Działka na sprzedaż bez pośredników
ul. Wysoka Żory Rogoźna

Działka budowlana Żory Rogoźna, ul. Wysoka. Zdjęcie 1

Działka na sprzedaż bez pośredników Żory Rogoźna ul. Wysoka

200 000
167 zł/m²
1 200
Żory Rogoźna, Wysoka - lokalizacja przybliżona
Bezpośrednio od właściciela

Jeśli nie potrzebujesz pośrednika, zaoszczędzisz około 6 000 zł. Potrzebujesz wsparcia? Skorzystaj z pomocy agenta.

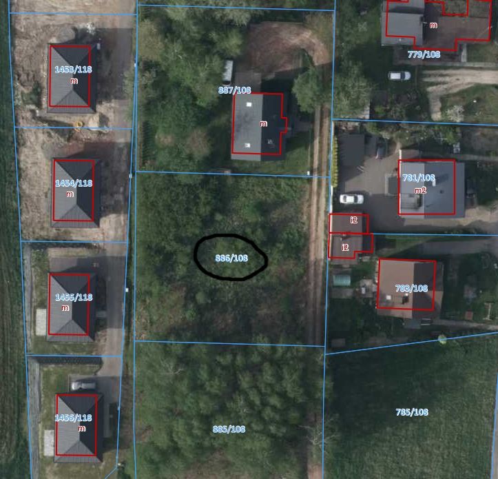
Działka 886/108 położona jest pomiędzy ulicą Łąkową na północy, Wysoką na południu i Gminną na wschodzie. W pobliżu są łąki, pola i laski, szkoła, pizzeria, sklepy.
Z zachodniej strony działki planowana jest budowa drogi w planie zagospodarowania przestrzennego. Po drugiej stronie planowanej drogi jest już wybudowany ciąg domków przez dewelopera. W okolicy budowane są również inne skupiska domów przez innych deweloperów.

Przez działkę przebiega sieć elektroenergetyczna i wodociągowa. Po drugiej stronie planowanej drogi jest sieć kanalizacyjna, nowy dom korzystający z tych samych służebności na pobliskiej działce 884/108 jest do niej podłączony. Przy ulicy Gminnej i Łąkowej znajduje się sieć gazowa. Z powodu wielu nowych domów projektowane są też w okolicy nowe sieci uzbrojenia terenu.
Działka nie jest idealnie płaska, występuje na niej pochylenie w stronę domków zbudowanych przez dewelopera i planowanej drogi, podobnie jak na sąsiednich działkach.

Działka do czasu zbudowania drogi publicznej, do której będzie miała bezpośredni dostęp, ma zapewniony dostęp / dojazd do drogi publicznej poprzez stare służebności od strony południowej, do ulicy Wysokiej.
Najstarsza służebność ma 3 metry szerokości i przebiega wschodnią stroną działek kolejno przez działki 1515/108, 724/108, 817/111, 815/111, 814/111, 813/111, 812/111, 884/108, 885/108, 886/108, 887/108 i 888/108 do 554/111, która została niedawno podzielona jako ostatnia ze starych działek (544 to aktualnie działki 1508/111, 1509/111, 1510/111, 1511/111, 1512/111 oraz 1502/111, która została już oddzielona od reszty i oddana miastu pod budowę drogi).
Druga służebność dla działki 886/108 przebiega przez działkę 1515/108, całą szerokością działki (około 5 metrów szerokości).
Trzecia służebność przebiega wschodnią stroną działki 724/108 i ma równo 5 metrów szerokości.
Czwarta służebność przebiega pomiędzy działkami od 884/108 do 888/108, również wschodnią stroną działek i również ma 3 metry jak najstarsza służebność.
Wszystkie dostępne służebności zostały przez nas wyjaśnione, wyprostowane i wpisane do ksiąg wieczystych.
Po wybudowaniu drogi można starać się o zlikwidowanie wszystkich starych służebności ze strony wschodniej, ponieważ nie będą już dłużej konieczne.
Minister wydał nam zgodę na odstępstwo od przepisów techniczno-budowlanych w lipcu i w konsekwencji prezydent miasta zgadza się na to, że działka 886/108 może być działką budowlaną pomimo tego, że część służebności jest wąska.

Możemy podać numer księgi wieczystej działki do wglądu wszystkich informacji.
Działka jest dostępna do zobaczenia w terenie w dowolnym czasie - ani ona, ani prowadzące do niej służebności od strony ulicy Wysokiej nie są zagrodzone.
Mapy można obejrzeć samodzielnie na mapy.geoportal.gov.pl lub mapy-geoportal.zory.pl/gpt4.
Proszę dzwonić lub pisać na lub (numer żony) lub na adres e-mail.
Cena do negocjacji.

Arkadiusz i Natalia

  • ul. Wysoka, Żory Rogoźna  
  • Na sprzedaż działka budowlana o powierzchni 1 200 m²  
  • Plan w serwisie geoportal.gov.pl Otwórz plan
  • Numer ewidencyjny działki 886/108
  • Wymiary Długość: 32 m, szerokość: 37 m, wymiary działki: nieregularny czworokąt, około 32 m na 37 m
  • Dojazd utwardzony
  • Ogrodzenie bez ogrodzenia
  • Media woda nieprzyłączona, prąd nieprzyłączony
  • Cena do negocjacji  
  • Oferta bezpośrednio od właściciela dodana ponad miesiąc temu i zaktualizowana ponad tydzień temu
Ta nieruchomość może być Twoja od.. sprawdź
40000 zł (20%) Okres spłaty: 30 lat

Podobne działki na sprzedaż

6
Działka budowlana Żory Folwarki, ul. Bartnicza

190 000

760

Witam :) mam do sprzedania 2 działki budowlane ( każda po 7,6 ara ) w pięknie położonej i idealnie skomunikowanej dzielnicy . Możliwość zakupu też działki o powierzchni 5, 2 ara lub 10 arów (postanowienie o podziale ) Zainteresowanych proszę o kontakt telefoniczny . Gwarancja ceny do końca lutego 20...

Zobacz ogłoszenie
8
Działka budowlana Żory Rogoźna, ul. Łąkowa

245 000

2150

Oferta bezpośrednio od Właściciela. Wyjątkowo atrakcyjne połączenie działki budowlanej o powierzchni 740 m² oraz rekreacyjnej/łąki o powierzchni 1410 m², na której można albo urządzić część ogrodową działki, albo wystąpić o przekształcenie do UM Żory. Całość działki ma łączną powierzchnię 2150 m² i...

Zobacz ogłoszenie
4
Działka budowlana Żory, ul. Stroma

249 000

939

Sprzedam działkę budowlaną w miejscowym planie zagospodarowania (UCHWAŁA NR 449/XXXII/21 RADY MIASTA ŻORY) teren oznaczony symbolem F40MN, działka narożna uzbrojona w przyłącze wody i prądu, gaz w granicach działki, kanalizacja w drodze. Na działce znajduje się budynek o charakterze mieszkalnym do r...

Zobacz ogłoszenie
6
Działka budowlana Żory Rój

279 000

989

Sprzedam działkę budowlaną o powierzchni 989 m2położoną w Żorach – Roju na nowej ulicy Franciszka Smusza. Działka ma wymiary prostokąta: szerokość: 20 m, długość: 49 m. Droga dojazdowa do działki wyłożona jest tłuczniem o szerokości ok. 6-7 m. Uzbrojenie działki: · prąd – skrzynka z Taurona postawi...

Zobacz ogłoszenie
1
Działka budowlana Żory Kleszczów

271 040

1232

Witam, do sprzedania posiadam działkę o numerze dz. 662/27, budowlaną, w Żorach-Kleszczowie, o pow. 1232 m² (czyli 12,32 ar). Cicha okolica przy lesie. Działka posiada dostęp do drogi publicznej, więc nie ma konieczności ustanawiania służebności przejazdu.

Zobacz ogłoszenie
2
Działka budowlana Żory Rój

204 720

853

Witam. Do sprzedania posiadam działkę budowlaną o numerze Dz. 2129/1 w Żorach-Roju, o pow. 853 m2 (czyli 8,53 ar). W granicy działki znajduje się prąd, woda i gaz, co widać na drugim zdjęciu. Dojazd utwardzoną drogą. 5 min do autostrady, węzeł Świerklany. Działka posiada dostęp do drogi publiczne...

Zobacz ogłoszenie