Działka na sprzedaż bez pośredników
Ryjewo  

NOWA OFERTA
Działka budowlana Ryjewo. Zdjęcie 1

Działka na sprzedaż bez pośredników Ryjewo

80 000
62 zł/m²
1 300
Ryjewo - lokalizacja przybliżona
Bezpośrednio od właściciela

Jeśli nie potrzebujesz pośrednika, zaoszczędzisz około 2 400 zł. Potrzebujesz wsparcia? Skorzystaj z pomocy agenta.

Działka jest położona w samym centrum Ryjewa. Wszystkie media są w drodze. Dojazd do działki jest z drogi asfaltowej. W okolicy znajduje się poczta, szkoła, gmina, sklepy, stacja PKP.
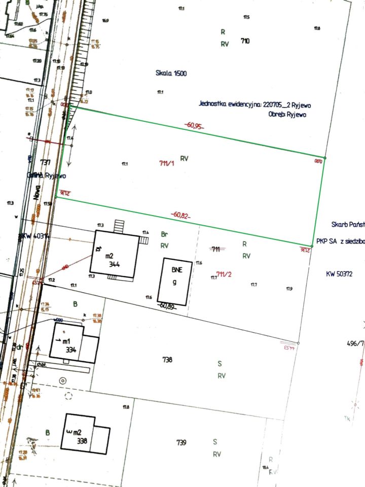
Działka ma numer 711/1, wielkość 1300 m2.
Wymiar około: 21,5 m szerokość, długość 60,5 m.
Istnieje możliwość dokupienia sąsiadującej działki w wielkości 1316 m2, na której znajduje się dom.
W razie pytań proszę dzwonić.

  • Ryjewo, powiat kwidzyński  
  • Na sprzedaż działka budowlana o powierzchni 1 300 m²  
  • Wymiary Długość: 60 m, szerokość: 60 m
  • Dojazd asfalt
  • Oferta bezpośrednio od właściciela dodana dodana dzisiaj
Ta nieruchomość może być Twoja od.. sprawdź
16000 zł (20%) Okres spłaty: 30 lat

Podobne działki na sprzedaż

5
Działka budowlana Ryjewo, ul. Mątowska

105 000

1228

Sprzedam ładne działki budowlane z warunkami zabudowy pod domek jednorodzinny lub mała działalność . Działki proste, płaskie, suche słoneczne w kształcie prostokąta.W okolicy dużo lasów i zieleni. Prąd woda obok działki,możliwość wybudowania przydomowej oczyszczalni.Dibry dojazd blisko drogi asfal...

Zobacz ogłoszenie
6
Działka budowlana Ryjewo, ul. Mątowska

99 000

1046

Sprzedam bardzo ładną działkę budowlaną 1046 m (na mapie działka nr.3) w gminnej miejscowości Ryjewo. Działka prosta, płaska, sucha, słoneczna w kształcie prostokąta, w okolicy dużo lasów i zieleni. Prąd i woda obok działki, kanalizacja w trakcie realizacji, dobry dojazd - blisko drogi asfaltowej (7...

Zobacz ogłoszenie
4
Działka budowlana Czarne Dolne

99 900

2600

Na sprzedaż działka budowlana o powierzchni 2600 mkw w miejscowości Czarne Dolne (działka nr 266). Województwo Pomorskie, powiat Kwidzyński, gmina Gardeja. Działka o powierzchni 2600 mkw. Nieregularny kształt, przez działkę przechodzi rów melioracyjny. Media: prąd, woda, kanalizacja. Działka nieogro...

Zobacz ogłoszenie
1
Działka budowlana Ryjewo, ul. Na Skarpie

90 000

1500

Ładnie położona działka pod lasem w miejscowości Ryjewo, niedaleko Kwidzyna. Działka w centrum miejscowości ul.Na skarpie.

Zobacz ogłoszenie
3
Działka budowlana Czarne Małe

50 000

2000

Sprzedam działki budowlane. Łączna powierzchnia: 20 ar. 3 km do jeziora. Piękna i cicha okolica.

Zobacz ogłoszenie
6
Działka budowlana Bądki

80 000

1490

Sprzedam działki budowlane z warunkami zabudowy pomiędzy miejscowości Bądki i Krzykosy. Działki zaznaczone /opisane/ na czerwono: 81/6 - 14,9 ar 81/7 - 14,4 ar 81/8 - 14,3 ar 81/9 - 20,0 ar 81/11 - 19,0 ar 81/12 - 17,1 ar 81/13 - 16,0 ar 81/14 - 16,0 ar 81/15 - 16,0 ar Działki położone w obrębie wsi...

Zobacz ogłoszenie