Działka na sprzedaż bez pośredników
Wola Krasienińska  

Działka budowlana Wola Krasienińska. Zdjęcie 1

Działka na sprzedaż bez pośredników Wola Krasienińska

325 000
250 zł/m²
1 300
Wola Krasienińska - lokalizacja przybliżona
Bezpośrednio od właściciela

Jeśli nie potrzebujesz pośrednika, zaoszczędzisz około 9 800 zł. Potrzebujesz wsparcia? Skorzystaj z pomocy agenta.

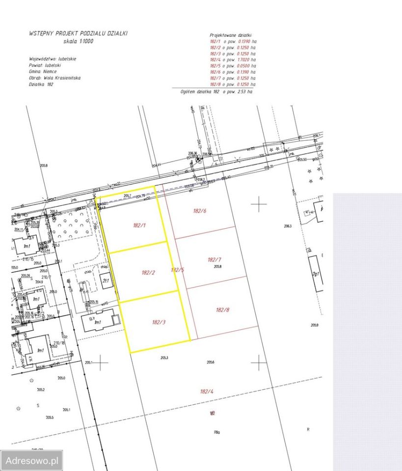
Na sprzedaż trzy działki budowlane o powierzchni ok. 1200-1300 m², zlokalizowane w miejscowości Wola Krasienińska.

Nieruchomości znajdują się w sąsiedztwie jednorodzinnych domów wolnostojących.
Bardzo dobry dojazd do Lublina, ok. 10 km.

Działki w trakcie podziału.

Przeznaczenie: W MPZP działki oznaczone symbolem MN - Tereny zabudowy mieszkaniowej jednorodzinnej.

Cena: 250 zł/m².

Biurom Nieruchomości oraz pośrednikom z góry dziękuję.

  • Wola Krasienińska, gmina Niemce, powiat lubelski  
  • Na sprzedaż działka budowlana o powierzchni 1 300 m²  
  • Oferta bezpośrednio od właściciela dodana ponad miesiąc temu
Ta nieruchomość może być Twoja od.. sprawdź
65000 zł (20%) Okres spłaty: 30 lat

Podobne działki na sprzedaż

8
Działka budowlana Pólko

250 000

2700

Na sprzedaż bardzo ładna i prosta działka o powierzchni 2 700 m2, wymiary ok. 19 m x 141 m w miejscowości Pólko/Nasutów w bliskiej odległości od Alei Lipowej. Teren objęty MPZP z oznaczeniem MN w ok 70 % - teren zabudowy mieszkaniowej jednorodzinnej i w ok. 30 % RP – teren upraw polowych. Działka ...

Zobacz ogłoszenie
12
Działka budowlana Nasutów

399 000

4205

Na sprzedaż działka budowlana o pow. 4200 m2 w Nasutowie – idealna dla rodziny, która ceni sobie spokój oraz bliskość natury! Lokalizacja: Nasutów, gmina Niemce, województwo lubelskie Opis nieruchomości: Oferujemy na sprzedaż wyjątkową działkę budowlaną o numerze ewidencyjnym 1065/2, położoną w ma...

Zobacz ogłoszenie
6
Działka budowlana Krasienin

350 000

2554

Sprzedam działkę budowlaną w miejscowości Krasienin, w atrakcyjnej lokalizacji przy drodze wojewódzkiej. Działka o powierzchni 25,54 ar, składająca się z nr (423, 424, 425, 426), 2554 m2 (101x69x75 m). W niedalekiej odległości od lasu, co czyni ją idealnym miejscem do wypoczynku i budowy domu. Od...

Zobacz ogłoszenie
4
Działka budowlana Krasienin-Kolonia

315 000

2500

BEZPOŚREDNIO OD WŁAŚCICIELI Na sprzedaż ustawna działka budowlana o powierzchni 2500 m², położona w miejscowości Krasienin-Kolonia (gm. Niemce). To wyjątkowa oferta łącząca ogromną przestrzeń z pełnym dostępem do infrastruktury - wszystko, czego potrzebujesz na co dzień, znajduje się w zasięgu krót...

Zobacz ogłoszenie
6
Działka budowlana Krasienin

319 000

2341

Prezentujemy Państwu działkę o powierzchni 2341 m2 w Krasieninie. Idealne miejsce dla osób poszukujących ciszy i spokoju, a zarazem chcących mieć szybki dojazd do Lublina. Działka o wymiarach 20 m. na 115m. w kształcie prostokąta, ogrodzona. Na działce jest woda, w drodze prąd, gaz oraz światło...

Zobacz ogłoszenie
7
Działka budowlana Niemce Włóki

435 000

3000

Witam, Zapraszam do zakupu działki budowlanej o powierzchni 30 ar, wymiary 40 x 80 m, dojazd bezpośrednio z ulicy asfaltowej. Możliwość podzielenia na mniejsze działki. Działka znajduje się w miejscowości Włóki, gmina Niemce. Szybki dojazd do Lublina, spokojna okolica. Cena 14 500 zł za ar. Pr...

Zobacz ogłoszenie