Działka na sprzedaż bez pośredników
ul. Ostródzka Warszawa Białołęka

Działka rekreacyjna Warszawa Białołęka, ul. Ostródzka. Zdjęcie 1

Działka na sprzedaż bez pośredników Warszawa Białołęka ul. Ostródzka

199 000
567 zł/m²
351
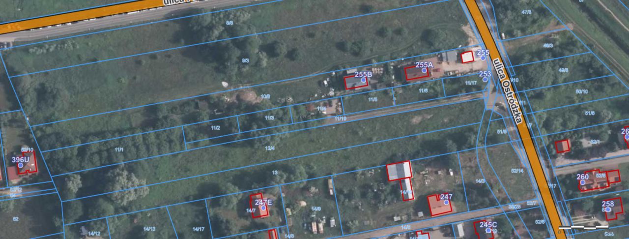
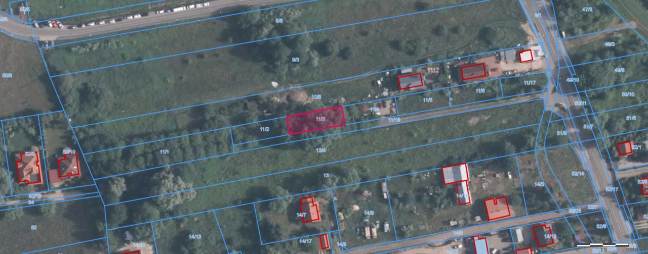
Warszawa Białołęka, Ostródzka - lokalizacja przybliżona
Bezpośrednio od właściciela

Jeśli nie potrzebujesz pośrednika, zaoszczędzisz około 6 000 zł. Potrzebujesz wsparcia? Skorzystaj z pomocy agenta.

Sprzedam działkę z pięknym starym drzewostanem, z sugerowanym przeznaczeniem na rekreacyjną, położoną w Warszawie - Białołęka przy ul. Ostródzkiej 253 o nr ew. 11/3 z obrębu 4-16-12.

Działka porośnięta jest drzewostanem grubych drzew, w tym orzechy włoskie.

Działka położona jest w trzeciej linii zabudowy od ul. Ostródzkiej i przez to jest bardzo cicha.

Dojazd od ul. Ostródzkiej na działkę zapewnia prywatna droga sprzedającego o szerokości 4,5 m.

Wszystkie media w ul. Ostródzkiej.

W m.p.z.p. teren na którym leży ta działka oznaczony jest symbolem M (tereny mieszkaniowe).

Dla obszarów mieszkaniowych M jest ustalone w m.p.z.p. następujące obowiązujące przeznaczenie podstawowe: zabudowa mieszkaniowa jednorodzinna i wielorodzinna niska wraz z usługami I stopnia (usługi podstawowe, o ograniczonym zasięgu oddziaływania dotyczącym najbliższego terenu, lokalne) obsługi z zakresu: handlu, usług bytowych i publicznych.

Sprzedający ustanowi w akcie notarialnym służebność przechodu i dojazdu oraz poprowadzenia mediów do sprzedawanej działki na drodze dojazdowej będącej jego własnością (jest to działka drogowa o nr ew. 11/19, dawna 11/18).

Roczna cena ww. służebności wynosi 400 zł rocznie.

Działka o nr ew. 11/3 ma powierzchnię 351 m2, szerokość około 11 m i długość około 32 m.

Sprzedaż bezpośrednia, nie współpracuję z agencjami i pośrednikami.

Powyższe ogłoszenie ma wyłącznie charakter informacyjny i nie stanowi oferty handlowej w rozumieniu przepisów Kodeksu Cywilnego, a w szczególności art. 66 § 1. Kodeksu Cywilnego, jest zaproszeniem do rokowań i dane w nim zawarte mogą ulec zmianie.

Sprzedający zastrzega sobie prawo wycofania propozycji sprzedaży bez podania przyczyn oraz prawo do podwyższenia ceny wraz z upływającym czasem.

  • ul. Ostródzka, Warszawa Białołęka  
  • Na sprzedaż działka rekreacyjna o powierzchni 351 m²  
  • Plan w serwisie geoportal.gov.pl Otwórz plan
  • Numer ewidencyjny działki 11/3
  • Wymiary Długość: 32 m, szerokość: 11 m
  • Dojazd utwardzony
  • Ogrodzenie bez ogrodzenia
  • Media woda nieprzyłączona, brak kanalizacji, prąd nieprzyłączony, gaz nieprzyłączony
  • Cena do negocjacji  
  • Oferta bezpośrednio od właściciela dodana ponad miesiąc temu
Ta nieruchomość może być Twoja od.. sprawdź
40000 zł (20%) Okres spłaty: 30 lat

Podobne działki na sprzedaż

8
Działka rekreacyjna Warszawa Włochy, al. Krakowska

220 000

400

Sprzedam prawo do działki przy Al.Krakowskiej wraz z domem i domkiem narzędziowym obok (zdjęcie mogę dosłać). Dużą zaletą jest wejście na działkę bezpośrednio z drogi, nie z alei działkowej. W ogrodzie czereśnia, wiśnia, jabłoń, obficie owocujące winogrona, orzech włoski, pigwa, jeżyny, porzeczka cz...

Zobacz ogłoszenie
16
Działka rekreacyjna Warszawa Targówek, ul. Janowiecka

146 000

300

Dzialka 300 m ..na działce domek drewniany piętrowy ..wyposażenie..łazienka umywalka prysznic..aneks kuchenny..salon taras.. Wszystkie media ..na działce domek z zapleczem gospodarczym..itd..

Zobacz ogłoszenie
8
Działka rekreacyjna Warszawa Wawer

150 000

600

Działka rekreacyjna, 600 m², Wawer. Z domkiem, altaną, aneksem kuchennym i łazienką. Dostęp do wody i prądu.

Zobacz ogłoszenie