Działka na sprzedaż bez pośredników
ul. Bielska Orla

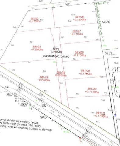
Działka budowlana Orla, ul. Bielska. Zdjęcie 1

Działka na sprzedaż bez pośredników Orla ul. Bielska

67 000
58 zł/m²
1 150
Orla, Bielska - lokalizacja przybliżona
Bezpośrednio od właściciela

Jeśli nie potrzebujesz pośrednika, zaoszczędzisz około 2 000 zł. Potrzebujesz wsparcia? Skorzystaj z pomocy agenta.

Posiadam na sprzedaż działki zagrodowo- budowlane z miejscowym planem zagospodarowania przestrzennego w miejscowości Orla przy drodze powiatowej Orla - Bielsk Podlaski . Przy działkach jest doprowadzona woda , gaz i kanalizacjia. Dojazd drogą asfaltową. Cena za najmniejszą działkę 1150 m2.

  • ul. Bielska, Orla, powiat bielski  
  • Na sprzedaż działka budowlana o powierzchni 1 150 m²  
  • Numer ewidencyjny działki 581/25
  • Dojazd asfalt
  • Media woda, kanalizacja, gaz
  • Oferta bezpośrednio od właściciela dodana ponad miesiąc temu i zaktualizowana ponad tydzień temu
Ta nieruchomość może być Twoja od.. sprawdź
13000 zł (20%) Okres spłaty: 30 lat

Podobne działki na sprzedaż

2
Działka budowlana Orla, ul. Partyzantów

70 000

990

Sprzedam działkę budowlaną o powierzchni 990 m² położoną w miejscowości Orla, około 12 km od Bielska Podlaskiego. Działka posiada wydane warunki zabudowy, co umożliwia budowę domu jednorodzinnego . Wszystkie media do podłączenia są przy asfaltowej drodze niedawno wykonanej . Nieruchomość znajduje ...

Zobacz ogłoszenie
1
Działka budowlana Brańsk, ul. Armii Krajowej

60 000

1000

Działki za domek typu bliźniak ulica armii krajowej. Więcej informacji telefonicznie

Zobacz ogłoszenie
14
Działka budowlana Ploski

45 000

2300

Bez pośrednika kontakt sześć sześć sześć siedem dwa sześć siedem cztery cztery Witam serdecznie, Polecam Państwu do zakupu moją działkę o powierzchni 2300m2 z wydanymi warunkami zabudowy, która leży w województwie podlaskim - 28km od Białegostoku. Do rzeki Narew oraz do granicy Parku Puszcz...

Zobacz ogłoszenie
4
Działka budowlana Knorozy

90 000

1444

Witam!! Sprzedam działkę z budynkiem!!! Nr działki 397/2. Powierzchnia działki 1444 m2. Działka położona we wsi Knorozy, gmina Bielsk Podlaski.

Zobacz ogłoszenie
2
Działka budowlana Orla, ul. Poświętna

90 000

2200

Sprzedam działkę budowlaną o powierzchni 2200 m² położoną w miejscowości Orla, około 12 km od Bielska Podlaskiego. Działka posiada wydane warunki zabudowy, co umożliwia budowę domu jednorodzinnego z dwóch stron . Działka jest obecnie w trakcie podziału na dwie mniejsze, po 1100 m , dojazd jest z ...

Zobacz ogłoszenie
4
Działka budowlana Łubin Kościelny

92 000

1 ha

Do sprzedania pięć dużych, sąsiadujących działek budowlanych(o łącznej powierzchni ~1 ha) w kształcie regularnego prostokąta – każda po ok. 20 arów. Działki posiadają decyzję o warunkach zabudowy (DWU), co znacznie ułatwia rozpoczęcie inwestycji! **Wszystkie media na miejscu:** prąd, woda, kanal...

Zobacz ogłoszenie