Ogłoszenie usunięte

Działka na sprzedaż
ul. Graniczna Wrocław Fabryczna

Działka budowlana Wrocław Fabryczna, ul. Graniczna. Zdjęcie 1

Działka na sprzedaż Wrocław Fabryczna ul. Graniczna

-
-
1 403

Właściciel powierzył sprzedaż nieruchomości pośrednikowi. Możesz zadzwonić lub napisać do agenta za darmo.

Działka budowlana Wrocław okolice ul. Granicznej.

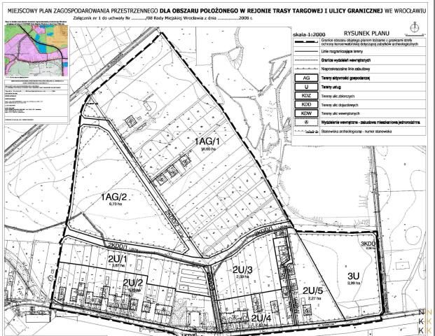
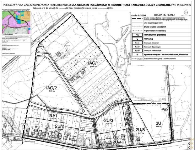
Działka o pow. 1403 mkw zgodnie z zapisami MPZP- symbol planu AG.
Możliwość zagospodarowania:
-handel detaliczny mało powierzchniowy,
- gastronomia, poradnie medyczne, pracownie medyczne, obsługa pojazdów, naprawa pojazdów, - aktywność gospodarcza,- handel detaliczny wielkopowierzchniowy B,
- obiekty wystawienniczo-targowe,
- produkcja,
- magazyny i handel hurtowy;
- obiekty kongresowe i konferencyjne, obiekty lecznictwa, obiekty kształcenia dodatkowego, obiekty naukowe i badawcze,

W ofercie posiadamy dwie działki z możliwością połączenia o łącznej powierzchni 2806 m2.

Teren nieruchomości uzbrojony jest w sieć elektryczną.
Dojazd do działek drogą asfaltową oraz szutrową.

Cena 250 zł/ netto/ m2.
Obligatoryjny zakup udziału w drodze dojazdowej koszt około 30 tys. zł/ netto.
Doskonała lokalizacja:
-Port Lotniczy Wrocław - 3 km
-Autostradowa obwodnica Wrocławia - 1,1 km

Działka w bezpośrednim sąsiedztwie łącznika Osi Inkubacji na Muchoborze Wielkim pomiędzy ulicą Graniczną a Rakietową. Docelowo Oś Inkubacji ma połączyć ul. Średzką z Bielanami Wrocławskimi a jej częścią będzie obwodnica Leśnicy.

Niniejsza oferta nie stanowi oferty w rozumieniu art.66 par 1 Kodeksu Cywilnego, a dane w niej zawarte mają jedynie charakter informacyjny i mogą ulec zmianie.

Treść niniejszego ogłoszenia nie stanowi oferty handlowej w rozumieniu Kodeksu Cywilnego.

  • ul. Graniczna, Wrocław Fabryczna  
  • Na sprzedaż działka budowlana o powierzchni 1 403 m²  
  • Dojazd utwardzony
  • Ogrodzenie siatka
  • Ogłoszenie biura nieruchomości  

Aktualne działki na sprzedaż

6
Działka budowlana Wrocław Kuźniki, ul. Rewalska

399 000

399

Do sprzedania działka na ulicy Rewalskiej. Brak MPZP, w studium Zabudowa jednorodzinna ( dom wolnostojący, bliźniak lub szeregówka). Cena 1000zl/m2. Działka do wydzielenia. Bez pośredników!!

Zobacz ogłoszenie
15
Działka budowlana Wrocław Strachocin, ul. Rolnicza

459 000

595

Na sprzedaż działka budowlana o powierzchni 595 m², położona we Wrocławiu - Strachocin, przy ul. Rolniczej. - Druga linia zabudowy - cisza i spokój. - Ostatnia działka przy drodze prywatnej - za nią tylko pole i las. - Stan prawny - planowanie: brak MPZP, wydane Warunki Zabudowy - możliwość szybkieg...

Zobacz ogłoszenie
2
Działka budowlana Wrocław Stabłowice, ul. Fioletowa

360 000

474

Witam, Do sprzedania działka o powierzchni 474m2 w zabudowie szeregowej w spokojnej dzielnicy Stabłowice we Wrocławiu z bliskim wyjazdem do autostrady. W pobliżu znajduje się: - szkoła podstawowa, - przedszkole, - sklep, - apteka, - podstawowa opieka medyczna, - szpital, - tramwaj i autobus, który...

Zobacz ogłoszenie
3
Działka budowlana Wrocław Oporów, al. Piastów

399 000

580

Działka na Starym Oporowie, w części pod ochroną konserwatora. Graniczy z aleją parkową. Działka położona jest w drugiej linii zabudowy. Na działce garaż murowany 25m2 oraz malutki budynek gospodarczy (winnica). Działka powstała z podziału działki większej, gdzie do jednej części willi dwumieszkani...

Zobacz ogłoszenie
3
Działka budowlana Wrocław Ratyń, ul. Trzmielowicka

zapytaj

1,45 ha

Wrocław Ratyń .Atrakcyjna działka w północnozachodniej części Wrocławia. Działka nr 37/5, obręb Ratyń. Powierzchnia działki 1,4527 ha. Sieć elektroenrgetyczna , sieć gazowa, woda i kanalizacja na działce, w miejscu planowanej drogi. Bardzo dogodny dojazd trasą szybkiego ruchu nr 94 następnie Autostr...

Zobacz ogłoszenie