Ogłoszenie usunięte

Kraków Skotniki
ul. Spacerowa
działka budowlana na sprzedaż

Kraków Skotniki · 460 000 zł
Działka budowlana Kraków Skotniki, ul. Spacerowa. Zdjęcie 1
Działka budowlana Kraków Skotniki, ul. Spacerowa. Zdjęcie 2
Działka budowlana Kraków Skotniki, ul. Spacerowa. Zdjęcie 3
Działka budowlana Kraków Skotniki, ul. Spacerowa. Zdjęcie 1
Działka budowlana Kraków Skotniki, ul. Spacerowa. Zdjęcie 2
Działka budowlana Kraków Skotniki, ul. Spacerowa. Zdjęcie 3

Działka budowlana na sprzedaż Skotniki, Kraków
OFERTA BEZ PROWIZJI DLA KUPUJĄCEGO!
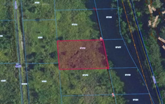
Leach & Lang prezentuje na sprzedaż działkę budowlaną o powierzchni 629 m (6,29 ar), położoną w południowo-zachodniej części Krakowa Dzielnica VIII Dębniki (Skotniki), w rejonie ul. Spacerowej.
Najważniejsze atuty:
-Regularny kształt działki (zbliżony do prostokąta) szerokość ok. 19,5 m, długość 31 - 33,5 m
-Przeznaczenie: zabudowa mieszkaniowa jednorodzinna
-Media: prąd na działce, woda i gaz w drodze
-Obowiązujący MPZP Skotnicka Działowskiego teren oznaczony jako MN. Warunki zabudowy wg planu:
maksymalna wysokość zabudowy: 13 m
dachy: dwu- lub wielospadowe
min. 70% powierzchni biologicznie czynnej
max. 25% powierzchni zabudowy
Lokalizacja:
Działka graniczy:
-od północy i zachodu z terenami niezabudowanymi i ul. Skotnicką
-od wschodu z wyjątkowym zespołem parkowo-szpitalnym w Kobierzynie (pow. 52 ha)
-od południa z nową zabudową jednorodzinną, w dalszej odległości przebiega autostrada A4
Komunikacja i infrastruktura:
Szybki dojazd do centrum miasta: ul. Zakopiańska, Zawiła, Kobierzyńska, Bobrzyńskiego, Babińskiego. Wygodny dostęp do autostrady A4: ul. Skotnicka, Działowskiego. Komunikacja miejska: autobusy MPK (linie 166, 175) oraz przewoźnicy prywatni. Planowana nowa linia tramwajowa (wzdłuż projektowanej ul. Humboldta) duży potencjał lokalizacji
Otoczenie:
W sąsiedztwie dominuje nowa zabudowa jednorodzinna. W okolicy znajdują się szkoły podstawowe, przedszkola, basen, boiska sportowe, centrum fitness, zabytkowy fort Twierdzy Kraków oraz wspomniany zespół parkowo-szpitalny.
Cena: 460 000 PLN
Dostępne są również inne działki budowlane w tej okolicy zapraszamy do kontaktu po więcej szczegółów.
Zapraszamy na prezentację!


Niniejsze ogłoszenie jest wyłącznie informacją handlową i nie stanowi oferty w rozumieniu art. 66 Kodeksu Cywilnego.

Więcej podobnych ofert na stronie internetowej [www] - zapraszamy!

  • ul. Spacerowa, Kraków Skotniki
  • Na sprzedaż działka budowlana o powierzchni 629 m².
  • Długość: 32 m, szerokość: 19 m
  • Dojazd: utwardzony, ogrodzenie: bez ogrodzenia
  • Ogłoszenie biura nieruchomości  Właściciel postanowił powierzyć ofertę agencji nieruchomości.