Działka na sprzedaż bez pośredników
Bukowina Siedlec

Działka budowlana Siedlec Bukowina. Zdjęcie 1

Działka na sprzedaż bez pośredników Siedlec Bukowina

85 000
85 zł/m²
1 000
Siedlec Bukowina - lokalizacja przybliżona
Bezpośrednio od właściciela

Jeśli nie potrzebujesz pośrednika, zaoszczędzisz około 2 600 zł. Potrzebujesz wsparcia? Skorzystaj z pomocy agenta.

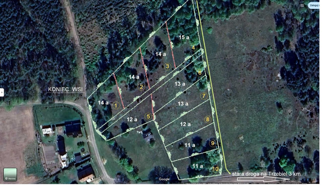
Sprzedam działki budowlane - Bukowina, gmina Trzebiel, woj. lubuskie.

Działki powierzchni od 10 do 14 arów.

Na sprzedaż oferuję działki budowlane położone we wsi Bukowina, w gminie Trzebiel (województwo lubuskie), w bezpośrednim sąsiedztwie malowniczego Parku Mużakowskiego - wpisanego na listę światowego dziedzictwa UNESCO.

Lokalizacja:
- Działki usytuowane są w cichej i spokojnej okolicy, otoczonej lasami.
- Wieś położona jest przy drodze dojazdowej kończącej się na miejscu, co zapewnia prywatność i minimalny ruch samochodowy.
- Odległość do granicy z Niemcami wynosi ok. 2 km pieszo (m. Zelz) lub ok. 11 km przez przejście graniczne w Łęknicy.

Charakterystyka działek:
- Częściowo zadrzewione (posiadam zgodę na ewentualną wycinkę drzew - decyzję pozostawiam przyszłym właścicielom).
- Wydana dokumentacja techniczna dotycząca budowy sieci wodociągowej oraz ogólna zgoda na zasilanie energetyczne działek.
- Przyłącze wody możliwe do wykonania indywidualnie lub za dodatkową opłatą.

Działki idealne dla osób szukających miejsca pod budowę domu w otoczeniu przyrody, z jednoczesnym dostępem do infrastruktury i atrakcji turystycznych.

  • Siedlec Bukowina, gmina Trzebiel, powiat żarski  
  • Na sprzedaż działka budowlana o powierzchni 1 000 m²  
  • Media woda
  • Oferta bezpośrednio od właściciela dodana ponad miesiąc temu
Ta nieruchomość może być Twoja od.. sprawdź
17000 zł (20%) Okres spłaty: 30 lat

Podobne działki na sprzedaż

1
Działka budowlana Górzyn

105 000

1500

Sprzedam działki z warunkami zabudowy na dom jednorodzinny w miejscowości Górzyn, gmina Lubsko, powiat żarski. Cztery działki położone są bezpośrednio przy drodze asfaltowej (droga wojewódzka 287) a do pozostałych działek wyznaczona jest droga wewnętrzna. Działki są rożnej wielkości, od 12 do 18 aró...

Zobacz ogłoszenie
8
Działka budowlana Chełmica

98 000

2985

Działka budowlana. Nieruchomość znajduje się przy zabudowaniach w cichej, spokojnej okolicy. Działka przy w kolorowych jeziorkach, do najbliższego - niecałe 300 metrów. Suchy teren, porośnięty przeważnie trawą. W pobliżu nieruchomosci dostęp do mediów. Świetna lokalizacja nieruchomosci ok. 3 km do ...

Zobacz ogłoszenie
2
Działka budowlana Mirostowice Górne

91 000

1400

Sprzedam działkę budowlaną uzbrojoną, woda, prąd w działce od 14 do 18 arów. Położenie Mirostowice Górne. Udział w drodze dojazdowej w cenie.

Zobacz ogłoszenie
6
Działka budowlana Marszów

95 000

1,1 ha

Na sprzedaż posiadam działkę w miejscowości Marszow gm Żary. Działka o powierzchni 11000 m Wydane Warunki Zabudowy Prąd na działce Numer działki: 319/5

Zobacz ogłoszenie
1
Działka budowlana Tuplice

98 000

1472

Sprzedam działkę budowlaną o powierzchni 1472 m w Tuplicach powiat Żarski. Na działce znajduję się poniemiecki dom do generalnego remontu lub rozbiórki jest woda i prąd w ulicy gaz i kanalizacja. Tuplice położone są w Geoparku Łuk Mażakowa

Zobacz ogłoszenie
3
Działka budowlana Guzów

105 750

2350

Działka umiejscowiona w malowniczej miejscowości Guzów. Dookoła w bliskiej odległości znajduje się wiele lasów (obfitych w grzyby). Działka położona jest przy głównej drodze, przy której znajdują się w bliskiej odległości woda i prąd. Istnieje możliwość podłączenia się do sieli Internetu światłodow...

Zobacz ogłoszenie