Działka na sprzedaż bez pośredników
ul. Kolumny Łódź Górna

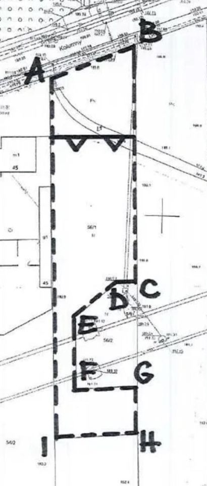
Działka budowlana Łódź Górna, ul. Kolumny. Zdjęcie 1

Działka na sprzedaż bez pośredników Łódź Górna ul. Kolumny

398 000
180 zł/m²
2 208
Łódź Górna, Kolumny - lokalizacja przybliżona
Bezpośrednio od właściciela

Jeśli nie potrzebujesz pośrednika, zaoszczędzisz około 11 900 zł. Potrzebujesz wsparcia? Skorzystaj z pomocy agenta.

Oferuję do sprzedaży działkę o numerze 56/1, obręb G-46, o powierzchni 2.208 m2 z warunkami zabudowy (WZ) wydanymi 15.03.2024 r. na budowę domu jednorodzinnego.

Pełne uzbrojenie (prąd, woda, gaz, kanalizacja, światłowód) w drodze. Zrobiony zjazd bezpośrednio z ul. Kolumny.

Parametry WZ:

- linia zabudowy zgodnie z załącznikiem graficznym do ogloszenia,
- wskaźnik zabudowy 0,05-0,11
- szerokość elewacji frontowej 10-17,
- wysokość górnej krawędzi elewacji frontowej 2,7 - 5,
- dach dwu lub wielospadowy, nachylenie 10 -30 stopni,
- wysokość kalenicy 6,5 - 9 m.

W związku z faktem, iż zabudowa na sąsiedniej działce jest w granicy, możliwość realizacji zabudowy również wzdłuż wschodniej granicy działki (doklejenie się do sąsiedniego budynku).

Działka zlokalizowana w bliskiej odległości od Stawów Jana i centrum handlowego Nowa Górna (w skład którego wchodzi m.in. hipermarket Carrefour).

Z działką sąsiaduje działka miejsca o numerze 56/2 o powierzchni 488 m2 którą za zgoda UMŁ można by również ogrodzić. Na rzecz działki 56/2 jest ustanowiona służebność drogowa na działce 56/1 wzdłuż wschodniej granicy działki.

Przez działkę 56/1 przechodzi rów melioracyjny którego przebieg, w razie kolizji z planowanym zagospodarowaniem można zmienić za zgodą odpowiedniej jednostki.

Ogłoszenie bezpośrednie bez prowizji.

  • ul. Kolumny, Łódź Górna  
  • Na sprzedaż działka budowlana o powierzchni 2 208 m²  
  • Numer ewidencyjny działki 56/1
  • Wymiary Wymiary działki: Jak na załączonym zdjęciu
  • Dojazd asfalt
  • Ogrodzenie bez ogrodzenia
  • Media woda, kanalizacja, prąd, gaz
  • Oferta bezpośrednio od właściciela dodana ponad miesiąc temu i zaktualizowana ponad tydzień temu
Ta nieruchomość może być Twoja od.. sprawdź
80000 zł (20%) Okres spłaty: 30 lat

Podobne działki na sprzedaż

1
Działka budowlana Łódź Stoki

550 000

5000

Działka pow. 5tys. m2; ogrodzona; obsadzona żywopłotem i drzewami ozdobnymi oraz owocowymi; media wprowadzone (prąd, gaz, woda); na działce znajduje się budynek gospodarczy.

Zobacz ogłoszenie
5
Działka budowlana Łódź Górna, ul. Józefowska

389 000

1180

Sprzedam działkę 1180 m2 ok 15,5 m szeroka, dlugosc ok 76 m na ulicy Józefowskiej w bardzo dobrej okolicy: blisko znajduje sie wyjazd do autostrady, przystanki autobusowe 93,56 i 70, sklepy Carrefour, Lidl, Biedronka,sklep Grota, Stokrotka. W okolicy jest tez CZMP, las i stawy Jana. Media w ulicy (p...

Zobacz ogłoszenie
7
Działka budowlana Łódź Górna, ul. Ziemiańska

480 000

1744

Do sprzedaży działka o powierzchni 1744 m2 (30m x 58m) znajdująca się w Łodzi przy ulicy Ziemiańskiej. Działka z zatwierdzonym projektem budowlanym i pozwoleniem na budowę domu jednorodzinnego z garażem dwu stanowiskowym (widoczne w zatwierdzonym przez urząd projekcie, niewidoczne na wizualizacji d...

Zobacz ogłoszenie
5
Działka budowlana Łódź Górna, ul. Biwakowa

399 000

1500

Sprzedam działkę budowlaną o powierzchni 15 arów, położoną w malowniczej, zielonej okolicy doliny Neru na ulicy Biwakowej w Łodzi. Działka posiada warunki zabudowy dla domu jednorodzinnego. Teren całkowicie ogrodzony panelem metalowym na podbudowie płyty betonowej, z bramą metalową. Media takie jak ...

Zobacz ogłoszenie
1
Działka budowlana Łódź Górna, ul. Przedborska

438 360

1124

Witam, mam na sprzedanie działkę przy ul. Przedborskiej o powierzchni 1124 m2 numer działki na mapce 36/8. Działka zlokalizowana jest w spokojnej oraz zielonej okolicy, niedaleko znajduje się dobre połączenie do wjazdu na autostradę, osiedle Młynek oraz Park na Młynku. Możliwość podłączenia do medió...

Zobacz ogłoszenie
5
Działka budowlana Łódź Górna, ul. Kolumny

290 000

2000

Sprzedam działkę budowlaną, położoną tuż przy granicy miasta Łodzi. Ta niepowtarzalna nieruchomość jest marzeniem każdego poszukiwacza idealnego miejsca na wymarzony dom, zapewnia spokój i ucieczkę od miejskiego zgiełku, a jednocześnie pozostaje w wygodnej bliskości od wszystkich atrakcji Łodzi. Dz...

Zobacz ogłoszenie