Działka na sprzedaż bez pośredników
Jakubowice Konińskie  

Działka budowlana Jakubowice Konińskie. Zdjęcie 1

Działka na sprzedaż bez pośredników Jakubowice Konińskie

560 000
400 zł/m²
1 400
Jakubowice Konińskie - lokalizacja przybliżona
Bezpośrednio od właściciela

Jeśli nie potrzebujesz pośrednika, zaoszczędzisz około 16 800 zł. Potrzebujesz wsparcia? Skorzystaj z pomocy agenta.

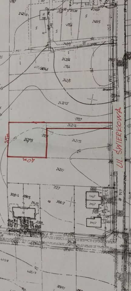
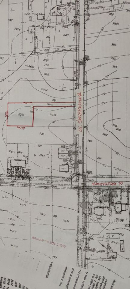
Działka budowlana o wymiarach 40mx35m, nr 242/13, i udział 1/3 w działce 242/14 (droga szerokości 5m). Wydane warunki techniczne przyłącza wodociągowego, oświadczenie o warunkach przyłączenia do sieci gazowej. Działka leży w terenie zabudowy zagrodowej MR z dopuszczeniem do zabudowy MN, zgodnie z planem zagospodarowania przestrzennego. Działka w malowniczej okolicy, bardzo blisko od Lublina ok. 3km. niemal u zbiegu ul. Kasztanowej i Świerkowej, w bezpośrednim sąsiedztwie nowe inwestycje, domy, osiedle kilku domów. Serdecznie polecam.

  • Jakubowice Konińskie, gmina Niemce, powiat lubelski  
  • Na sprzedaż działka budowlana o powierzchni 1 400 m²  
  • Wymiary Wymiary działki: 40mx35m
  • Media woda
  • Oferta bezpośrednio od właściciela dodana ponad miesiąc temu i zaktualizowana ponad tydzień temu
Ta nieruchomość może być Twoja od.. sprawdź
112000 zł (20%) Okres spłaty: 30 lat

Podobne działki na sprzedaż

6
Działka budowlana Nasutów

715 000

7000

Działka o powierzchni 70ar w Nasutowie. Doskonała pod osiedle domów. Pierwsza linia zabudowy, dojazd drogą asfaltową. Działka płaska, w kształcie prostokąta. Łatwy dostęp do mediów: gaz, woda, prąd. W okolicy zabudowa jednorodzinna. W bliskiej odległości jest sklep spożywczy, 1,5km do przystanku kom...

Zobacz ogłoszenie
4
Działka budowlana Boduszyn

590 000

4500

Dzień dobry, mam do sprzedania działkę budowlaną o pow. 4500m2. Wymiary - 24m szerokości, 191m długości. Działka prostokątna o płaskiej powierzchni. Położona w pierwszym pasie zabudowy. Nieruchomość leży w terenie zabudowy zagrodowej MR z dopuszczeniem do zabudowy jednorodzinnej MN. Media znajdujące...

Zobacz ogłoszenie
4
Działka budowlana Niemce, ul. Spacerowa

760 000

5000

Działka budowlana w miejscowości Niemce ul.Spacerowa tylko 10 km do granic Lublina i w przyszłości bardzo blisko od węzła zjazdowego z nowej S 19 działka znajduje się przy drodze utwardzonej asfaltowej wszystkie media znajdują się około 100 m od działki sprzedaż tylko bezpośrednia pośrednikom dzięku...

Zobacz ogłoszenie
5
Działka budowlana Jakubowice Konińskie, ul. Akacjowa

522 000

1307

Sprzedam bez pośredników 2 działki budowlane w Jakubowicach Konińskich ul. Akacjowa przy granicy z miastem Lublin Nr działek: 550/3 o pow. 1.307 m2 Działka 550/3 kształtem zbliżona jest do kwadratu, o równej powierzchni ma świetną lokalizację wśród domków jednorodzinnych, przy asfaltowej drodze,...

Zobacz ogłoszenie
12
Działka budowlana Nasutów

399 000

4205

Na sprzedaż działka budowlana o pow. 4200 m2 w Nasutowie – idealna dla rodziny, która ceni sobie spokój oraz bliskość natury! Lokalizacja: Nasutów, gmina Niemce, województwo lubelskie Opis nieruchomości: Oferujemy na sprzedaż wyjątkową działkę budowlaną o numerze ewidencyjnym 1065/2, położoną w ma...

Zobacz ogłoszenie
4
Działka budowlana Jakubowice Konińskie

420 000

1500

Sprzedam działkę budowlaną przy ulicy Czeremchowej w Jakubowicach Konińskich-Kolonia.

Zobacz ogłoszenie