Działka na sprzedaż
ul. Ludwika Chmury Rzeszów Dworzysko

Działka inwestycyjna Rzeszów Dworzysko, ul. Ludwika Chmury. Zdjęcie 1
Działka inwestycyjna Rzeszów Dworzysko, ul. Ludwika Chmury. Zdjęcie 2
Działka inwestycyjna Rzeszów Dworzysko, ul. Ludwika Chmury. Zdjęcie 3

Działka na sprzedaż Rzeszów Dworzysko ul. Ludwika Chmury

2 350 000
470 zł/m²
5 000
Rzeszów Dworzysko, Ludwika Chmury - lokalizacja przybliżona

Właściciel powierzył sprzedaż nieruchomości pośrednikowi. Możesz zadzwonić lub napisać do agenta za darmo.

Mamy przyjemność zaprezentować działkę inwestycyjną z objętej MPZP w Rzeszowie strefy Dworzysko.

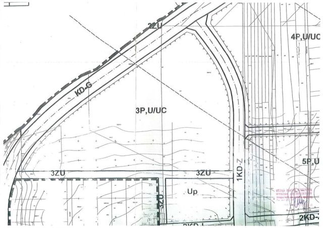
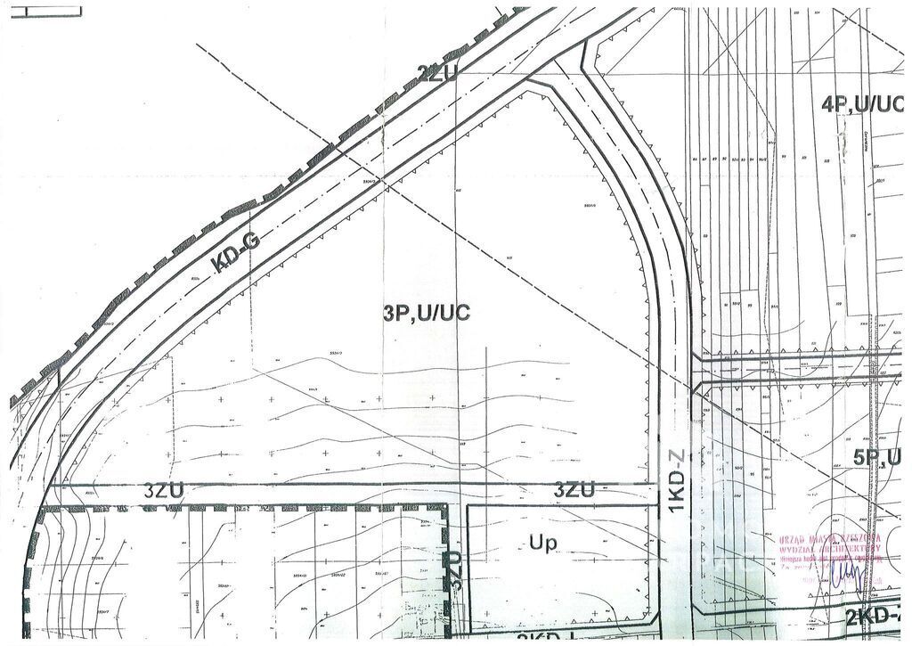
Przeznaczenie w MPZP: 3P, U/UC - Tereny przeznaczone pod przemysł, składy i magazyny, komercyjne z dopuszczeniem obiektów handlowych powierzchni sprzedaży powyżej 2000 m2

Dostęp do drogi publicznej: Działka ma bezpośredni dostęp do drogi publicznej przez drogę wewnętrzną na zasadach współwłasności, co ułatwia logistykę i transport.

Infrastruktura:
- Wodociąg na działce sąsiedniej
- Kanalizacja miejska bezpośrednio na działce
- Gaz na działce sąsiedniej
- Energia elektryczna na działce sąsiedniej

Strefa Dworzysko jest doskonałym centrum logistycznym:
dogodna komunikacja bezpośrednio przy węźle autostrady A4
5 minut od węzła autostradowego
5 minut do centrum Rzeszowa
15 minut do lotniska w Jasionce
1h 30 minut od Krakowa
1h do Korczowej

Dużym atutem nieruchomości jest jej doskonała lokalizacja w specjalnej strefie ekonomicznej Dworzysko dającej zwolnienia podatkowe dla inwestorów.

PNT RZESZÓW DWORZYSKO
Park Naukowo Technologiczny Rzeszów Dworzysko położony jest na terenie Powiatu Rzeszowskiego, który tworzy 14 gmin, położonych wokół miasta Rzeszowa. Powiat leży w południowo wschodniej Polsce, w centralnej części województwa podkarpackiego.
Obecnie zajmuje powierzchnię 1 157 km2, a zamieszkuje go ponad 180 tyś. mieszkańców. Posiada dobrą infrastrukturę techniczną oraz dogodne połączenia komunikacyjne.

Powiat Rzeszowski uznaje się za jeden z najdynamiczniej rozwijających się powiatów ziemskich Podkarpacia.
Od lat koncentruje swoje działania na stworzeniu przyjaznego klimatu gospodarczego, oraz dba o korzystne warunki inwestycyjne dla przedsiębiorców.
Dlatego też wspierając rozwój innowacyjnej przedsiębiorczości,
Powiat Rzeszowski jako jedyny w Polsce, posiadając własny tak duży obszar inwestycyjny (83,42 ha), zdecydował się na jego pełne uzbrojenie i budowę Parku Naukowo Technologicznego Rzeszów Dworzysko.

Inwestorom udostępniono w pełni uzbrojone tereny o powierzchni 83,42 ha.
Każda działka przeznaczona pod inwestycję posiada pełne uzbrojenie w infrastrukturę techniczną, w tym zapotrzebowanie w energię elektryczną według indywidualnych potrzeb Inwestora.
Dodatkowo na terenie Parku została wybudowana farma ogniw fotowoltaicznych, kompleksowa sieć monitoringu, sieć ciepłownicza, oraz sieć instalacji odgromowych.

Logo Parku Naukowo Technologicznego Park Rzeszów Dworzysko to obecnie największy i najatrakcyjniejszy, kompleksowo uzbrojony teren inwestycyjny w granicach administracyjnych miasta Rzeszowa, jak i całego Podkarpacia.
Jest to miejsce o dużych możliwościach inwestycyjnych i wielkim potencjale ludzkim. Misją Parku jest stworzenie i trwały rozwój liczącego się ośrodka gospodarczego, bazując na przemyśle i nowoczesnych technologiach, w którym przedsiębiorcy znajdą dogodne warunki dla prowadzenia biznesu.
W dniu 02.12.2014 r. obszar PNT został włączony do Specjalnej Strefy Ekonomicznej Euro-Park Mielec, dzięki temu Inwestorzy mogą liczyć na znaczne ulgi podatkowe.

Atutem Parku Naukowo Technologicznego Rzeszów Dworzysko jest jego doskonałe położenie na skrzyżowaniu głównych szlaków komunikacyjnych. Niedaleko przebiega autostrada A4 i droga ekspresowa S19. Cały teren sąsiaduje z magistralą kolejową E30 Niemcy Polska Ukraina.
W pobliżu Parku funkcjonuje prężnie rozwijające się międzynarodowe lotnisko Rzeszów Jasionka regularnie obsługujące ruch pasażerski i towarowy.
Dla całego terenu obowiązuje Miejscowy Plan Zagospodarowania Przestrzennego, przeznaczający obszar pod działalność przemysłowo usługową.
Ulokowanie inwestycji w PNT Rzeszów Dworzysko, daje możliwość realizacji własnych pomysłów, działalności w dynamicznie rozwijającym się mieście i regionie o dużym potencjale gospodarczym.
Jest miejscem dla firm tworzących nowoczesne technologie, prowadzących działalność o charakterze innowacyjnym.
Numery naszych działek to 5934/119- 0,5ha i 5934/99 1ha.
MOŻLIWOŚĆ DOKUPIENIA SĄSIEDNICH DZIAŁEK O POWIERZCHNI OKOŁO 1 ha

Zapraszam do kontaktu.
- Julia Włodarczyk

  • ul. Ludwika Chmury, Rzeszów Dworzysko  
  • Na sprzedaż działka inwestycyjna o powierzchni 5 000 m²  
  • Dojazd utwardzony
  • Ogrodzenie bez ogrodzenia
  • Ogłoszenie biura nieruchomości  
  • Oferta dodana ponad miesiąc temu
Ta nieruchomość może być Twoja od.. sprawdź
470000 zł (20%) Okres spłaty: 30 lat

Podobne działki na sprzedaż

1
Działka inwestycyjna Rzeszów, ul. Technologiczna

2 015 000

3100

Mam na sprzedaż działkę o przeznaczeniu usługowo - wielorodzinnym, o wielkości 31 ar. Numer działki 694, obr. 222. Lokalizacja: ul. Technologiczna, Rzeszów. Położona w bezpośrednim kontakcie ze strefą ekonomiczną Dworzysko. W pobliżu istniejących bloków. Do działki projektowana jest droga osiedlowa...

Zobacz ogłoszenie
19
Działka inwestycyjna Rzeszów, ul. Jerzego Kukuczki

2 690 000

8296

NA SPRZEDAŻ: WIDOKOWA DZIAŁKA INWESTYCYJNA W RZESZOWIE - MATYSÓWKA, UL. KUKUCZKI Zapraszamy do zapoznania się z wyjątkową ofertą sprzedaży nieruchomości gruntowej położonej w jednej z najbardziej malowniczych i dynamicznie rozwijających się części Rzeszowa - dzielnicy Matysówka. Przedmiotem sprzed...

Zobacz ogłoszenie
1
Działka inwestycyjna Rzeszów Dworzysko, ul. Technologiczna

2 925 000

6533

SPRZEDAM DZIAŁKĘ O POW 65 AR PODZIELONĄ NA 8 MNIEJSZYCH KAWAŁKÓW W OBRĘBIE ROZWIJAJĄCEJ SIĘ STREFY DWORZYSKO-DWORSKIE OGRODY. W POBLIZU TERENY ZIELONE ORAZ ZABUDOWA MIESZKALNA. WOKÓŁ PLANOWANA NISKA ZABUDOWA MIESZKALNA. na zdjęciu działki oznaczone na kolor pomarańczowy.

Zobacz ogłoszenie
2
Działka inwestycyjna Rzeszów Budziwój, ul. Senatorska

1 680 000

7000

Jeśli interesuje Cię zakup działki z myślą o inwestycji lub zabudowie usługowej lub mieszkaniowej w dobrej lokalizacji, ta oferta powinna Cię zainteresować. Mam przyjemność zaprezentować Państwu wyjątkową nieruchomość położoną miejscowości Rzeszów, dzielnicy Budziwój, przy dynamicznie rozwijającej ...

Zobacz ogłoszenie
1
Działka inwestycyjna Rzeszów Budziwój, ul. Herbowa

3 199 000

9800

Na sprzedaż atrakcyjna działka inwestycyjna, zlokalizowana w dynamicznie rozwijającej się części Rzeszowa. Nieruchomość w pełni uzbrojona, co znacząco ułatwia i przyspiesza proces realizacji inwestycji. Dzięki korzystnym parametrom oraz położeniu, działka doskonale nadaje się pod zabudowę mieszkanio...

Zobacz ogłoszenie
2
Działka inwestycyjna Rzeszów, ul. Cienista

2 000 000

1300

Sprzedam działkę z budynkiem pod usługi w Rzeszowie przy Cmentarzu Komunalnym ul.Cienista 1B. Działka 13 ar, budynek ma dwa pomieszczenia, łazienka, przedpokój, garaż blaszany 24m2 z kanałem naprawczym. Całość ogrodzona z nasadzeniami. Wjazd od ul.Cienistej i ul.Morgowej. Prąd-siła, studnia głębinow...

Zobacz ogłoszenie