Działka na sprzedaż bez pośredników
ul. Fryderyka Lempe Starachowice Michałów Górny

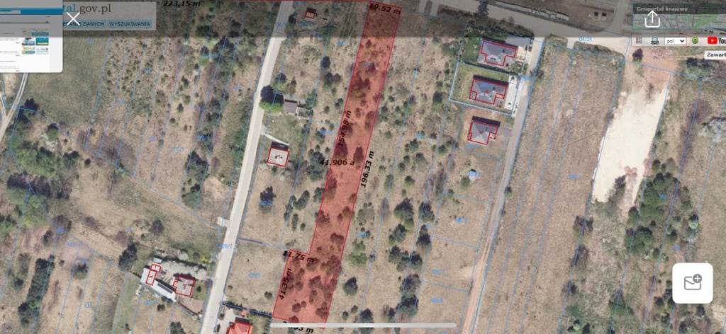
Działka rolno-budowlana Starachowice Michałów Górny, ul. Fryderyka Lempe. Zdjęcie 1

Działka na sprzedaż bez pośredników Starachowice Michałów Górny ul. Fryderyka Lempe

430 000
34 zł/m²
12 521
Starachowice Michałów Górny, Fryderyka Lempe - lokalizacja przybliżona
Bezpośrednio od właściciela

Jeśli nie potrzebujesz pośrednika, zaoszczędzisz około 12 900 zł. Potrzebujesz wsparcia? Skorzystaj z pomocy agenta.

Sprzedam działkę rolno-budowlaną w Starachowicach przy ul. F. Lempe o pow. 12521m2 z wydaną decyzją o warunkach zabudowy i zagospodarowania terenu. Działka posiada utwardzony wjazd oraz dostęp do rzeki Kamienna. W pobliżu znajduje się stacja PKP Starachowice-Michałów oraz osiedle domów jednorodzinnych.

  • ul. Fryderyka Lempe, Starachowice Michałów Górny, powiat starachowicki  
  • Na sprzedaż działka rolno-budowlana o powierzchni 1,25 ha (12 521 m²)  
  • Plan w serwisie geoportal.gov.pl Otwórz plan
  • Numer ewidencyjny działki 327/1
  • Cena do negocjacji  
  • Oferta bezpośrednio od właściciela dodana ponad miesiąc temu
Ta nieruchomość może być Twoja od.. sprawdź
86000 zł (20%) Okres spłaty: 30 lat

Podobne działki na sprzedaż

2
Działka rolno-budowlana Parszów

600 000

1,36 ha

Oferujemy sprzedaż dwóch sąsiadujących działek ewidencyjnych, które sprzedawane są w pakiecie jako jedna całość, z zachowaniem osobnych numerów działek oraz ksiąg wieczystych. 1. Działka nr 261105_5.0004.253/2 • Powierzchnia: 6 748 m² • Rodzaj użytków (wg Geoportalu): działka rolna • Kształt: w przy...

Zobacz ogłoszenie
4
Działka rolno-budowlana Rzepin Drugi

270 000

1,78 ha

Na sprzedaż działka rolno-budowlana o powierzchni 1,78 ha (17 800 m²) położona w miejscowości Rzepin Drugi, w gminie Pawłów, woj. świętokrzyskie. Najważniejsze atuty działki: • Szerokość działki: 27 m – idealna pod zabudowę jednorodzinną. • Media w drodze: kanalizacja, prąd, gaz, woda – wszystkie do...

Zobacz ogłoszenie
2
Działka rolno-budowlana Parszów, ul. Rzeczna

525 000

7000

DZIAŁKA PRZY LESIE, PO CZĘŚCI ZALESIONA, BLISKO RZEKA, 200 M OD DROGI POWIATOWEJ RELACJI STARACHOWICE - SUCHEDNIÓW, 10 MINUT SPACEREM ZALEW W MOSTKACH, BLISKO SZKOŁA PODSTAWOWA. DZIAŁKA Z DUŻYM POTENCJAŁEM, MOŻLIWOŚĆ PODZIAŁU NA KILKA MNIEJSZYCH. MOŻLIWOŚĆ PRZYŁĄCZENIA DO MEDIÓW: WODA, PRĄD, GAZ. JE...

Zobacz ogłoszenie
4
Działka rolno-budowlana Wymysłów

350 000

2,92 ha

Sprzedam działkę o powierzchni 29 210 m2. Działka znajduje się w miejscowości Wymysłów przy zalewie Wióry, w spokojnej malowniczej okolicy z widokiem na Święty Krzyż. Działka ma szerokość ok. 53m i długość ok 550m. Przy drodze teren oznaczony 07MNR – tereny zabudowy zagrodowej z dopuszczeniem jedno...

Zobacz ogłoszenie
3
Działka rolno-budowlana Wąchock, ul. Langiewicza

550 000

1,19 ha

Działka wg MPZP jako inwestycyjna, W chwili obecnej bez dostępu do drogi publicznej (fizycznie dojazd jest. sprawa w sądzie o drogę konieczną)media w drodze. Budynek raczej do wyburzenia. Działka na wzniesieniu, nieregularny kształt jak i powierzchnia. Od północnej strony widok na zalew i panoramę...

Zobacz ogłoszenie
1
Działka rolno-budowlana Rzepin Pierwszy

270 000

1,37 ha

Witam.Mam do sprzedania działkę rolno budowlaną o powierzchni 13700 m2(1.37ha) położoną w miejscowości Rzepin Pierwszy.Działka o numerach 180/181.Szerokość od strony drogi 17.5m.Działka w pełni uzbrojona ,woda,gaz,prąd,kanalizacja,światłowód.Więcej informacji udzielę telefonicznie.

Zobacz ogłoszenie