Działka na sprzedaż bez pośredników
ul. Bazyliszka Rusinowo

Działka rekreacyjna Rusinowo, ul. Bazyliszka. Zdjęcie 1

Działka na sprzedaż bez pośredników Rusinowo ul. Bazyliszka

141 450
175 zł/m²
806
Rusinowo, Bazyliszka - lokalizacja przybliżona
Bezpośrednio od właściciela

Jeśli nie potrzebujesz pośrednika, zaoszczędzisz około 4 200 zł. Potrzebujesz wsparcia? Skorzystaj z pomocy agenta.

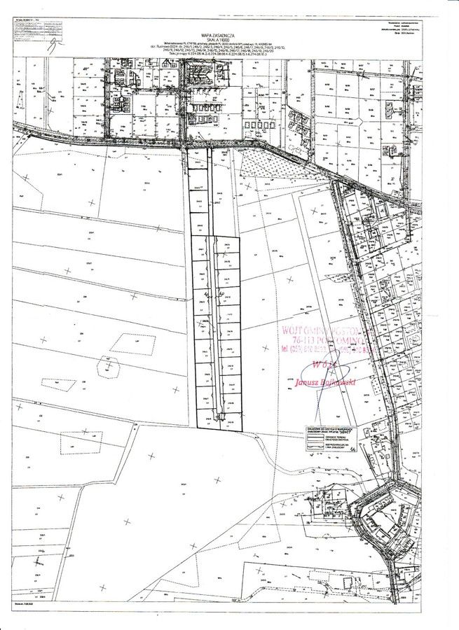
Na mapie zaznaczono kolorem żółtym kompleks działek, w którego skład wchodzi między innymi oferowana działka o nr 246/14 i powierzchni 806 m2.



Cena netto działki wraz z udziałem w drodze wynosi 115.000,00 zł plus podatek VAT (23%) 26.450,00 zł, cena całkowita brutto 141.450,00 zł. Istnieje możliwość odliczenia podatku VAT przez kupującego. Przy zakupie naszych działek kupujący zwolniony jest z opłacenia podatku PCC.



Pozostałe działki wchodzące w skład kompleksu są również na sprzedaż. W przypadku zainteresowania prosimy o kontakt. Dla przykładu ceny pierwszych sześciu działek położonych najbliżej morza tj. w odległości od 970 m od plaży zamieszczono na zdjęciu-załączniku.



Zaznaczona działka o nr 246/14 i powierzchni 806 m2 (przybliżone wymiary działki 23 m x 35 m) oddalona jest od morza o ok. 1200 m i położona jest w połowie kompleksu działek, który składa się z parceli o numerach: od 244/3 do 244/7 oraz od 246/1 do 246/20 i powierzchniach od 806 m2 do 983 m2.



Dla terenu, na którym znajduje się zespół działek na sprzedaż przystąpiono do sporządzenia Miejscowego Planu Zagospodarowania Przestrzennego zgodnie z Uchwałą Nr IV/39/24 Rady Gminy Postomino z dnia 11 lipca 2024 r., które ma na celu uzupełnienie istniejącego planu pod zabudowę rekreacyjno-turystyczną zgodnie z podjętą 27 listopada 2024 r. Uchwałą Nr IX/90/24 Rady Gminy Postomino w sprawie uchwalenia zmiany studium uwarunkowań i kierunków zagospodarowania przestrzennego gminy Postomino 2024 r., w którym teren ten przeznaczono na usługi turystyczne.



Ponadto wszystkie działki mają wydane decyzje o warunkach zabudowy. W załączeniu przykładowy projekt domu, który może być wybudowany na działce. Można także wykorzystać inny projekt zgodny z wydanymi warunkami zabudowy.



Działki na sprzedaż zaznaczono zielonym punktem na mapie przedstawiającej teren, dla którego obecnie opracowywany jest Miejscowy Plan Zagospodarowania Przestrzennego, jest to załącznik nr 1 do Uchwały Nr IV/39/24 Rady Gminy Postomino z dnia 11 lipca 2024 r. w sprawie przystąpienia do sporządzenia Miejscowego Planu Zagospodarowania Przestrzennego w obrębie ewidencyjnym Rusinowo – ulica Bazyliszka – Sezamkowa oraz przy ulicy Letniskowej.



Media: energia elektryczna (prąd) zlokalizowana jest wzdłuż nowo wybudowanej asfaltowej drogi gminnej (ul. Bazyliszka), przy której położone są działki, natomiast woda i kanalizacja doprowadzone są do granicy działki nr 244/7, która jest drogą wewnętrzną - dojazdową do zespołu oferowanych działek. Dla działki nr 244/3 zostało wykonane indywidualne doprowadzenie wody i kanalizacji do granicy tej działki.

Zgodnie z wydanymi warunkami zabudowy na niektórych działkach istnieje możliwość wybudowania studni i własnego zbiornika bezodpływowego.



Zespół działek położony jest ok. 970 m od urokliwej plaży. Działki znajdują się w bezpośrednim sąsiedztwie obiektów rekreacji indywidualnej. Dogodna lokalizacja działek umożliwia łatwe dotarcie do innych nadmorskich kurortów. I tak, Jarosławiec oddalony jest ok. 4 km, do Darłowa jest ok. 14 km, do Ustki ok. 27 km, a wyjazd nad jezioro Kopań lub jezioro Wicie to odległość odpowiednio ok. 2 km i ok. 8 km.



Do Rusinowa, jak również do innych nadmorskich miejscowości już wkrótce dojedzie się budowaną drogą ekspresową S6 (zjazdy: Karwice, Sławno Zachód). Trasa będzie stanowić połączenie drogowe polskich portów morskich, od Świnoujścia i Szczecina, do portów Trójmiasta.



Rusinowo to nadmorska miejscowość położona na środkowym wybrzeżu Bałtyku, w północno-wschodniej części województwa zachodniopomorskiego pomiędzy znanymi kurortami: Darłówkiem (od zachodu) a Jarosławcem i Ustką (od wschodu). Jest to wymarzone miejsce dla osób ceniących sobie spokój i bliskość natury.



Plaża w Rusinowie zapewnia spokój, przestrzeń i kontakt z naturą. Jest to plaża, na której można odpocząć od zgiełku, cieszyć się szerokim, piaszczystym brzegiem oraz czystym i nasyconym jodem powietrzem. Jest doskonałą alternatywą dla bardziej zatłoczonych plaż w okolicy (np. w pobliskim Jarosławcu), idealnym miejscem dla osób szukających odpoczynku z dala od tłumów.



Sąsiedztwo morza, jezior, tras rowerowych czyni Rusinowo odpowiednią przestrzenią nie tylko na rodzinne wakacje, ale również umożliwia aktywny wypoczynek. Natomiast bliskość kurortów zapewnia dostęp do innych atrakcji turystycznych.



Zalety Rusinowa:

szeroka, piaszczysta i niezatłoczona plaża z łagodnymi wejściami;
brzeg wchodzi łagodnym klinem w Morze Bałtyckie, co sprawia, że opływające wody należą do najczystszych na polskim wybrzeżu;
wydzielona plaża przyjazna psom;
bliskość jeziora Kopań i Wicko – wędkarstwo;
bliskość lasów – spacer i zbieranie owoców runa leśnego: grzybów, jagód;
międzynarodowa trasa rowerowa Velo Baltica (R10) oraz lokalne trasy rowerowe;
sklep ABC w sąsiedztwie, bary;
wygodny dojazd nową asfaltową drogą (ul. Bazyliszka);
bezpośrednie sąsiedztwo Wicia i Jarosławca.


Atrakcje turystyczne w okolicy (Jarosławiec, Ustka, Darłówko)

trasy piesze;
nadmorska trasa rowerowa Velo Baltica (R10) przebiegająca między innymi przez Świnoujście, Międzyzdroje, Kołobrzeg, Ustronie Morskie, Mielno, Darłówko, Rusinowo, Jarosławiec, Ustkę, Łebę, Trójmiasto i inne;
spływy kajakowe rzeką Wieprza;
największa w Europie sztuczna 5 -hektarowa plaża w Jarosławcu nazwana polskim Dubajem;
wybrzeże klifowe o wysokości do ponad 24 m Jarosławcu;
promenada, deptak;
33 metrowa Latarnia Morska w Jarosławcu;
Aquapark Panorama Morska w Jarosławcu (baseny wewnętrzne i zewnętrzne);
Motylarnia i Papugarnia w Jarosławcu;
Muzeum Bursztynu w Jarosławcu;
przystań rybacka w Jarosławcu;
stadnina i szkółka jazdy konnej w Jarosławcu;
atrakcje dla najmłodszych: wesołe miasteczko, zjeżdżalnia wodna;
paintball;
restauracje, kawiarenki;
rejsy statkiem;
Latarnia Morska i Promenada w Darłówku Wschodnim;
Latarnia Morska i Promenada w Ustce;
port rybacko-jachtowy z kładką obrotową w Ustce.

  • ul. Bazyliszka, Rusinowo, gmina Postomino, powiat sławieński  
  • Na sprzedaż działka rekreacyjna o powierzchni 806 m²  
  • Wymiary Szerokość: 10 m
  • Dojazd asfalt
  • Media woda, kanalizacja
  • Oferta bezpośrednio od właściciela dodana ponad miesiąc temu
Ta nieruchomość może być Twoja od.. sprawdź
28000 zł (20%) Okres spłaty: 30 lat

Podobne działki na sprzedaż

7
Działka rekreacyjna Darłowo Darłówko, ul. Lotników Morskich

145 000

283

Na sprzedaż działka z domkiem holenderskim. Powierzchnia o.o283 ha (283 m2). Darłówko Zachodnie przy ul. Lotników Morskich. Działka ogrodzona płotem z bramą i furtką. Na działce szambo i przyłącze prądowe. W domku są dwie sypialnie, łazienka z toaletą, umywalką i prysznicem, duży salon z kuchenką i ...

Zobacz ogłoszenie
3
Działka rekreacyjna Darłowo, ul. Lotników Morskich

150 000

1000

Sprzedam działki do rekreacji nad morzem w Darłowie przy ul. Lotników Morskich. Działki położone w ustronnym miejscu, w pięknej lokalizacji tuż przy lesie

Zobacz ogłoszenie
8
Działka rekreacyjna Darłowo Darłówko, ul. Lotników Morskich

155 000

500

Sprzedam podwójną działkę do rekreacji nad morzem o powierzchni każda po 500mkw (2x500mkw). Cena za jedną działkę. Lokalizacja: ul. Lotników Morskich Darłowo /województwo zachodniopomorskie. Położoną w cichym, ustronnym miejscu ogrodzona ,szambo,dookoła piękne wysokie drzewa w odległości 900 m do ...

Zobacz ogłoszenie
1
Działka rekreacyjna Kopań

120 000

333

Na sprzedaż działka o powierzchni 333 m², położona w urokliwej miejscowości Kopań, zaledwie 200 metrów w linii prostej od szerokiej, piaszczystej plaży Bałtyku. Do nieruchomości przynależy udział w drodze dojazdowej, posiadającej odrębną księgę wieczystą.​ Skrzynka elektryczna przy działce Atuty l...

Zobacz ogłoszenie
4
Działka rekreacyjna Darłowo Darłówko, ul. Lotników Morskich

123 000

564

Sprzedam podwójną działkę do rekreacji nad morzem o powierzchni 564 mkw (2x282 mkw). Lokalizacja: ul. Lotników Morskich Darłowo/ powiat sławieński/ województwo zachodniopomorskie. Położoną w cichym, ustronnym miejscu w odległości 900 m do morza w linii prostej (20 min spacerem). Działka znajduje ...

Zobacz ogłoszenie