Nieruchomość komercyjna na sprzedaż bez pośredników
Słupsk  

Hala/magazyn Słupsk. Zdjęcie 1

Nieruchomość komercyjna na sprzedaż bez pośredników Słupsk

1 835 000
6 554 zł/m²
280
Słupsk - lokalizacja przybliżona
Bezpośrednio od właściciela

Jeśli nie potrzebujesz pośrednika, zaoszczędzisz około 55 100 zł. Potrzebujesz wsparcia? Skorzystaj z pomocy agenta.

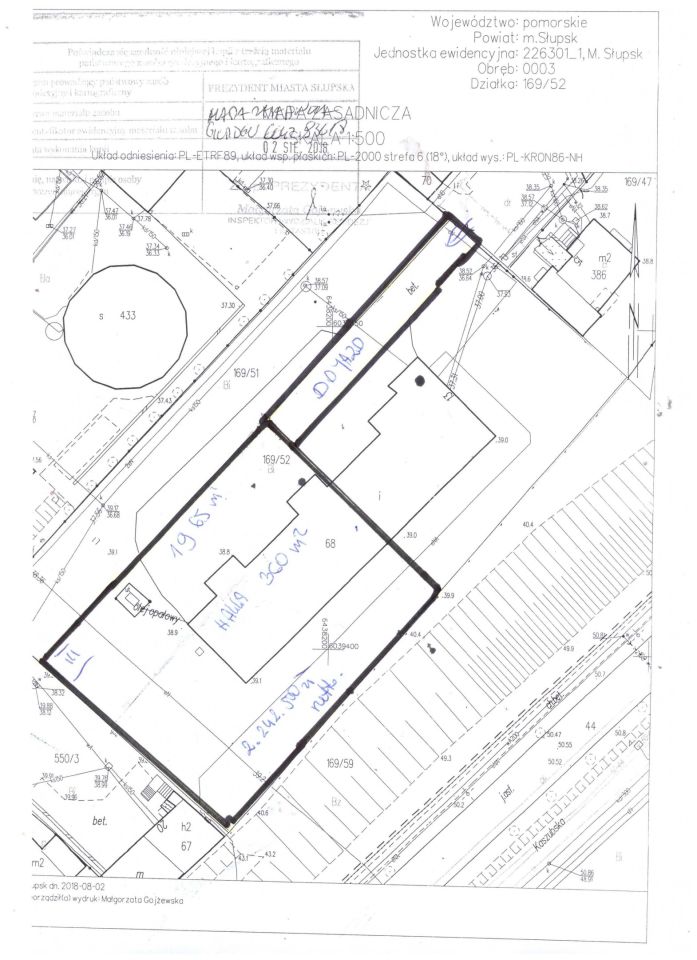
Część nieruchomości o pow. 1710 m2, składającej się z hali z bramą 3,5 x 3,5 m i 2,85 x 2,85 m o powierzchni 280 m2 (liczoną w środku hali) i działki wokół.

Konstrukcja i stan techniczny:

- Wysokość hali w środku: około 5 m.
- Konstrukcja hali z prefabrykatów żelbetonowych, strop podobnie.
- Od środka całość obłożony bloczkami Suporex 24 cm.
- Hala pokryta płytą warstwową, nowy dach z płyty PUR, nowe okna, wrota wjazdowe.

Działka i otoczenie:

- Teren przed i za halą utwardzony częściowo.
- Od szczytu droga utwardzona do przejazdu na tylny parking (plac).
- Dojazd od ulicy Spokojnej.

Media:

- Woda, prąd, ścieki w obiekcie.
- Gaz: skrzynka (nowa) w ogrodzeniu obiektu.

Warunki sprzedaży:

- Cena dotyczy hali i działki wokół hali.
- Konfiguracja zakresu sprzedaży, wielkości sprzedaży obiektu, do modyfikacji po uzgodnieniach z ewentualnym kontrahentem.
- Zakresy sprzedaży na załączonych fotkach.
- Szczegóły wyceny: na telefon.

Informacje formalne:

- Obiekt będzie mógł być sprzedany po wydzieleniu odrębnej części do sprzedaży przez geodetę, załatwieniu wydzielenia odrębności działki (około 3-4 miesiące) i uprzątnięciu obiektu z obiektów ruchomych.
- Obiekt jest na ewidencji działalności, więc sprzedaż na fakturę VAT.
- Leasing, kredyt - każda forma sprzedaży.

Zdjęcia w załączeniu.

  • Słupsk  
  • Na sprzedaż hala/magazyn o powierzchni 280 m²  
  • Oferta bezpośrednio od właściciela dodana ponad miesiąc temu
Ta nieruchomość może być Twoja od.. sprawdź
367000 zł (20%) Okres spłaty: 30 lat

Podobne nieruchomości komercyjne na sprzedaż

5
Lokal Słupsk, ul. Jana Kilińskiego

2 080 000

534

PRZEZNACZENIE Budynek przystosowany do prowadzenia działalności gastronomicznej i kulturalnej. Możliwość adaptacji na ośrodek oświaty, przedszkole lub hotel. PRZEDMIOT SPRZEDAŻY Przedmiotem sprzedaży są prawa (użytkowanie wieczyste gruntu i własność budynków) do nieruchomości gruntowej znajdując...

Zobacz ogłoszenie
4
Hala/magazyn Słupsk, ul. Poznańska

1 500 000

300

Sprzedam pomieszczenia magazynowo-warsztatowe o powierzchni około 300 m². Pomieszczenia biurowe i socjalne: około 100 m². Mieszkanie: około 100 m². Działka: 1500 m². Nieruchomość znajduje się przy ul. Poznańskiej. W nieruchomości można prowadzić wszelkie uciążliwe działalności: lakiernia, produkc...

Zobacz ogłoszenie
4
Hala/magazyn Słupsk, ul. Stanisława Konarskiego

2 200 000

4575

Sprzedam działkę inwestycyjną ( plac utwardzony ) o powierzchni 4575 m2 w Słupsku. Teren ogrodzony, instalacja elektryczna 400V. Na działce znajduje się obiekt 360m2 z pomieszczeniami biurowymi oraz halą produkcyjną / magazynową. Działka znajduje się w centrum osiedla Batorego Słupsk.

Zobacz ogłoszenie
17
Lokal Słupsk, ul. Mikołaja Kopernika

2 500 000

1654

Unikatowy zabytkowy spichlerz zlokalizowany w centrum Słupska - idealny pod działalność gospodarczą. GŁÓWNE ATUTY - Unikatowa architektura - Centrum Słupska - Możliwość otrzymania dotacji - Plac pod parking na tyłach obiektu NIERUCHOMOŚĆ Oferujemy na sprzedaż przepiękny budynek zabytkowego spichlerz...

Zobacz ogłoszenie
8
Lokal Słupsk, ul. Koszalińska

1 250 000

277

Sprzedam lokal usługowy 277 m2. Położony w atrakcyjnej lokalizacji w Słupsku przy ulicy Koszalińskiej 7a. Składa się z dwóch pięter i posiada mały ogródek przed wejściem. W lokalu od wielu lat prowadzone jest prywatne przedszkole. Sprzedaję lokal wraz z najemcą, pewny przychód miesięczny z wynajmu....

Zobacz ogłoszenie