Wrocław Sołtysowice
ul. Bagatela
działka budowlana na sprzedaż Bez pośrednika

Działka budowlana Wrocław Sołtysowice, ul. Bagatela
Cena
4 125 000
Powierzchnia
6875 m²
Cena za m²
600
Wrocław Sołtysowice · 4 125 000 zł

Ogłoszenie właściciela - bez pośredników

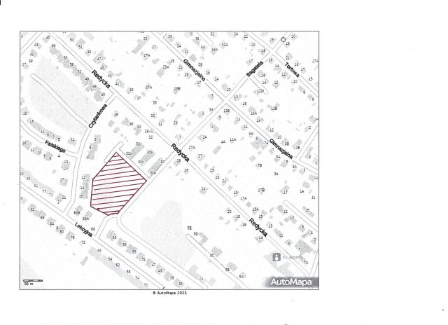
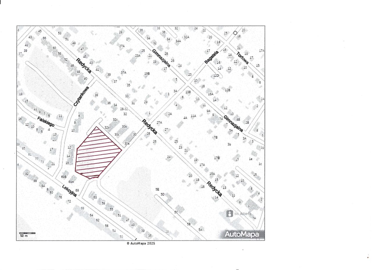
Działka budowlana Wrocław Sołtysowice, ul. Bagatela. Zdjęcie 1
Działka budowlana Wrocław Sołtysowice, ul. Bagatela. Zdjęcie 1

Bez pośrednika. Oszczędzasz 123 800 zł na prowizji pośrednika!

Duża działka budowlana we Wrocławiu, centrum Sołtysowic.
Objęta MPZP z przeznaczeniem na zabudowę mieszkaniową jednorodzinną.

  • ul. Bagatela, Wrocław Sołtysowice
  • Na sprzedaż działka budowlana o powierzchni 6875 m².
  • Zobacz plan w serwisie geoportal.gov.pl
  • Numer ewidencyjny działki: 328
  • Wymiary działki: ca 100m x 70m
  • Dojazd: utwardzony
  • Media: prąd
  • Oferta dodana bezpośrednio przez właściciela ponad miesiąc temu
Wróć
Największa baza ogłoszeń bez pośredników
Zarejestruj się, aby przejść dalej
lub

Kontynuując akceptujesz
Regulamin i Politykę prywatności

Masz już konto na adresowo.pl?
Zaloguj się

Mamy dla Ciebie kredyt hipoteczny z niską ratą! Chcesz poznać szczegóły?

Kontakt z VeloBank:
- ofertę, wniosek i decyzję o przyznaniu kredytu w procesie online,
- wsparcie eksperta hipotecznego na każdym kroku,
- kredyt do 90% wartości nieruchomości.





Wyrażam zgodę na przetwarzanie moich danych osobowych zawartych w formularzu na stronie adresowo.pl przez VeloBank S.A. z siedzibą w Warszawie przy Rondo Ignacego Daszyńskiego 2C (Bank), a tym samym na ich przetwarzanie, w tym profilowanie, przez Bank w celu marketingu produktów i usług Banku za pośrednictwem rozmowy telefonicznej i sms. Zgoda może być w każdej chwili wycofana. Cofnięcie zgody nie ma wpływu na zgodność z prawem przetwarzania danych przed jej wycofaniem.