Działka na sprzedaż bez pośredników
Ropienka  

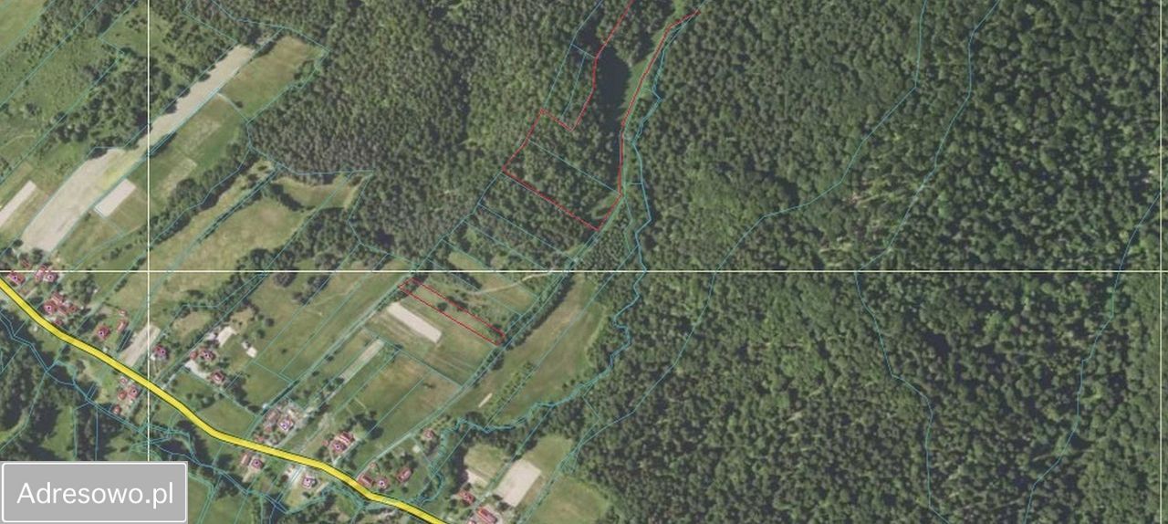
Działka rolna Ropienka. Zdjęcie 1

Działka na sprzedaż bez pośredników Ropienka

200 000
6 zł/m²
33 642
Ropienka - lokalizacja przybliżona
Bezpośrednio od właściciela

Jeśli nie potrzebujesz pośrednika, zaoszczędzisz około 6 000 zł. Potrzebujesz wsparcia? Skorzystaj z pomocy agenta.

Mam na sprzedaż 3 działki rolno-leśne o łącznej powierzchni 3,36 ha, położone w Gminie Ustrzyki Dolne, w miejscowości Ropienka.

Jedna z działek jest rolna, natomiast dwie pozostałe są rolno-leśne z atrakcyjnym drzewostanem. Działki są sprzedawane łącznie.

Do działek prowadzi droga gminna o szerokości wystarczającej do przejazdu. Działki położone są w spokojnej i cichej okolicy, dobrze nasłonecznione.

Więcej informacji udzielę osobom zainteresowanym.
Zapraszam do kontaktu oraz zakupu.

  • Ropienka, gmina Ustrzyki Dolne, powiat bieszczadzki  
  • Na sprzedaż działka rolna o powierzchni 3,36 ha (33 642 m²)  
  • Dojazd utwardzony
  • Ogrodzenie bez ogrodzenia
  • Oferta bezpośrednio od właściciela dodana ponad miesiąc temu
Ta nieruchomość może być Twoja od.. sprawdź
40000 zł (20%) Okres spłaty: 30 lat

Podobne działki na sprzedaż

8
Działka rolna Hoszowczyk

199 000

2215

Na sprzedaż działka o powierzchni 2215 m² położona w miejscowości Hoszowczyk, w gminie Ustrzyki Dolne. Nieruchomość znajduje się w spokojnej, kameralnej okolicy, cenionej przez osoby szukające ciszy, prywatności i kontaktu z naturą, a jednocześnie w lokalizacji chętnie wybieranej pod zabudowę w Bies...

Zobacz ogłoszenie
3
Działka rolna Michniowiec

185 000

1,45 ha

Malownicza działka połozona na uboczu ustronniej wsi Michniowiec w powiecie Bieszczadzkim. Granica działki jest czysta rzeczka. Niniejsze ogłoszenie nie stanowi ofert w rozumieniu kc.

Zobacz ogłoszenie
4
Działka rolna Jureczkowa

250 000

2,09 ha

Witam, Sprzedam 3 działki rolne o łącznej powierzchni 2,09 ha, położone w miejscowości Jureczkowa. Działki znajdują się tuż przy uroczym podworskim parku na stoku wzniesienia w uroczysku "Dworze". Rosną tam stare, potężne drzewa (lipy, modrzewie, wiązy, dęby itp.). Dojazd do działek utwardzoną...

Zobacz ogłoszenie
7
Działka rolna Wojtkówka

257 000

2,57 ha

Witam! Na sprzedaż dwie działki rolne atrakcyjne w miejscowości Wojtkówka, Gmina Ustrzyki Dolne : Działka o numerze 129 - 1,21 ha Działka o numerze 130- 1,36 ha Cena za 1 ar -1000 zł Dojazd drogami gminnymi.

Zobacz ogłoszenie