Działka na sprzedaż bez pośredników
ul. Mogileńska Pakość

Działka budowlana Pakość, ul. Mogileńska. Zdjęcie 1

Działka na sprzedaż bez pośredników Pakość ul. Mogileńska

118 085
55 zł/m²
2 147
Pakość, Mogileńska - lokalizacja przybliżona
Bezpośrednio od właściciela

Jeśli nie potrzebujesz pośrednika, zaoszczędzisz około 3 500 zł. Potrzebujesz wsparcia? Skorzystaj z pomocy agenta.

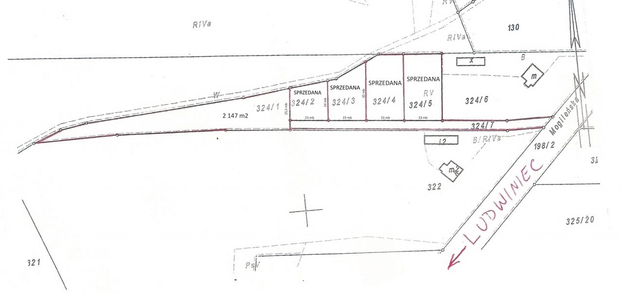
Działka budowlana w Pakości o 2147 m2, przy ul. Mogileńskiej 6 . Do działki prowadzi droga wewnętrzna o długości 100 metrów, łącząca działki z drogą powiatową, co w efekcie stanowi teren zamknięty dla właścicieli poszczególnych posesji. Media: prąd i woda w drodze. Dodatkowym atutem działek jest utwardzony dojazd i niezabudowany teren wokół. Dla oferowanych działek ustanowiono warunki zabudowy - zabudowa jednorodzinna.

  • ul. Mogileńska, Pakość, powiat inowrocławski  
  • Na sprzedaż działka budowlana o powierzchni 2 147 m²  
  • Numer ewidencyjny działki w geoportal.gov.pl 324/1
  • Wymiary Długość: 82 m, szerokość: 26 m
  • Dojazd utwardzony
  • Ogrodzenie bez ogrodzenia
  • Media woda nieprzyłączona, prąd nieprzyłączony
  • Cena do negocjacji  
  • Oferta bezpośrednio od właściciela dodana ponad miesiąc temu i zaktualizowana ponad tydzień temu
Ta nieruchomość może być Twoja od.. sprawdź
24000 zł (20%) Okres spłaty: 30 lat

Podobne działki na sprzedaż

4
Działka budowlana Słońsko

110 000

1696

Na sprzedaż działka budowlana o powierzchni 1696 m² w miejscowości Słońsko (gm. Inowrocław). Działka położona jest na nowym osiedlu domów jednorodzinnych, tylko 6 km od granicy miasta. Imponująca powierzchnia działki daje niezwykle szerokie możliwości aranżacji terenu. Bez trudu zmieścisz tu wymarz...

Zobacz ogłoszenie
9
Działka budowlana Łącko

97 000

1100

Działki budowlane nad jeziorem w Łącku ok 300m do jeziora i plaży. Warunki zabudowy na większość działek, jest skrzynka z Prądem przy większości działek oraz przyłącza wody w drodze. -mozna zacząć sie budować. (Pozostały wolne działki, jeśli planujesz zakup z zaprzyjaźnioną rodziną czy znajomymi) L...

Zobacz ogłoszenie
20
Działka budowlana Mielno

85 000

667

Działki budowlane oddalone są od jeziora o100- 250 metrów. Dwie działki z kawałkiem lasu( dęby). Teren jest bardzo atrakcyjny, cisza, spokój, obok las liściasty oraz mnóstwo łąk zachęcających do spacerów. Mimo tych wiejskich uroków mamy jedynie 2,6 km do pobliskiego miasta Pakość. Do działek prowadz...

Zobacz ogłoszenie
1
Działka budowlana Słońsko

115 000

1850

Zdecydowanie sprzedam działkę budowlaną o powierzchni 1850m2 zlokalizowaną w miejscowości Słońsko gmina Inowrocław . Wjazd na działkę bezpośrednio z drogi asfaltowej Działka o wymiarach ok. 50x35 . Wydane warunki zabudowy . Cena 62 zł /m.

Zobacz ogłoszenie
8
Działka budowlana Mielno

120 000

1008

Urokliwa działka budowlana w otoczeniu lasu, jeziora Mielno/Łącko oraz pól uprawnych i łąk - idealne miejsce na Twój dom! Numer działki: 37/13 Identyfikator działki: 040707_5.0009.37/13 Obręb: Mielno Gmina: Pakość Powiat: Inowrocławski Województwo: kujawsko - pomorskie Powierzchnia: 1008 m2 Marzys...

Zobacz ogłoszenie
2
Działka budowlana Łącko

125 000

1080

Na sprzedaż atrakcyjna działka budowlana o powierzchni 1080 m², położona w miejscowości Łącko, gmina Pakość, powiat inowrocławski, woj. kujawsko-pomorskie. * Wydane warunki zabudowy (WZ) * Media: prąd i woda w drodze * Regularny kształt - idealna pod dom jednorodzinny lub rekreacyjny Działka znajd...

Zobacz ogłoszenie