Działka na sprzedaż bez pośredników
ul. Jana Tychy Wygorzele

Działka budowlana Tychy Wygorzele, ul. Jana. Zdjęcie 1

Działka na sprzedaż bez pośredników Tychy Wygorzele ul. Jana

356 000
445 zł/m²
800
Tychy Wygorzele, Jana - lokalizacja przybliżona
Bezpośrednio od właściciela

Jeśli nie potrzebujesz pośrednika, zaoszczędzisz około 10 700 zł. Potrzebujesz wsparcia? Skorzystaj z pomocy agenta.

Tychy - Wygorzele ul. Jana
ZACISZNE MIEJSCE!!!

Działki na sprzedaż, bez pośredników, cena - 445 zł/m2
Biurom nieruchomości i pośrednikom dziękujemy.

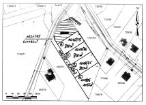
Cztery działki budowlane z prywatną drogą:
Działka 1 - 1016/75 - 800 m2, prostokąt - REZERWACJA!!!
Działka 2 - 1017/75 - 800 m2, prostokąt
Działka 3 - 1018/75 - 800 m2, prostokąt
Działka 4 - 1019/75 - 1055 m2, trapez prostokątny (cena 469 475 zł)
Do zakupu należy doliczyć udział w drodze wewnętrznej działki 1020/75 i 1021/75.

Pierwsze zdjęcie to tylko wizualizacja zagospodarowania działek - działki oczywiście czekają na Twoje własne pomysły.

Działki ogrodzone siatką leśną.
Dojazd - droga asfaltowa.
Media - woda, kanalizacja w granicy działek, prąd w ul. Jana, gaz w pobliżu ul. Długa.
Działki mają wydany aktualny miejscowy plan zagospodarowania terenu 01.09.2025 pod zabudowę mieszkaniową jednorodzinną o symbolu 1MN.
Tutaj nie powstaną zakłady pracy czy warsztaty.
Atuty działek to wewnętrzna "Twoja" prywatna droga ze zjazdem bezpośrednio na drogę asfaltową ul. Jana.
Łatwy i szybki dojazd do centrum Tychów i wylotówki Bielsko Biała-Katowice, Mikołów-Oświęcim.
Nieopodal przystanek autobusowy, szkoła i przedszkole, w okolicy paczkomat Inpost, piekarnia, sklep spożywczy i las. Szkoła podstawowa i przedszkole w odległości 2 km (kursuje autobus szkolny).

Ale największy atut to zaciszne miejsce do życia. Wiem bo mieszkamy w okolicy :)

Chcesz kupić wszystkie działki to negocjuj. Może zdążysz :)

  • ul. Jana, Tychy Wygorzele  
  • Na sprzedaż działka budowlana o powierzchni 800 m²  
  • Dojazd asfalt
  • Ogrodzenie siatka
  • Media woda, kanalizacja, prąd, gaz
  • Oferta bezpośrednio od właściciela dodana ponad miesiąc temu
Ta nieruchomość może być Twoja od.. sprawdź
71000 zł (20%) Okres spłaty: 30 lat

Podobne działki na sprzedaż

3
Działka budowlana Tychy Jaroszowice, ul. Poprzeczna

360 000

1100

Działka o powierzchni 1086m,znajduje się w pobliżu nowego osiedla na ul Poprzecznej

Zobacz ogłoszenie
8
Działka budowlana Tychy Glinka, ul. Jagodowa

320 000

480

Na sprzedaż działka budowlana zlokalizowana w Tychach w dzielnicy Glinka, w doskonale skomunikowanej części miasta. Blisko do dworca PKP ( 5 min) , przystanku autobusowego ( 5 min) wyjazdu autem do Katowic, Mikołowa, Bielska. Przeznaczenie działki to zabudowa mieszkaniowa jednorodzinna. Jedna z gra...

Zobacz ogłoszenie
4
Działka budowlana Tychy Mąkołowiec, ul. Mąkołowska

355 900

720

Prostokątna, płaska działka położona w zacisznym i zielonym miejscu. Jest to druga linia zabudowy z dojazdem od ul. Mąkołowskiej. Działka otoczona jest nieruchomościami z zabudową jednorodzinną. Wzdłuż jednego dłuższego boku znajduje się drzewostan sosnowy na sąsiedniej działce. Media: woda, prąd, ...

Zobacz ogłoszenie
3
Działka budowlana Tychy Czułów, ul. Modrzewiowa

385 000

867

Działka budowlana 867 m2. Teren płaski, dojazd drogą asfaltową, działka ogrodzona, pusta. Media: woda, prąd, kanalizacja w drodze głównej. Działka w świetnej, spokojnej okolicy. W pobliżu łąki oraz lasy.

Zobacz ogłoszenie
2
Działka budowlana Tychy Mąkołowiec, ul. Mąkołowska

445 000

995

Dzień dobry. Do sprzedania działka budowlana w dzielnicy Mąkołowiec o powierzchni 995 m². - Wjazd od drogi asfaltowej, ul. Mąkołowskiej. - Posiada aktualny plan zagospodarowania przestrzennego pod zabudowę jednorodzinną. Ogłoszenie prywatne. Zapraszam.

Zobacz ogłoszenie
1
Działka budowlana Tychy, ul. Rolna

420 000

486

Działka, położona przy ul. Rolnej w Tychach, w całości przeznaczona pod zabudowę usługowo-mieszkaniową, zgodnie z uchwałą nr XLVII/880/23 Rady Miasta Tychy z dnia 9 lutego 2023 r. w sprawie miejscowego planu zagospodarowania przestrzennego dla obszaru położonego w rejonie Osiedli H i Ł pomiędzy u...

Zobacz ogłoszenie