Działka na sprzedaż bez pośredników
Dobrenice  

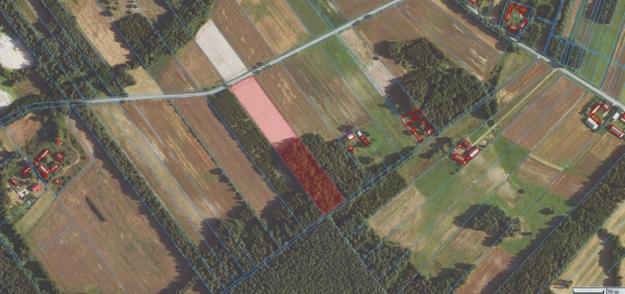
Działka rolna Dobrenice. Zdjęcie 1

Działka na sprzedaż bez pośredników Dobrenice

70 000
6 zł/m²
12 100
Dobrenice - lokalizacja przybliżona
Bezpośrednio od właściciela

Jeśli nie potrzebujesz pośrednika, zaoszczędzisz około 2 100 zł. Potrzebujesz wsparcia? Skorzystaj z pomocy agenta.

Sprzedam działkę rolną (rolno siedliskową) z możliwością uzyskania WZ siedliskowe. Działka bezpośrednio przy drodze asfaltowej szeroka w tylnej części działki las o pow. 0,27 ha oraz po prawej granicy działki młody las brzozowy. Możliwość doprowadzenia wody i prądu z odległości ok 150 m. Działka poza wsią w zacisznym miejscu o bardzo małym ruch pojazdów. Kl. V i VI sucha nieznacznie wyżej położona od sąsiednich działek.

  • Dobrenice, gmina Łęki Szlacheckie, powiat piotrkowski  
  • Na sprzedaż działka rolna o powierzchni 1,21 ha (12 100 m²)  
  • Plan w serwisie geoportal.gov.pl Otwórz plan
  • Numer ewidencyjny działki 98
  • Dojazd asfalt
  • Media woda nieprzyłączona, prąd nieprzyłączony
  • Cena do negocjacji  
  • Oferta bezpośrednio od właściciela dodana ponad miesiąc temu i zaktualizowana 4 dni temu
Ta nieruchomość może być Twoja od.. sprawdź
14000 zł (20%) Okres spłaty: 30 lat

Podobne działki na sprzedaż

4
Działka rolna Moszczenica, ul. Kosowska

84 160

840

Sprzedam działkę w Moszczenicy ul. Kosowska. Powierzchnia 840 metrów. Cena 99 zł za metr. Obecnie jest to działka rolna. Dwie pierwsze działką są już sprzedane. Zapraszam do kontaktu.

Zobacz ogłoszenie
8
Działka rolna Daniszewice

95 000

995

Urokliwa działka z warunkami zabudowy na dom całoroczny, położona w lesie nad Zalewem Cieszanowickim. Niecałe 5 minut drogi samochodem od linii brzegowej! Na sprzedaż działka położona w przepięknym lesie nad Zalewem Cieszanowickim. Nieruchomość zlokalizowana w Daniszewicach, gmina Gorzkowice, wojew...

Zobacz ogłoszenie
1
Działka rolna Kuźnica Żerechowska

95 000

3000

Do sprzedania Działka rolna polożona w woj. łódzkim powiecie piotrkowskim, gmina Łęki Szlacheckie, kuźnica żerechowska pow. 3000m2 10m. Szerokości x 300m. długość dojazd z dwóch stron drogą gminną utwardzoną. Do zalewu 200 metrów.

Zobacz ogłoszenie
5
Działka rolna Barkowice

80 000

3300

Dzień dobry, mam do sprzedania działkę rolną z możliwością przekształcenia na działkę budowlaną. Wielkość działki 3300 m². Nieruchomość znajduje się w Barkowicach w powiecie piotrkowskim, w gminie Sulejów. Barkowice to malownicza miejscowość położona nad Zalewem Sulejowskim, od którego działka z...

Zobacz ogłoszenie
2
Działka rolna Włodzimierzów, ul. Łęczyńska

70 000

3001

Działka rolno-rekreacyjna, składająca się z trzech działek. 118/17, 121/13, 120/1. Cisza, spokój, udział w drodze wspólnej.

Zobacz ogłoszenie
5
Działka rolna Krzepczów

50 000

980

Sprzedam pole (działkę rolną). Powierzchnia pola: 0,0980 ha, w miejscowości Krzepczów, gmina Grabica, powiat piotrkowski, województwo łódzkie. Klasa: R VI. Sąsiadujące inne działki rolne. Działka ma bezpośredni dostęp do drogi publicznej. Na działce znajduje się naturalne zagłębienie terenu oraz ...

Zobacz ogłoszenie