Działka na sprzedaż
ul. Olimpijska Gdańsk Łostowice

Działka budowlana Gdańsk Łostowice, ul. Olimpijska. Zdjęcie 1
Działka budowlana Gdańsk Łostowice, ul. Olimpijska. Zdjęcie 2
Działka budowlana Gdańsk Łostowice, ul. Olimpijska. Zdjęcie 3
Działka budowlana Gdańsk Łostowice, ul. Olimpijska. Zdjęcie 4
Działka budowlana Gdańsk Łostowice, ul. Olimpijska. Zdjęcie 5
Działka budowlana Gdańsk Łostowice, ul. Olimpijska. Zdjęcie 6
Działka budowlana Gdańsk Łostowice, ul. Olimpijska. Zdjęcie 7
Działka budowlana Gdańsk Łostowice, ul. Olimpijska. Zdjęcie 8
Działka budowlana Gdańsk Łostowice, ul. Olimpijska. Zdjęcie 9
Działka budowlana Gdańsk Łostowice, ul. Olimpijska. Zdjęcie 10

Działka na sprzedaż Gdańsk Łostowice ul. Olimpijska

479 000
909 zł/m²
527
Gdańsk Łostowice, Olimpijska - lokalizacja przybliżona

Właściciel powierzył sprzedaż nieruchomości pośrednikowi. Możesz zadzwonić lub napisać do agenta za darmo.

Działka budowlana 527 m², z projektem (pól bliźniaka)! - Gdańsk Łostowice, ul. Olimpijska/Łyżwiarska

NAJWIĘKSZE ATUTY:
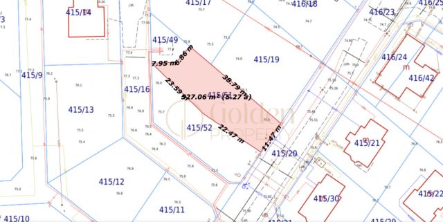
• Działka budowlana w Gdańsku (Łostowice) - 527 m²
• Pełne uzbrojenie przy działce: woda, prąd, gaz, kanalizacja
• W cenie: projekt budowlany (zabudowa bliźniacza/segment) + badania geotechniczne
LOKALIZACJA:
Działka nr 415/51 znajduje się w Gdańsku, w południowej dzielnicy Łostowice, przy ul. Olimpijskiej, w sąsiedztwie zabudowy jednorodzinnej, co daje spokojniejszy, mieszkaniowy charakter w bezpośrednim otoczeniu. Lokalizacja oferuje dogodny dojazd do centrum Gdańska oraz dobrą komunikację z sąsiednimi dzielnicami - w pobliżu znajdują się przystanki autobusowe obsługiwane przez linie [numer].
W okolicy dostępne są liczne punkty usługowe i handlowe, w tym ok. 200 m do Biedronki. W najbliższym otoczeniu znajduje się pełne zaplecze handlowo-usługowe: sklepy, szkoła podstawowa, przedszkole, poczta, klub fitness, korty tenisowe. Dodatkowym atutem są tereny rekreacyjne i spacerowe oraz duże boisko osiedlowe (Przestrzeń Sportowo-Rekreacyjna Podleckiego/Łucznicza).
DZIAŁKA:
Teren jest płaski, w kształcie zbliżonym do prostokąta, co ułatwia zaplanowanie zabudowy oraz wygodne zagospodarowanie ogrodu i podjazdu. To dobra propozycja zarówno dla osób planujących budowę na własne potrzeby, jak i dla kupujących szukających działki w mieście z pełną infrastrukturą w zasięgu kilku minut.
DODATKOWE INFORMACJE:
Dokumentacja dostępna do wglądu dla osób zainteresowanych.
Zapraszam do kontaktu i na prezentację.

  • ul. Olimpijska, Gdańsk Łostowice  
  • Na sprzedaż działka budowlana o powierzchni 527 m²  
  • Dojazd asfalt
  • Ogłoszenie biura nieruchomości  
  • Oferta dodana dodana dzisiaj
Ta nieruchomość może być Twoja od.. sprawdź
96000 zł (20%) Okres spłaty: 30 lat

Podobne działki na sprzedaż

5
Działka budowlana Gdańsk Kiełpino Górne, ul. Otomińska

670 000

700

Oferta w przygotowaniu. Więcej zdjęć i szczegółów wkrótce. Atuty : - Rozbudowana infrastruktura usługowo - handlowa w pobliżu - Działka wśród wielu domów jednorodzinnych - Wszystkie media w drodze przy działce (woda, prąd, kanalizacja, gaz, telekomunikacja) - Spokojna, zielona okolica w sąsiedztwie ...

Zobacz ogłoszenie
7
Działka budowlana Gdańsk Kokoszki, ul. Gostyńska

510 000

1001

Witam posiadam na sprzedaż działkę budowlaną w Gdańsku ul Gostyńska 135 działka o numerze 91/38 wydane warunki zabudowy ( możliwość wystąpienia o własne warunki zabudowy) media w pobliżu działki. Działka mieści się na wzniesieniu z którego jest piękny widok na pobliski las i staw wodny....

Zobacz ogłoszenie
6
Działka budowlana Gdańsk Kiełpino Górne, ul. Goplańska

599 000

951

SPRZEDAŻ BEZ POŚREDNIKÓW Aktualne warunki zabudowy pod dom dwurodzinny. W trakcie przygotowywania pozwolenie. Powierzchnia zabudowy: 178,35 m² (18,75%) Powierzchnia całkowita: 356,84 m² Intensywność zabudowy: 0,38 Powierzchnia użytkowa: 295,89 m² Wysokość zabudowy: 8,89 m Dach: 40% Miejsca postojo...

Zobacz ogłoszenie
1
Działka budowlana Gdańsk Kokoszki, ul. Żukowska

546 500

1093

Na sprzedaż 6 działek (1093 m2, 1108 m2, 1124 m2, 1152 m2, 1135 m2, 1119 m2) pod budowę domów jednorodzinnych położone w Gdańsku przy ul. Żukowskiej w sąsiedztwie osiedla domów jednorodzinnych. Działki na płaskim terenie w kształcie prostokątnym. W ulicy Żukowskiej zlokalizowane są takie media jak: ...

Zobacz ogłoszenie
1
Działka budowlana Gdańsk Święty Wojciech

429 000

1166

ATUTY: * Możliwość zabudowy pow. użytkowo-mieszkaniowej około 180 m² (PUM). * Prąd, woda, gaz w drodze; kanalizacja sanitarna na działce. * 8 minut samochodem do centrum Gdańska i 3 min. wyjazd na S7 oraz obwodnicę Gdańska. LOKALIZACJA: Lokalizacja i sąsiedztwo bardzo spokojne, cicha okolica w są...

Zobacz ogłoszenie
2
Działka budowlana Gdańsk Jasień

625 000

500

Działka budowlana w bardzo dobrej lokalizacji w Gdańsku - Jasieniu. Niedaleko Obwodnicy Trójmiasta i Armii Krajowej. Działka o powierzchni 500m2. Miejscowy plan zagospodarowania przestrzennego: MPZP 2348 Tereny zabudowy mieszkaniowej - wszystkie rodzaje 004-M23 Dojazd do działki zapewniony jest w d...

Zobacz ogłoszenie