Działka na sprzedaż
ul. Bolesława Śmiałego Rybnik Niedobczyce

Działka inna Rybnik Niedobczyce, ul. Bolesława Śmiałego. Zdjęcie 1
Działka inna Rybnik Niedobczyce, ul. Bolesława Śmiałego. Zdjęcie 2
Działka inna Rybnik Niedobczyce, ul. Bolesława Śmiałego. Zdjęcie 3
Działka inna Rybnik Niedobczyce, ul. Bolesława Śmiałego. Zdjęcie 4
Działka inna Rybnik Niedobczyce, ul. Bolesława Śmiałego. Zdjęcie 5
Działka inna Rybnik Niedobczyce, ul. Bolesława Śmiałego. Zdjęcie 6

Działka na sprzedaż Rybnik Niedobczyce ul. Bolesława Śmiałego

6 520
Rybnik Niedobczyce, Bolesława Śmiałego - lokalizacja przybliżona

Właściciel powierzył sprzedaż nieruchomości pośrednikowi. Możesz zadzwonić lub napisać do agenta za darmo.

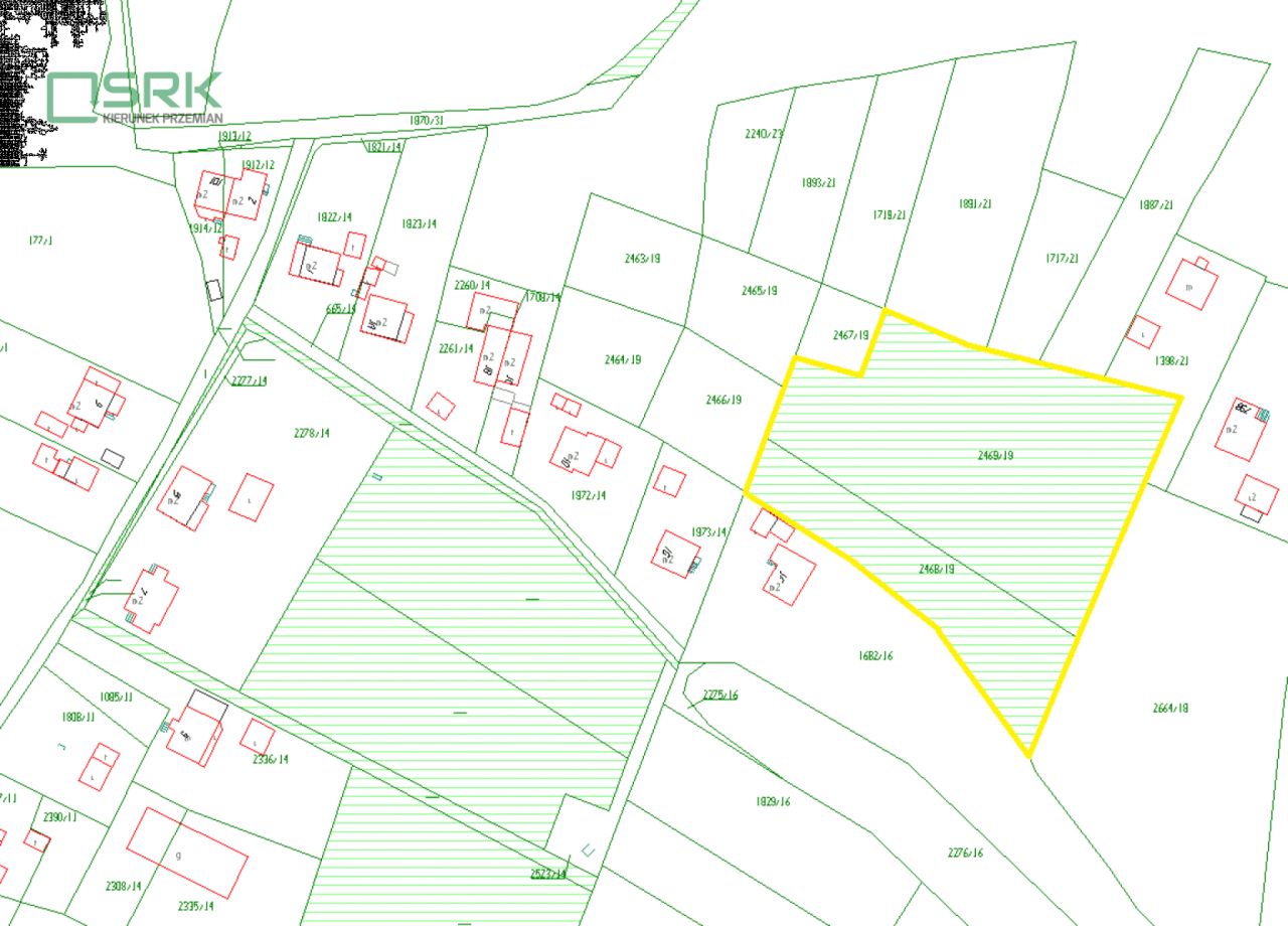
Sprzedaż nieruchomości położonej w Rybniku w rejonie ul. Bolesława Śmiałego, obręb Niedobczyce o łącznej powierzchni 6520 m2, zapisanej w księdze wieczystej GL1Y/00129731/5 prowadzonej przez Sąd Rejonowy w Rybniku, w skład której wchodzą: prawo użytkowania wieczystego niezabudowanych działek nr 2468/19 oraz 2469/19.

Działki mają kształt regularny, od północnego zachodu wycięty. Teren działek znacznie nachylony w stronę południową, nierówny, w znacznym stopniu zadrzewiony i zakrzewiony. W bezpośrednim otoczeniu zlokalizowana jest luźna zabudowa jednorodzinna (wzdłuż ulic Janasa i Bolesława Śmiałego). Na południowy wschód od nieruchomości znajdują się tereny zieleni, tereny niezabudowane. W dalszej odległości zlokalizowane są punkty handlowo – usługowe i budynki użyteczności publicznej. W obrębie działek przebiegają dwie napowietrzne linie elektroenergetyczne oraz znajdują się na nich dwa słupy elektroenergetyczne.Nieruchomość nie posiada dostępu do drogi publicznej.

Zgodnie z zapisami Miejscowego Planu Zagospodarowania Przestrzennego, zatwierdzonego Uchwałą nr 545/XXXV/2005 Rady Miasta Rybnika z dnia 25.05.2005r., działka nr 2468/19 leży na terenie oznaczonym symbolem R ZR – tereny zalesień. Zgodnie z zapisami Miejscowego Planu Zagospodarowania Przestrzennego, zatwierdzonego Uchwałą nr 775/XLIX/2018 Rady Miasta Rybnika z dnia 27.06.2018r. dla części miasta Rybnika obejmującej obszar w rejonie ulicy Chodkiewicza, nieruchomość nr 2469/19 leży na terenie objętym jednostką planu 1 ZNU – tereny zieleni nieurządzonej.

Informacja telefoniczna w sprawie oferty jest udzielana w godz. 6.00 - 14.00 od poniedziałku do piątku.

  • ul. Bolesława Śmiałego, Rybnik Niedobczyce  
  • Na sprzedaż działka inna o powierzchni 6 520 m²  
  • Ogłoszenie biura nieruchomości  
  • Oferta dodana ponad miesiąc temu

Podobne działki na sprzedaż

9
Działka inna Rybnik Chwałowice, ul. Zwycięstwa

zapytaj

1,43 ha

Nieruchomość położona w Rybniku przy ul. Zwycięstwa w skład których wchodzą działki gruntu o numerach 1060/22, 1062/21, 1064/21 o łącznej powierzchni 14306 m², zapisane w księdze wieczystej GL1Y/00127782/3. Graniczące ze sobą działki są położone na terenie płaskim. Działki nr 1060/22 i 1062/21 mają...

Zobacz ogłoszenie
6
Działka inna Rybnik Niedobczyce, ul. Bolesława Śmiałego

zapytaj

6576

Nieruchomość położona w Rybniku przy ul. Bolesława Śmiałego o powierzchni 6576 m² obejmuje niezabudowane działki gruntu o numerach geodezyjnych 2524/14, 2525/14 zapisane w księdze wieczystej GL1Y/00139479/3. Działki o numerach 2524/14, 2525/14 stanowią zwarty obszar, kształt regularny zbliżony do t...

Zobacz ogłoszenie
5
Działka inna Rybnik Niedobczyce, ul. Ludwika Zamenhofa

zapytaj

2332

Działka położona jest w Rybniku, w rejonie ul. Zamenhofa o powierzchni 2332 m² w skład w której wchodzi działka gruntu 737/40 zapisana w księdze wieczystej GL1Y/00139479/3. Działka o kształcie kwadratu. Nieruchomości posiadają możliwość uzbrojenia w sieć energetyczną, wodociągową, kanalizacyjną. Bez...

Zobacz ogłoszenie
4
Działka inna Rybnik Niedobczyce, ul. Bolesława Śmiałego

zapytaj

4081

Nieruchomość położona w Rybniku w rejonie ul. Bolesława Śmiałego o powierzchni 4081 m², w skład których wchodzą niezabudowane działki 1344/14, 1348/14 zapisane w księdze wieczystej GL1Y/00139479/3. Działka nr 1344/14 jest nachylona w stronę południową, kształt regularny zbliżony do trapezu, działka ...

Zobacz ogłoszenie
3
Działka inna Rybnik Niedobczyce, ul. Ludwika Zamenhofa

zapytaj

3,86 ha

Działki położone są w Rybniku, w rejonie ul. Zamenhofa o powierzchni 38575 m², w skład których wchodzą działki gruntu 3254/39, 37, 738/40, 38, 3261/32, 739/40, 3259/32, 698/91, 700/92, 693/95, 737/40, zapisane w księdze wieczystej GL1Y/00139479/3 . Stanowią kompleks o kształcie nieregularnego wielo...

Zobacz ogłoszenie
11
Działka inna Rybnik Boguszowice, ul. Jastrzębska

zapytaj

5,48 ha

Nieruchomości położone w Rybniku przy ul. Jastrzębskiej o łącznej powierzchni 54768 m², w skład w której wchodzą działki gruntu 140/1, 2066/118, 2065/118, 2064/118, 2061/118, 2062/118, 2063/118, 2059/118, 1919/118, 2211/16, 2213/22, 607/15, 1770/15, 2304/1, 1915/118, 1917/118, 2214/22, 1942/118 zapi...

Zobacz ogłoszenie