze informacje: • działka objęta MPZP - zabudowa jednorodzinna • woda w drodze • prąd ...

Zobacz ogłoszenie
1
Działka budowlana Wielgolas Brzeziński, ul. Kaczeńca

230 000

1047

Działka budowlana (objęta MPZP) w Miejscowości Wielgolas Brzeziński ul. Kaczeńca (Gmina Halinów). W ulicy Szafirka woda, gaz, prąd. Najważniejsze parametry działki: Powierzchnia: 1047 m² Numer działki: 16/9 (id:141207_5.0020.16/9) Kształt: Ustawny prostokąt o wymiarach ok. 27,5m x 38m Dojazd: B...

Zobacz ogłoszenie