Działka na sprzedaż
ul. Bolesława Śmiałego Rybnik Niedobczyce

Działka Rybnik Niedobczyce, ul. Bolesława Śmiałego. Zdjęcie 1
Działka Rybnik Niedobczyce, ul. Bolesława Śmiałego. Zdjęcie 2
Działka Rybnik Niedobczyce, ul. Bolesława Śmiałego. Zdjęcie 3
Działka Rybnik Niedobczyce, ul. Bolesława Śmiałego. Zdjęcie 4
Działka Rybnik Niedobczyce, ul. Bolesława Śmiałego. Zdjęcie 5
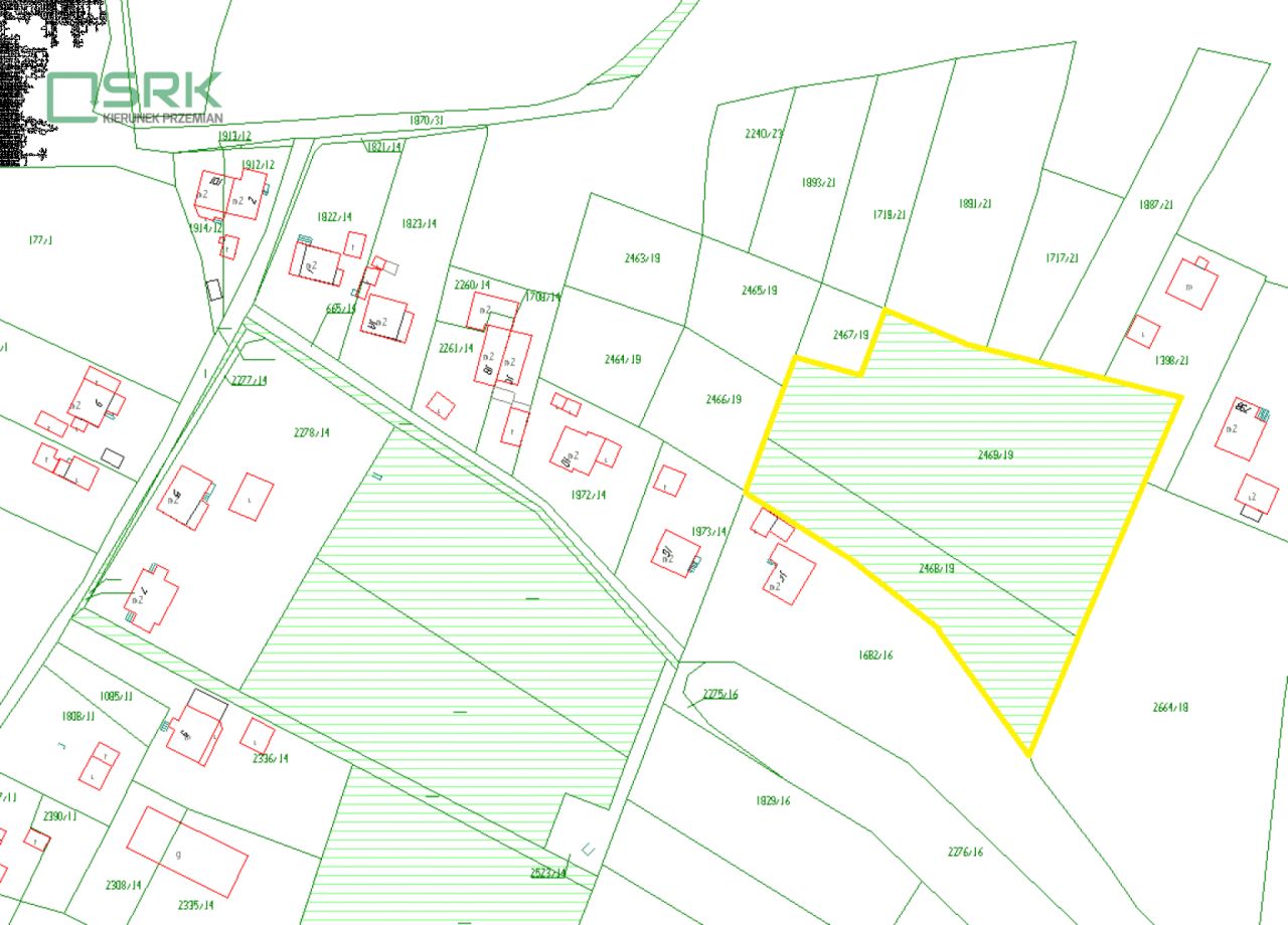
Działka Rybnik Niedobczyce, ul. Bolesława Śmiałego. Zdjęcie 6

Działka na sprzedaż Rybnik Niedobczyce ul. Bolesława Śmiałego

70 550
11 zł/m²
6 520
Rybnik Niedobczyce, Bolesława Śmiałego - lokalizacja przybliżona

Właściciel powierzył sprzedaż nieruchomości pośrednikowi. Możesz zadzwonić lub napisać do agenta za darmo.

Sprzedaż nieruchomości położonej w Rybniku w rejonie ul. Bolesława Śmiałego, obręb Niedobczyce o łącznej powierzchni 6520 m2, zapisanej w księdze wieczystej GL1Y/00129731/5 prowadzonej przez Sąd Rejonowy w Rybniku, w skład której wchodzą: prawo użytkowania wieczystego niezabudowanych działek nr 2468/19 oraz 2469/19.

Działki mają kształt regularny, od północnego zachodu wycięty. Teren działek znacznie nachylony w stronę południową, nierówny, w znacznym stopniu zadrzewiony i zakrzewiony. W bezpośrednim otoczeniu zlokalizowana jest luźna zabudowa jednorodzinna (wzdłuż ulic Janasa i Bolesława Śmiałego). Na południowy wschód od nieruchomości znajdują się tereny zieleni, tereny niezabudowane. W dalszej odległości zlokalizowane są punkty handlowo – usługowe i budynki użyteczności publicznej. W obrębie działek przebiegają dwie napowietrzne linie elektroenergetyczne oraz znajdują się na nich dwa słupy elektroenergetyczne.Nieruchomość nie posiada dostępu do drogi publicznej.

Zgodnie z zapisami Miejscowego Planu Zagospodarowania Przestrzennego, zatwierdzonego Uchwałą nr 545/XXXV/2005 Rady Miasta Rybnika z dnia 25.05.2005r., działka nr 2468/19 leży na terenie oznaczonym symbolem R ZR – tereny zalesień. Zgodnie z zapisami Miejscowego Planu Zagospodarowania Przestrzennego, zatwierdzonego Uchwałą nr 775/XLIX/2018 Rady Miasta Rybnika z dnia 27.06.2018r. dla części miasta Rybnika obejmującej obszar w rejonie ulicy Chodkiewicza, nieruchomość nr 2469/19 leży na terenie objętym jednostką planu 1 ZNU – tereny zieleni nieurządzonej.

Informacja telefoniczna w sprawie oferty jest udzielana w godz. 6.00 - 14.00 od poniedziałku do piątku.

  • ul. Bolesława Śmiałego, Rybnik Niedobczyce  
  • Na sprzedaż działka o powierzchni 6 520 m²  
  • Ogłoszenie biura nieruchomości  
  • Oferta dodana dodana dzisiaj
Ta nieruchomość może być Twoja od.. sprawdź
14000 zł (20%) Okres spłaty: 30 lat