Działka na sprzedaż bez pośredników
ul. Cieplicka Jangrot

Działka budowlana Jangrot, ul. Cieplicka. Zdjęcie 1

Działka na sprzedaż bez pośredników Jangrot ul. Cieplicka

300 000
127 zł/m²
2 358
Jangrot, Cieplicka - lokalizacja przybliżona
Bezpośrednio od właściciela

Jeśli nie potrzebujesz pośrednika, zaoszczędzisz około 9 000 zł. Potrzebujesz wsparcia? Skorzystaj z pomocy agenta.

Na sprzedaż duża, prostokątna działka o powierzchni 0,2358 ha, położona w spokojnej i zielonej okolicy w miejscowości Jangrot, gmina Trzyciąż, zaledwie 14 km od Olkusza i 9 km od Wolbromia.

Działka o powierzchni objęta jest miejscowym planem zagospodarowania przestrzennego z oznaczeniem MM1 – tereny przeznaczone pod zabudowę mieszkaniowo-usługową oraz mieszaną (MU1, MU2, MM1, MM2).
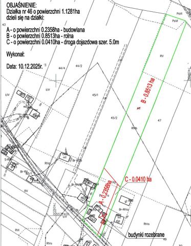
Na zdjęciu głównym oznaczona literą A.

Na działce znajdują się stare zabudowania gospodarcze, które mogą posłużyć jako baza do dalszej adaptacji lub rozbiórki. Dwa budynki zostały już rozebrane - jeden oznaczony czerwonymi liniami. Drugiego nie było widać na zdjęciach.

Kluczowe informacje:
Wymiary: ok. 32 m szerokości x 74 m długości
Kształt: prostokątny
Teren: płaski
Zabudowania: stare budynki gospodarcze
Przeznaczenie MPZP: zabudowa mieszkaniowo-usługowa (MM1),
Media: prąd, woda, możliwość podłączenia internetu światłowodowego
Dojazd: bezpośredni z asfaltowej drogi gminnej

Stan prawny:
Nieruchomość posiada czystą księgę wieczystą, bez obciążeń, hipotek czy służebności.

Lokalizacja i otoczenie:
Działka położona we wsi Jangrot, w otulinie Jury Krakowsko-Częstochowskiej. W miejscowości znajdują się wszystkie podstawowe udogodnienia: sklepy, szkoła podstawowa, przedszkole, kościół i przystanek autobusowy. To miejsce idealne pod budowę domu jednorodzinnego.

Olkusz – 14 km
Wolbrom – 9 km
Kraków – ok. 40 km

Dlaczego warto?
Atrakcyjna lokalizacja z szybkim dojazdem do większych miast
Możliwość zabudowy mieszkaniowej i usługowej
Media w działce
Spokojna, malownicza okolica
Regularny kształt i płaski teren

  • ul. Cieplicka, Jangrot, gmina Trzyciąż, powiat olkuski  
  • Na sprzedaż działka budowlana o powierzchni 2 358 m²  
  • Wymiary Długość: 74 m, szerokość: 32 m
  • Dojazd asfalt
  • Media woda, prąd
  • Cena do negocjacji  
  • Oferta bezpośrednio od właściciela dodana ponad miesiąc temu i zaktualizowana ponad tydzień temu
Ta nieruchomość może być Twoja od.. sprawdź
60000 zł (20%) Okres spłaty: 30 lat

Podobne działki na sprzedaż

3
Działka budowlana Kolbark Na Górze, ul. Wesoła

350 000

1,6 ha

Działki nr 642 i 624, łączna powierzchnia obydwu działek około 1,6 ha. Na górze miejscowości Kolbark. Jedna działka o powierzchni 1,06ha przód działki rolnej z dopuszczeniem do zabudowy, druga mniejsza rolno-leśna.

Zobacz ogłoszenie
5
Działka budowlana Chechło, ul. Ogrodzieniecka

300 000

1840

Sprzedam działkę budowlaną o powierzchni 1840 m². Nieruchomość znajduje się w spokojnej, malowniczej, wiejskiej lokalizacji. Brak ogrodzenia daje możliwość aranżacji przestrzeni według własnych potrzeb. W okolicy znajdziesz: - Lasy - Otwarte tereny - Spokój i ciszę - Bliskość do natury - Supermarke...

Zobacz ogłoszenie
6
Działka budowlana Kolonia, ul. Poręba

210 000

3727

Dzień dobry Sprzedam działkę budowlaną (nr1680) Kolona ul Poręba koło Olkusza o powierzchni 3727m2 wymiary ok21x200m Działka posiada MPZP Przeznaczenie zabudowa mieszkaniowa jednorodzinna symbol 4MN grunty rolne 26R Media * Prąd na działce * Kanalizacja na działce * Gaz na działce * Woda w grani...

Zobacz ogłoszenie
6
Działka budowlana Sucha

185 000

2676

Szanowni Państwo, do sprzedania mam działki budowlane o łącznej powierzchni 2676 m². Oferta dotyczy działek o nr: 202/2, 203/2, 204/2, 205/2, położonych w miejscowości Sucha, gmina Trzyciąż, powiat olkuski. Na dzień dzisiejszy działki nie są zabudowane, posiadają bezpośredni dostęp do drogi publi...

Zobacz ogłoszenie
3
Działka budowlana Chechło, ul. Hutnicza

353 430

3570

Atrakcyjna działka BUDOWLANA w miejscowości Chechło (gm. Klucze, pow. olkuski) na Jurze Krakowsko-Częstochowskiej w sąsiedztwie Pustyni Błędowskiej. Działka o pow. 0,3570 ha, położona przy drodze asfaltowej, uzbrojona (prąd, woda, gaz). Częściowo zalesiona (głównie sosny). Cicha i spokojna okolica -...

Zobacz ogłoszenie
7
Działka budowlana Olkusz Pomorzany, ul. Zacisze

399 000

3234

Na sprzedaż: działka budowlana w drugiej linii zabudowy w spokojnej okolicy — Olkusz, dzielnica Pomorzany, przy ulicy Zacisze. Lokalizacja: Atrakcyjna działka (nr 258/4, obręb Pomorzany) o łącznej powierzchni 3234 m² (wymiary: 20 m x 120 m), z własnym dostępem do drogi publicznej o długości 65 m i ...

Zobacz ogłoszenie