Działka na sprzedaż bez pośredników
ul. Obwodowa Łask Kolumna

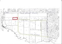
Działka inwestycyjna Łask Kolumna, ul. Obwodowa. Zdjęcie 1

Działka na sprzedaż bez pośredników Łask Kolumna ul. Obwodowa

730 000
97 zł/m²
7 526
Łask Kolumna, Obwodowa - lokalizacja przybliżona
Bezpośrednio od właściciela

Jeśli nie potrzebujesz pośrednika, zaoszczędzisz około 21 900 zł. Potrzebujesz wsparcia? Skorzystaj z pomocy agenta.

Na podstawie Uchwały Rady Gminy nr XLVIII/612/2022 z dnia 14 września 2022 roku, Wydział Urbanistyki i Planowania Przestrzennego Urzędu opracowuje obecnie Miejscowy Plan Zagospodarowania Przestrzennego dla obszaru Kolumny, na którym położona jest działka nr 74.
Dla terenu opracowania plan przewiduje realizację zabudowy jednorodzinnej mieszkaniowej z możliwością podziału działek na działki mniejsze, o powierzchni nie mniejszej niż 1800m2.
Działka jest narożna. Posiada dojazd od dwóch ulic gminnych: ul. Obwodowej (łączącej z główną arterią Kolumny - Al. Leśników Polskich), oraz od ul. Nowej.
Powierzchnia działki (7526 m2) daje możliwość dokonania podziału na 4 działki po ok 1800 m2.
Tereny są terenami budowlanym Kolumny od 1933 roku i takimi mają być w wyniku uchwalenia miejscowego planu zagospodarowania. Będą włączone do struktury miejskiej miasta Łask - jako tereny zabudowy jednorodzinnej – typowej dla Kolumny.

  • ul. Obwodowa, Łask Kolumna, powiat łaski  
  • Na sprzedaż działka inwestycyjna o powierzchni 7 526 m²  
  • Numer ewidencyjny działki 74
  • Cena do negocjacji  
  • Oferta bezpośrednio od właściciela dodana ponad miesiąc temu i zaktualizowana ponad tydzień temu
Ta nieruchomość może być Twoja od.. sprawdź
146000 zł (20%) Okres spłaty: 30 lat

Podobne działki na sprzedaż

4
Działka inwestycyjna Wiewiórczyn, ul. Wincentego Witosa

800 000

1,29 ha

Działki budowlane 1,29 ha z pozwoleniami i projektem – 36 mieszkań! Wiewiórczyn / granica z Łaskiem Cena: 800 000 zł (62 zł/m²) – Kup bezpośrednio od właściciela! Szukasz gotowego gruntu inwestycyjnego z pełną dokumentacją? Mamy dla Ciebie kompleks 9 działek budowlanych z pozwoleniem na budowę 18 b...

Zobacz ogłoszenie
1
Działka inwestycyjna Łask

500 000

20

Działka około 2,5 tys m 2 do remontu 1 właściciel 50 m do dworca w Łasku sprzedaż lub wymiana na mieszkanie w blokach podłączone wszystkie media Wszystkie informacje zostaną udzielone przez telefon

Zobacz ogłoszenie
3
Działka inwestycyjna Wrzeszczewice Nowe

900 000

2,18 ha

Sprzedam działkę z przeznaczeniem pod inwestycje, budowlaną. Działka numer 38 w obrębie Wrzeszczewice Nowe, gmina Łask. Działka ma szerokość 30 m i długość 735 m. Wzdłuż jednego krótszego i jednego dłuższego boku znajduje się droga. Woda przy drodze. Istnieje możliwość dokupienia również sąsiedni...

Zobacz ogłoszenie
2
Działka inwestycyjna Grabno

600 000

6,23 ha

Działka rolna w miejscowości Grabno, Gminie Sędziejowice woj. łódzkie Powierzchnia 6,23 ha. Oznaczenie działek 1/1 i 3 - zdjęcia powyżej. Z podpisaną umową na okres 30 lat na dzierżawę pod fotowoltaikę o rocznej opłacie 120 000 PLN - z firmą Agro Farms. Czynsz będzie wypłacany 1. 01 . 2026 roku. Um...

Zobacz ogłoszenie