Działka na sprzedaż bez pośredników
ul. Piłsudskiego Wołomin Lipiny B

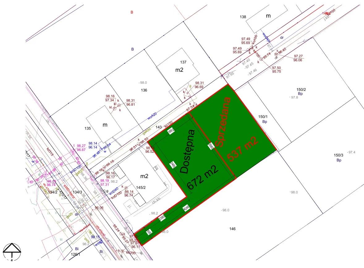
Działka budowlana Wołomin Lipiny B, ul. Piłsudskiego. Zdjęcie 1

Działka na sprzedaż bez pośredników Wołomin Lipiny B ul. Piłsudskiego

629 999
937 zł/m²
672
Wołomin Lipiny B, Piłsudskiego - lokalizacja przybliżona
Bezpośrednio od właściciela

Jeśli nie potrzebujesz pośrednika, zaoszczędzisz około 18 900 zł. Potrzebujesz wsparcia? Skorzystaj z pomocy agenta.

Piękna działka położona w spokojnym miejscu, w II lini zabudowy, w otoczeniu niskiej zabudowy jednorodzinnej. Pomimo bliskiej lokalizacji stacji PKP działka jest cicha i usytuowana poza strefa potencjalnych uciążliwości ruchu kolejowego.

Dojazd drogą asfaltową od ul. Pilsudskiego (obok pięknego, drewnianego, zabytkowego budynku przu ul. Piłsudskiego 8).

Piękne drzewa na działce.

Pełna infrastruktura miejska:
-stacja PKP - 150 metrów pieszo - Dojazd do Dworca Wileńskiego w 19 minut!
-sklepy, szkoły, przedszkola, kościół w zasiegu kilku minutowego spaceru
Przedszkole nr 9 im. Jasia i Małgosi - 100 metrów (1 minuta pieszo),
Szkoła Podstawowa nr 3 - 550 metrów (7 minut pieszo)
Zespół Szkół Ekonomicznych - 300 metrów (4 minuty pieszo)
Liceum Ogólnokształcące - 650 metrów (9 minut pieszo)

Parametry działki:
-nr działki 145/1, obręb 20, Wołomin
-działka z MPZP z przeznaczeniem na zabudowę jednorodzinnę, bliźniaczą lub usługową,
-kształt: regularny prostokąt z drogą dojazdową szerokości 5 metrów,
-dostęp do drogi z dwóch stron : od ul. Piłsudskiego i Nowosławkowskiej,
-wszystkie media dostępne z dwóch stron: woda, kanalizacja, prąd, gaz,
-ogrodzenie częściowe/do wykonania według potrzeb
-działka graniczy od zachodu z piękną drewnianą, zabytkową kamienicą, od północy oddzielona jest od sąsiadów pasem wysokich drew, natomiast bezpośrednio przylegające działki od strony wschodniej i południowej są niezabudowane
-pełna własność z księgą wieczystą bez obciążeń

Możliwa szybka budowa:

-działka pusta, bez budynków do rozbiórki, wyczyczona z krzaków i samosiejek

Sprzedaż bezpośrednia, bez dodatkowych opłat dla agencji.

Zapraszam do kontaktu i do oglądania działki.

  • ul. Piłsudskiego, Wołomin Lipiny B, powiat wołomiński  
  • Na sprzedaż działka budowlana o powierzchni 672 m²  
  • Numer ewidencyjny działki 145/1
  • Dojazd asfalt
  • Ogrodzenie siatka
  • Media woda, kanalizacja, prąd, gaz
  • Oferta bezpośrednio od właściciela dodana ponad miesiąc temu
Ta nieruchomość może być Twoja od.. sprawdź
126000 zł (20%) Okres spłaty: 30 lat

Podobne działki na sprzedaż

6
Działka budowlana Wołomin

557 700

858

Przedmiotem sprzedaży jest działka o powierzchni 858 m2 o wymiarach 24 x 46 m Działka położona przy drodze asfaltowej i oświetlonej jest ogrodzona siatką Nieruchomość znajduje się na obszarze oznaczonym w aktualnie obowiązującym miejscowym planie zagospodarowania przestrzennego symbolem MNU - tereny...

Zobacz ogłoszenie
5
Działka budowlana Wołomin Mironowe Górki

634 250

2115

Przedmiotem sprzedaży jest działka o powierzchni 2115 m 2 o szerokości 23 m , dojazd do działki droga gminną Dla tej działki są wydane warunki zabudowy polegające na budowę jednego domu lub dwóch domów na działce Media w ulicy Prąd ,gaz w odległości ok 200m W studium zagospodarowania przestrzenneg...

Zobacz ogłoszenie
7
Działka budowlana Wołomin, ul. Widok

400 000

496

WYŁĄCZNIE W NIERUCHOMOŚCI ROSIŃSCY Oferujemy do sprzedaży działkę budowlaną położoną w centrum Wołomina przy ul. Widok o powierzchni 496 m2 w cichej, spokojnej okolicy w zabudowie domów jednorodzinnych. Na działce znajduje się budynek o powierzchni ok. 60 m2 do rozbiórki lub kapitalnego remontu. Do...

Zobacz ogłoszenie
8
Działka budowlana Wołomin, ul. Duczkowska

522 000

870

Na sprzedaż atrakcyjna działka budowlana o powierzchni 870 m2 , położona w Wołominie przy ul. Duczkowskiej. Nieruchomość posiada warunki zabudowy oraz doprowadzone zostały do działki woda i kanalizacja. Dodatkowym atutem jest nowo położony asfalt , który zapewnia wygodny i estetyczny dojazd. To osta...

Zobacz ogłoszenie
3
Działka budowlana Wołomin, ul. Kresowa

400 000

624

Witam, Sprzedam działkę budowlaną 624. Na pierwszym zdjęciu są to odpowiednio działki o nr: 299/26 oraz 300/14. Droga z dwóch stron posesji. Pozdrawiam.

Zobacz ogłoszenie
4
Działka budowlana Wołomin Lipiny B

546 000

700

Na sprzedaż działka budowlana o powierzchni 700 m, położona w spokojnej, rozwijającej się okolicy zabudowy jednorodzinnej. Działka objęta Miejscowym Planem Zagospodarowania Przestrzennego, oznaczenie MN teren zabudowy mieszkaniowej jednorodzinnej, co umożliwia szybkie rozpoczęcie inwestycji bez kon...

Zobacz ogłoszenie