Działka na sprzedaż bez pośredników
Siercz  

NOWA OFERTA
Działka rolna Siercz. Zdjęcie 1

Działka na sprzedaż bez pośredników Siercz

210 000
4 zł/m²
51 925
Siercz - lokalizacja przybliżona
Bezpośrednio od właściciela

Jeśli nie potrzebujesz pośrednika, zaoszczędzisz około 6 300 zł. Potrzebujesz wsparcia? Skorzystaj z pomocy agenta.

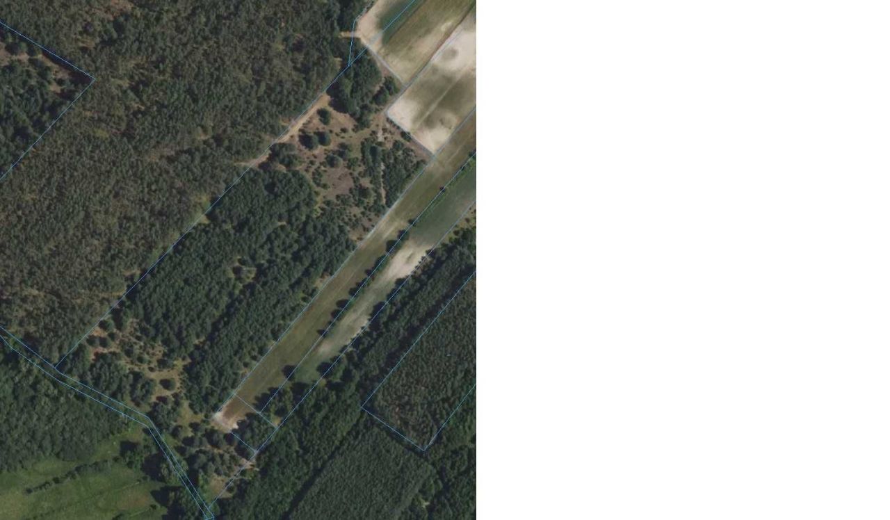
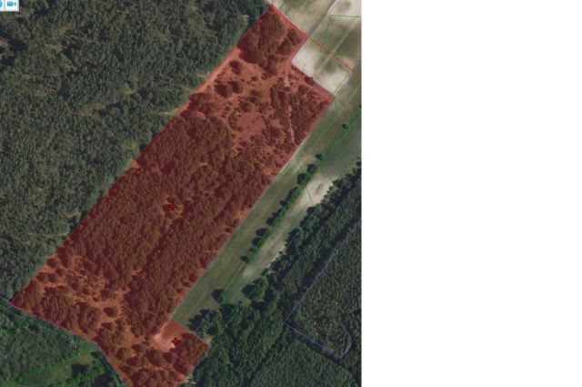
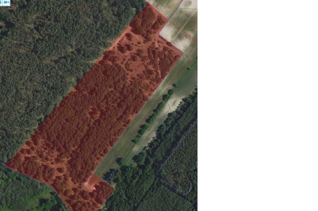
Na sprzedaż atrakcyjna nieruchomość rolna o łącznej powierzchni 5,1925 ha, składająca się z dwóch działek ewidencyjnych: nr 99/1 oraz 99/3, położona w miejscowości Siercz, gmina Trzciel, powiat międzyrzecki.

Opis nieruchomości:
Oferowany grunt stanowi zwarty areał o dużym potencjale inwestycyjnym oraz rolniczym. Działki charakteryzują się korzystnym ukształtowaniem terenu oraz dogodnym dostępem do dróg lokalnych, co ułatwia zarówno prowadzenie działalności rolniczej, jak i ewentualne zagospodarowanie pod inne cele.

Najważniejsze atuty nieruchomości:
* Duża powierzchnia - ponad 5 ha - idealna pod działalność rolną, inwestycyjną lub lokatę kapitału.
* Brak obciążeń prawnych - nieruchomość posiada uregulowany stan prawny, wolna od hipotek i roszczeń osób trzecich.
* Dogodna lokalizacja - spokojna okolica z dobrym dojazdem do Trzciela i okolicznych miejscowości.
* Potencjał inwestycyjny - w niedalekiej odległości przebiega linia elektroenergetyczna, co stanowi istotny atut w kontekście możliwości realizacji inwestycji takich jak farma fotowoltaiczna.
* Otoczenie terenów rolnych i zielonych - sprzyjające zarówno produkcji rolnej, jak i inwestycjom w odnawialne źródła energii.

Możliwości zagospodarowania:
* Uprawy rolne.
* Inwestycje w odnawialne źródła energii.
* Lokata kapitału w grunt o stabilnej wartości.
* Potencjalne przekształcenia.

Lokalizacja:
Nieruchomość położona jest w malowniczej części gminy Trzciel, w otoczeniu terenów rolnych i leśnych, co zapewnia ciszę i prywatność, a jednocześnie umożliwia sprawny dojazd do głównych dróg i infrastruktury.

To propozycja dla inwestorów oraz osób poszukujących większego areału ziemi z realnym potencjałem rozwoju. Szczególnie atrakcyjna dla podmiotów rozważających inwestycje w sektor OZE.

W celu wizji lokalnej oraz ustalenia szczegółów zapraszam do kontaktu.

UWAGA: Sprzedaż bezpośrednia.

  • Siercz, gmina Trzciel, powiat międzyrzecki  
  • Na sprzedaż działka rolna o powierzchni 5,19 ha (51 925 m²)  
  • Oferta bezpośrednio od właściciela dodana dodana dzisiaj
Ta nieruchomość może być Twoja od.. sprawdź
42000 zł (20%) Okres spłaty: 30 lat

Podobne działki na sprzedaż

1
Działka rolna Gaj

148 000

3,27 ha

Sprzedam działkę rolną numer 99, o powierzchni 3.27 ha, położoną w miejscowości Gaj, gmina Przytoczna, woj. lubuskie. Cena zgodnie z cennikiem gruntów wg GUS, klasa IV.

Zobacz ogłoszenie
8
Działka rolna Silna

288 750

9625

Mam przyjemność zaoferować Państwu przepięknie położoną działkę rolną nr 199/18 o powierzchni 0,9625 ha. Ze względu na powierzchnię działki możliwość kupienia jej przez osobę nie będącą rolnikiem! Nieruchomość zlokalizowana jest w małej miejscowości Silna (gm. Pszczew), w odległości ok. 80 km ...

Zobacz ogłoszenie
3
Działka rolna Przytoczna, ul. Fiołkowa

140 000

1030

Działka rolna 1030 m. Niedaleko szkoły podstawowej w Przytocznej. Nowe osiedle domków jednorodzinnych.

Zobacz ogłoszenie