Wojtkowa

działka leśna na sprzedaż Bez pośrednika

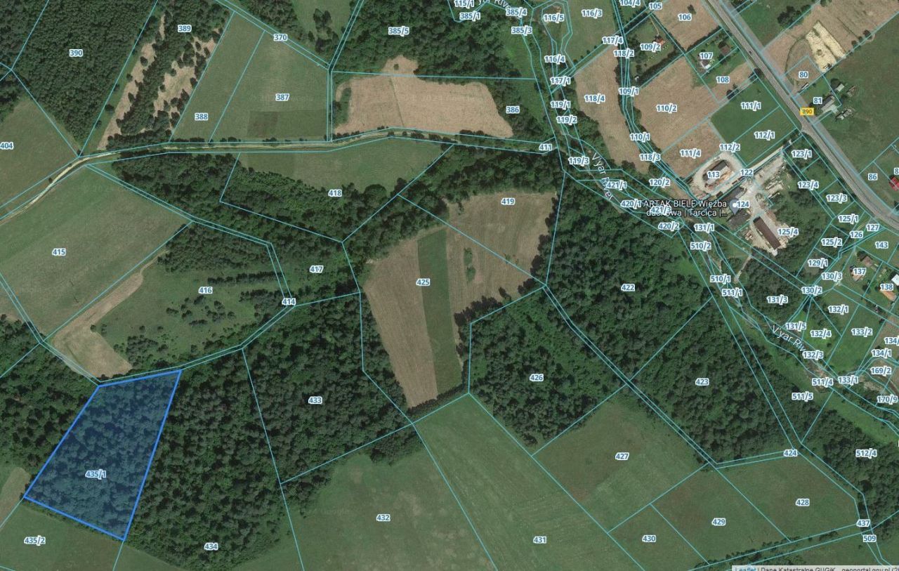
Działka leśna Wojtkowa
Cena
95 000
Powierzchnia
2 ha
Cena za m²
5
Wojtkowa · 95 000 zł

Ogłoszenie właściciela - bez pośredników

Działka leśna Wojtkowa. Zdjęcie 1
Działka leśna Wojtkowa. Zdjęcie 1

Bez pośrednika. Oszczędzasz 2 900 zł na prowizji pośrednika!

Witam.

Sprzedam las mieszany o powierzchni ok. 2 hektarów.

Działka znajduje się w miejscowości Wojtkowa, w powiecie bieszczadzkim.
Dojazd drogą polną.

Las został wyceniony przez rzeczoznawcę na wartość ok. 55 000 zł/ha.

Zapraszam do kontaktu.

  • Wojtkowa, gmina Ustrzyki Dolne, powiat bieszczadzki
  • Na sprzedaż działka leśna o powierzchni 20000 m² (2 ha).
  • Dojazd: polny
  • Oferta dodana bezpośrednio przez właściciela ponad miesiąc temu i zaktualizowana ponad tydzień temu
Wróć
Największa baza ogłoszeń bez pośredników
Zarejestruj się, aby przejść dalej
lub

Kontynuując akceptujesz
Regulamin i Politykę prywatności

Masz już konto na adresowo.pl?
Zaloguj się

Mamy dla Ciebie kredyt hipoteczny z niską ratą! Chcesz poznać szczegóły?

Kontakt z VeloBank:
- ofertę, wniosek i decyzję o przyznaniu kredytu w procesie online,
- wsparcie eksperta hipotecznego na każdym kroku,
- kredyt do 90% wartości nieruchomości.





Wyrażam zgodę na przetwarzanie moich danych osobowych zawartych w formularzu na stronie adresowo.pl przez VeloBank S.A. z siedzibą w Warszawie przy Rondo Ignacego Daszyńskiego 2C (Bank), a tym samym na ich przetwarzanie, w tym profilowanie, przez Bank w celu marketingu produktów i usług Banku za pośrednictwem rozmowy telefonicznej i sms. Zgoda może być w każdej chwili wycofana. Cofnięcie zgody nie ma wpływu na zgodność z prawem przetwarzania danych przed jej wycofaniem.