Działka na sprzedaż bez pośredników
ul. Zastawna Pruszcz Gdański

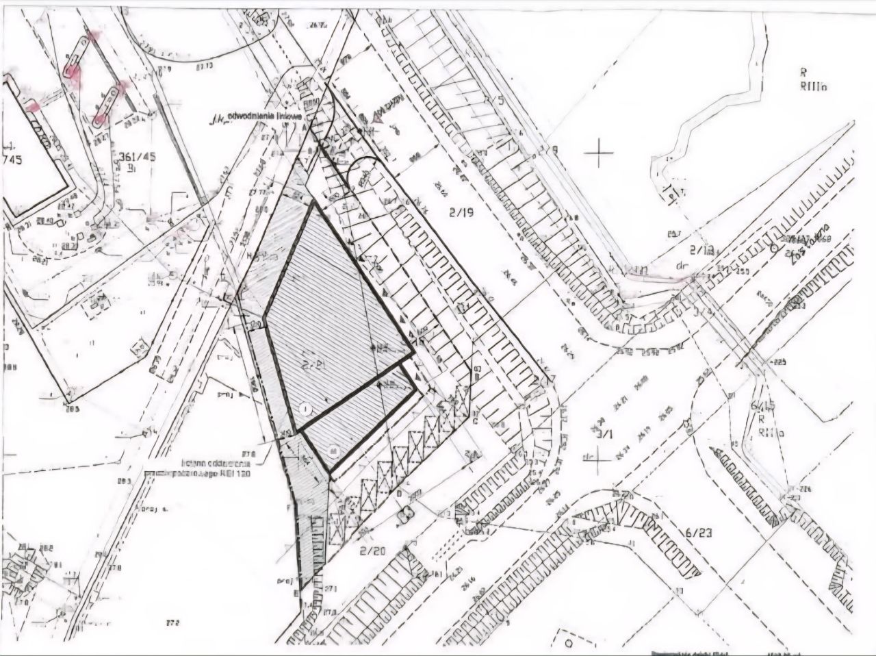
Działka inwestycyjna Pruszcz Gdański, ul. Zastawna. Zdjęcie 1

Działka na sprzedaż bez pośredników Pruszcz Gdański ul. Zastawna

1 600 000
1 059 zł/m²
1 511
Pruszcz Gdański, Zastawna - lokalizacja przybliżona
Bezpośrednio od właściciela

Jeśli nie potrzebujesz pośrednika, zaoszczędzisz około 48 000 zł. Potrzebujesz wsparcia? Skorzystaj z pomocy agenta.

Na sprzedaż atrakcyjny teren inwestycyjny przeznaczony pod zabudowę usługową, położony w świetnej lokalizacji w Pruszczu Gdańskim, w sąsiedztwie zabudowy usługowej oraz stacji benzynowej. Idealne miejsce na inwestycję dzięki bardzo dobremu dojazdowi do głównych tras.
Lokalizacja i komunikacja
Pruszcz Gdański – otoczenie obiektów usługowych
Szybki dojazd do Obwodnicy Trójmiasta oraz Autostrady A1
Wjazd na Obwodnicę Trójmiasta: ok. 200 m
Dojazd na działkę drogą utwardzoną
Parametry działek
Sprzedaż obejmuje 2 działki:
Działka nr 2/18 – 446 m²
Działka nr 2/21 – 1065 m²
Łączna powierzchnia: 1511 m²
Kształt: nieregularny
Warunki zabudowy (WZ)
Powierzchnia zabudowy: 633,33 m²
Wskaźniki zagospodarowania terenu:
Intensywność zabudowy: min. 0,3 – max. 3,0
Maksymalna powierzchnia zabudowy: 40%
Powierzchnia biologicznie czynna: min. 50%
Forma zabudowy: dowolna
Wysokość zabudowy: min. 4 m – max. 22 m
Geometria dachu: dowolna
Media
Prąd, woda, kanalizacja, gaz – na granicy działki.
Podsumowanie atutów
✅ teren usługowy – inwestycyjny
✅ świetna ekspozycja i otoczenie usług
✅ szybki dojazd: Obwodnica i A1
✅ media w granicy
✅ dogodne parametry WZ (do 22 m wysokości)

Cena 1 600 000 netto

Zapraszam na prezentację!
Więcej informacji pod numerem telefonu.

  • ul. Zastawna, Pruszcz Gdański, powiat gdański  
  • Na sprzedaż działka inwestycyjna o powierzchni 1 511 m²  
  • Plan w serwisie geoportal.gov.pl Otwórz plan
  • Numer ewidencyjny działki 2/18, 2/21
  • Dojazd utwardzony
  • Ogrodzenie bez ogrodzenia
  • Oferta bezpośrednio od właściciela dodana ponad miesiąc temu i zaktualizowana ponad tydzień temu
Ta nieruchomość może być Twoja od.. sprawdź
320000 zł (20%) Okres spłaty: 30 lat

Podobne działki na sprzedaż

18
Działka inwestycyjna Cedry Małe

1 530 000

2,55 ha

Na sprzedaż działka inwestycyjna o powierzchni 25 471 m² (2,5471 ha), położona w strategicznym punkcie przy trasie ekspresowej S7 (węzeł Koszwały), zaledwie 10 minut od granic Gdańska. To wyjątkowa okazja dla przedsiębiorców i inwestorów, którzy planują rozwój hal magazynowych, centrów logistycznych...

Zobacz ogłoszenie
14
Działka inwestycyjna Pruszcz Gdański

1 599 000

2006

NA SPRZEDAŻ DZIAŁKA W PRUSZCZU GDAŃSKIM PRZEZNACZONA POD ZABUDOWĘ USŁUGOWĄ! SPRZEDAJĄCY WYSTAWIA FV23%, PODANA CENA NETTO! DZIAŁKA: Na sprzedaż działka o powierzchni 2006m2 mieszcząca się w Pruszczu Gdańskim w rejonie ulicy Podmiejskiej. Działka częściowo zagospodarowana, posiada aktywne pozwolenie...

Zobacz ogłoszenie
20
Działka inwestycyjna Wiślinka

2 234 870

2,03 ha

Wyjątkowa okazja inwestycyjna pod Gdańskiem! Na sprzedaż 3 działki (2,2486 ha , 4,9042 ha, 2,0317 ha) przemysłowe o łącznej powierzchni 9,19 ha, położone w Wiślince (gm. Pruszcz Gdański) – zaledwie 15 minut od centrum Gdańska, 10 minut od obwodnicy południowej S7 i 20 minut od Portu Gdańsk. Teren ...

Zobacz ogłoszenie
4
Działka inwestycyjna Dziewięć Włók

1 798 050

1,2 ha

Działki: 104/2, 103/2. Całkowita powierzchnia: 11987 m2. Specyfikacja: B.14.U. Działki położone są w idealnej lokalizacji z dojazdem do autostrady A1, S1, Terminala Kontenerowego DCT. Do centrum Gdańska (Starówka): 15 minut. Media przy drodze krajowej 226 i na jednej z działek (prąd, woda). --- ...

Zobacz ogłoszenie
4
Działka inwestycyjna Trąbki Wielkie

1 652 310

1 ha

Atrakcyjna działka inwestycyjna o pow. 10 014 mkw pod działalność gospodarczą w Trąbkach Wielkich. Trąbki Wielkie to prężnie rozwijająca się miejscowość gminna, działka mieści się na terenach przemysłowych, przeznaczona jest według Planu zagospodarowania przestrzennego na zabudowę produkcyjną oraz z...

Zobacz ogłoszenie
9
Działka inwestycyjna Pruszcz Gdański, ul. Nad Radunią

1 570 000

1147

Na sprzedaż działka usługowo-mieszkalna o powierzchni 1147m² w centrum Pruszcza Gdańskiego. Oferuję na sprzedaż działkę inwestycyjną objętą Miejscowym Planem Zagospodarowania Przestrzennego. Na działce znajduje się budynek mieszkalno-usługowy z możliwością wykończenia lub rozbudowy. Zgodnie z MPZP d...

Zobacz ogłoszenie