Działka na sprzedaż bez pośredników
ul. Książęca Marczyce

Działka budowlana Marczyce, ul. Książęca. Zdjęcie 1

Działka na sprzedaż bez pośredników Marczyce ul. Książęca

1 550 000
62 zł/m²
25 117
Marczyce, Książęca - lokalizacja przybliżona
Bezpośrednio od właściciela

Jeśli nie potrzebujesz pośrednika, zaoszczędzisz około 46 500 zł. Potrzebujesz wsparcia? Skorzystaj z pomocy agenta.

Wyjątkowa działka na stoku południowym nasłonecznionym nad zalewem wodnym Sosnówki we wsi Marczyce ,położona przy głównej drodze z Karpacza do Podgórzyna i dalej Szklarskiej Poręby oraz Jakuszyc i Czech ,ze wspaniałymi widokami na Karkonosze i Izery ,w zacisznej części lekko pochylonego terenu otoczona lasem , z dala od głównej drogi. Po przeciwnej stronie apartamenty Lake Hill i nowo budowana infrastruktura turystyczna z apartamentowcami w sąsiedniej części stoku w znacznej odległości od prezentowanej działki z granicą przeciętą lasem .
Podzielona na mniejsze parcele zgodnie z posiadaną decyzję o warunkach zabudowy . W studium uwarunkowań teren oznaczony jest UT jako teren usług rekreacyjnych ,turystycznych i sanatoryjno-uzdrowiskowych.
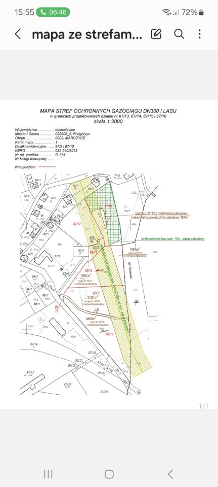
Przez działki 87/14 i 87/15 w ich prawej górnej części przechodzi gazociąg średniego podwyższonego ciśnienia i istnieje zgodnie z mapą strefa kontrolowana
Działki pod wydzielone drogi to 1359 m2
Podana cena obejmuje całość nieruchomości,w przypadku zainteresowania jedną lub dwoma działkami cena jest ustalana w rozmowie z zainteresowanym .Zapraszam do obejrzenia
Teren nie posiada planu zagospodarowania przestrzennego ,
Kanalizacja w drodze , pozostałe media do przyłączenia w pobliżu.

  • ul. Książęca, Marczyce, gmina Podgórzyn, powiat karkonoski  
  • Na sprzedaż działka budowlana o powierzchni 2,51 ha (25 117 m²)  
  • Dojazd utwardzony
  • Ogrodzenie bez ogrodzenia
  • Media woda nieprzyłączona, brak kanalizacji, prąd nieprzyłączony, gaz nieprzyłączony
  • Cena do negocjacji  
  • Oferta bezpośrednio od właściciela dodana ponad miesiąc temu
Ta nieruchomość może być Twoja od.. sprawdź
310000 zł (20%) Okres spłaty: 30 lat

Podobne działki na sprzedaż

2
Działka budowlana Szklarska Poręba, ul. 1 Maja

1 348 000

2455

Opis nieruchomości *** Oferta na wyłączność nie szukaj dalej *** Nieruchomość na sprzedaż, działki zlokalizowane w Szklarskiej Porębie w okolicy Blue Mountain Resort. Nieruchomość o łącznej powierzchni 7561 m2, na którą składają się 3 działki budowlane oraz działka drogowa. Dojazd drogą asfaltową...

Zobacz ogłoszenie
7
Działka budowlana Karpniki

1 180 000

5900

Na sprzedaż działka budowlana z murowaną stodołą, położona w malowniczej miejscowości Karpniki k. Jeleniej Góry, gmina Mysłakowice, w atrakcyjnej części Kotliny Jeleniogórskiej. To idealna propozycja dla osób marzących o niebanalnym domu z charakterem lub klimatycznej inwestycji. Stodoła doskonale ...

Zobacz ogłoszenie
18
Działka budowlana Barcinek

1 250 000

5026

MN 5026 m.kw.**KARKONOSKI**PARK**LAS**RZEKA**JEZIORO** Działka budowlana MN, położeniem blisko miasta, na skraju malowniczych formacji Pogórza Izerskiego sięgających panoramą na Karkonosze. Barcinek, geograficzny „Drugi” - to znany od dekad profilowany mikroklimat, spokój i wypoczynkowa aura, dynam...

Zobacz ogłoszenie
8
Działka budowlana Zachełmie

1 880 000

1,06 ha

Słoneczny stok z widokiem na Chojnik. Kompleks inwestycyjny. Jedyna taka lokalizacja - przepiękny widok na usytuowany na zalesionym wzgórzu Zamek Chojnik. Sprzedam działki w Zachełmiu położone przy drodze asfaltowej z Podgórzyna do Zachełmia ( tzw. serpentynie ), usytuowane na przeciwko Zamku Chojni...

Zobacz ogłoszenie
4
Działka budowlana Szklarska Poręba Marysin, ul. 1 Maja

1 633 000

1633

BEZPOŚREDNIO*BEZPOŚREDNIO*BEZPOŚREDNIO*BEZPOŚREDNIO* Sprzedam działkę budowlaną objętą MPZP w Szklarskiej Porębie Górnej, graniczącą z lasem oraz pensjonatami. W najbliższej okolicy Hotel Olimp, Blue Mountain, apartamenty. Sprzedającym jest osoba fizyczna(oferta prywatna- bez pośredników). Plan mi...

Zobacz ogłoszenie
1
Działka budowlana Jeżów Sudecki, ul. Słoneczna

1 600 000

5560

Sprzedam działkę budowlaną, uzbrojoną pod inwestycję zabudowy szeregowej. Bez pośredników.

Zobacz ogłoszenie