Działka na sprzedaż bez pośredników
Krasne  

Działka budowlana Krasne. Zdjęcie 1

Działka na sprzedaż bez pośredników Krasne

75 000
75 zł/m²
1 000
Krasne - lokalizacja przybliżona
Bezpośrednio od właściciela

Jeśli nie potrzebujesz pośrednika, zaoszczędzisz około 2 300 zł. Potrzebujesz wsparcia? Skorzystaj z pomocy agenta.

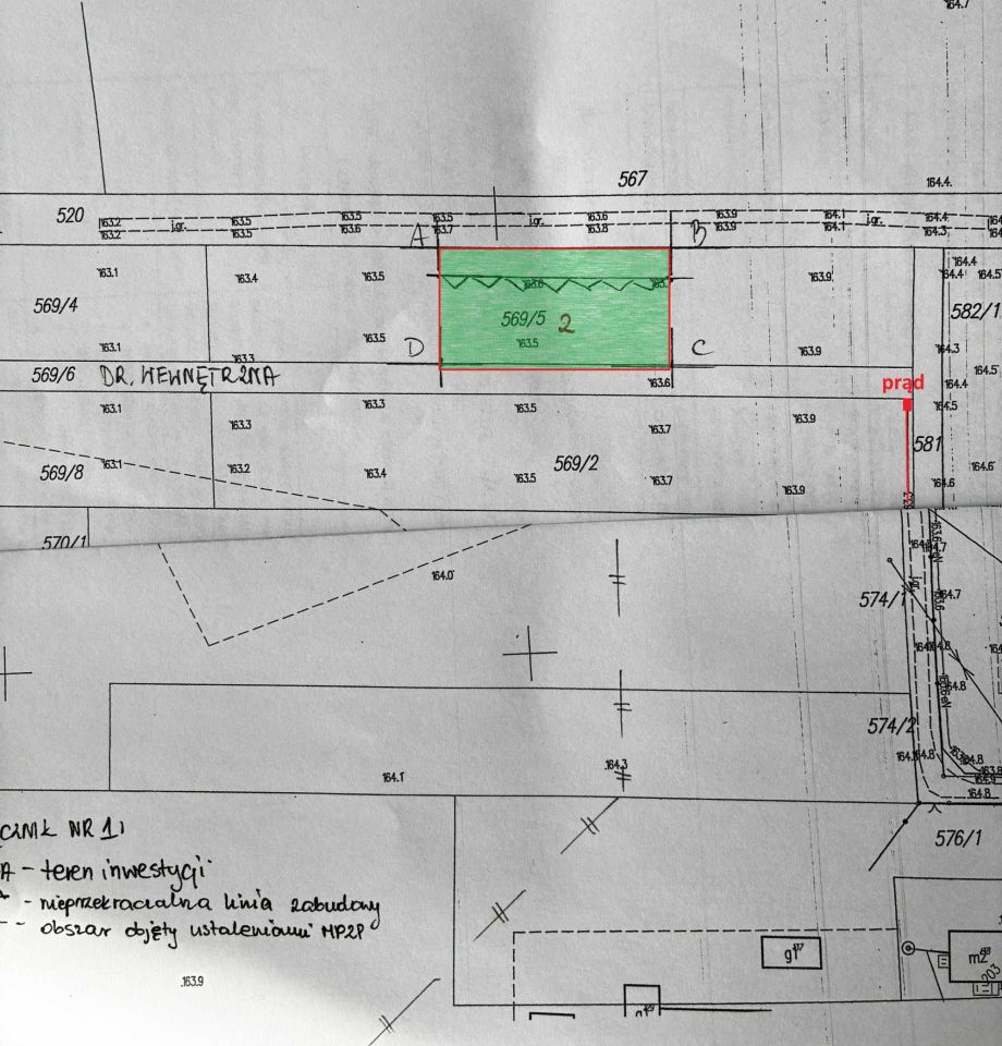
Na sprzedaż atrakcyjna działka o powierzchni 10 arów (1000 m²), położona w miejscowości Krasne, gmina Uścimów, w województwie Lubelskie.

Działka ma regularny, prostokątny kształt o wymiarach ok. 44 m × 22 m, co daje duże możliwości zagospodarowania terenu pod dom jednorodzinny z budynkiem gospodarczym.

Najważniejsze informacje:
- powierzchnia: 10 arów (1000 m²)
- wymiary: 44 m × 22 m
- prąd w pobliżu działki
- dojazd drogą utwardzoną
- wydane warunki zabudowy na budowę domu jednorodzinnego z budynkiem gospodarczym (decyzja w trakcie finalizacji)
- spokojna, zielona okolica idealna pod budowę domu lub rekreację

Dużym atutem działki jest bliskość jeziora - około 1 km, co daje możliwość wypoczynku, wędkowania i spacerów w otoczeniu natury.

To idealne miejsce dla osób szukających spokojnej lokalizacji z dala od zgiełku miasta.

  • Krasne, gmina Uścimów, powiat lubartowski  
  • Na sprzedaż działka budowlana o powierzchni 1 000 m²  
  • Dojazd utwardzony
  • Oferta bezpośrednio od właściciela dodana ponad miesiąc temu
Ta nieruchomość może być Twoja od.. sprawdź
15000 zł (20%) Okres spłaty: 30 lat

Podobne działki na sprzedaż

2
Działka budowlana Kozłówka Sachalin

100 000

1400

Sprzedam działkę budowlaną w Kozłówce.media w działce.internet światłowód.bardzo dobra lokalizacja.szybki dojazd do Lublina lub Lubartowa.

Zobacz ogłoszenie
7
Działka budowlana Orzechów-Kolonia

86 000

1800

Działka położona w miejscowości Orzechów Kolonia na pograniczu powiatu Lubartów i Parczew. Usytuowana przy drodze asfaltowej z dostępem do prądu oraz linii wodociągowej. Działka znajduje się wśród jeziora Tomaszne w linii prostej 1 km. W pobliżu innych jezior: Zagłębocze, Bialskie, Skomelno, Maśluch...

Zobacz ogłoszenie
2
Działka budowlana Rozkopaczew

80 000

2300

Działki budowlane, 600 m do centrum miejscowości (szkoła, przedszkole, kościół, przychodnia, sklepy)

Zobacz ogłoszenie
10
Działka budowlana Kunów

85 000

1000

Sprzedam działki w miejscowości Kunów (gmina Firlej) 250m do Jeziora Kunów, 3 km do jeziora Firlej Wszystkie działki objęte są Miejscowym Planem Zagospodarowania Przestrzennego (MPZP- H10 MN,ML) przewidziane są pod zabudowę jednorodzinną z dopuszczeniem zabudowy letniskowej, agroturystycznej i usł...

Zobacz ogłoszenie
2
Działka budowlana Kamionka, ul. Leśna

89 000

1200

działka budowlana, zabudowa mieszkaniowa jednorodzinna, działka szeroka 40m, atrakcyjna lokalizacja, media, 511-165-154, 1,5 km od centrum miasta Kamionka (urząd, sklepy, usługi), 3 km od Pałacu Zamoyskich

Zobacz ogłoszenie
3
Działka budowlana Serniki, ul. Polna

100 000

2000

Witam, Do sprzedania mam działkę budowlaną uzbrojoną w kanalizację, wodę o powierzchni 2000 m2 bez pośredników, w miejscowości Serniki przy ul Polnej. Działka jest o wymiarach 9,80m szeroka miejscami kilka cm szerzej do 9,90 m i długa 200m. Pod koniec działki stoi słup wskazany na zdjęciu nie przesz...

Zobacz ogłoszenie