Pęklewo

działka inwestycyjna na sprzedaż Bez pośrednika

Działka inwestycyjna Pęklewo
Cena
2 000 000
Powierzchnia
8.73 ha
Cena za m²
23
Pęklewo · 2 000 000 zł

Ogłoszenie właściciela - bez pośredników

Działka inwestycyjna Pęklewo. Zdjęcie 1
Działka inwestycyjna Pęklewo. Zdjęcie 1

Bez pośrednika. Oszczędzasz 60 000 zł na prowizji pośrednika!

Działki idealne pod inwestycje, która daje wiele możliwości co do koncepcji zagospodarowania terenu zarówno dla inwestorów indywidualnych jak i deweloperów.
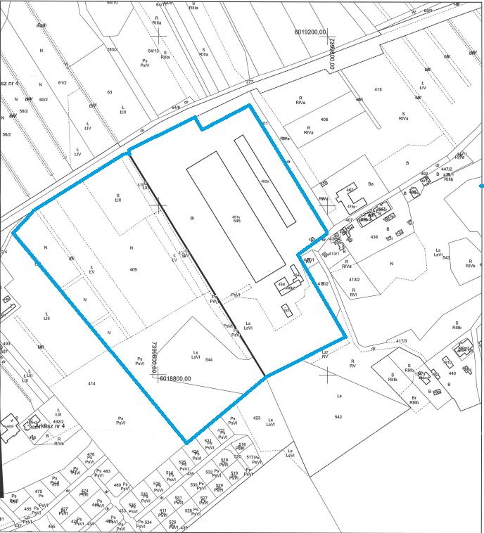
Ogłoszenie dotyczy trzech działek o numerach ewidencyjnych 545, 544 oraz 409 położonych w Pęklewie, gmina Tolkmicko, powiat elbląski.
Nieruchomość jest własnością spółki, wcześniej była użytkowana pod usługi magazynowe, obecnie budynki zostały rozebrane.
Działka 545 – sprzedaż wieczystego użytkowania, powierzchnia 41 074 m² częściowo utwardzona placem oraz ogrodzona. Działka uzbrojona w instalacje wodociągowe i kanalizacyjne oraz linie kablowe sieci telekomunikacyjnej i elektroenergetycznej.
Działka 544, 409 – sprzedaż własności, powierzchnia 46 210 m² (łąki, las, pastwiska)
Teren jest przyległy do drogi gminnej (ul. Cegielniana). Dojazd do drogi wojewódzkiej nr 503 Tolkmicko-Elbląg.
Działki położone są w granicach Parku Krajobrazowego Wysoczyzny Elbląskiej (PKWE). W pobliżu nieruchomości znajduje się plaża w Suchaczu, plaża w Kadynach, liczne ścieżki rowerowe, stadnina koni.
*Powyższa oferta ma charakter informacyjny i nie stanowi oferty handlowej w rozumieniu art. 66 § 1 Kodeksu Cywilnego.

  • Pęklewo, gmina Tolkmicko, powiat elbląski
  • Na sprzedaż działka inwestycyjna o powierzchni 87284 m² (8.73 ha).
  • Dojazd: utwardzony, ogrodzenie: metalowe
  • Media: woda, szambo, prąd, gaz nieprzyłączony
  • Cena do negocjacji
  • Oferta dodana bezpośrednio przez właściciela ponad miesiąc temu i zaktualizowana wczoraj
Wróć
Największa baza ogłoszeń bez pośredników
Zarejestruj się, aby przejść dalej
lub

Kontynuując akceptujesz
Regulamin i Politykę prywatności

Masz już konto na adresowo.pl?
Zaloguj się

Mamy dla Ciebie kredyt hipoteczny z niską ratą! Chcesz poznać szczegóły?

Kontakt z VeloBank:
- ofertę, wniosek i decyzję o przyznaniu kredytu w procesie online,
- wsparcie eksperta hipotecznego na każdym kroku,
- kredyt do 90% wartości nieruchomości.





Wyrażam zgodę na przetwarzanie moich danych osobowych zawartych w formularzu na stronie adresowo.pl przez VeloBank S.A. z siedzibą w Warszawie przy Rondo Ignacego Daszyńskiego 2C (Bank), a tym samym na ich przetwarzanie, w tym profilowanie, przez Bank w celu marketingu produktów i usług Banku za pośrednictwem rozmowy telefonicznej i sms. Zgoda może być w każdej chwili wycofana. Cofnięcie zgody nie ma wpływu na zgodność z prawem przetwarzania danych przed jej wycofaniem.