Działka na sprzedaż bez pośredników
ul. Gdańska Mikoszewo

Działka budowlana Mikoszewo, ul. Gdańska. Zdjęcie 1

Działka na sprzedaż bez pośredników Mikoszewo ul. Gdańska

470 000
588 zł/m²
800
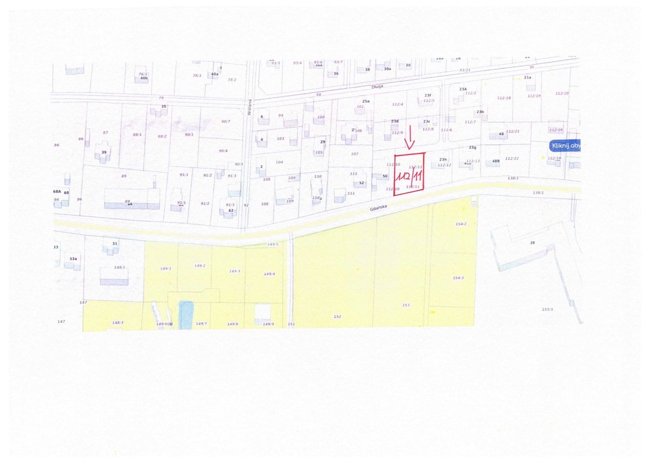
Mikoszewo, Gdańska - lokalizacja przybliżona
Bezpośrednio od właściciela

Jeśli nie potrzebujesz pośrednika, zaoszczędzisz około 14 100 zł. Potrzebujesz wsparcia? Skorzystaj z pomocy agenta.

Sprzedam atrakcyjną działkę budowlaną, położoną w nadmorskiej miejscowości Mikoszewo, bezpośrednio przy ulicy Gdańskiej - głównej trasie od przeprawy promowej w Świbnie do Krynicy Morskiej.

Działka położona jest blisko lasu i morza. Od Gdańska oddalona jest o 30 minut drogi (kursuje bezpośredni autobus). Do plaży w Mikoszewie jest około 1,8 km, do ściany lasu 300 metrów.

Działka objęta jest MPZP - zabudowa jednorodzinna wraz z usługami. Na działce jest kanalizacja, woda, prąd.

Powierzchnia działki: 800 m²
Numer działki: 112/11

  • ul. Gdańska, Mikoszewo, gmina Stegna, powiat nowodworski  
  • Na sprzedaż działka budowlana o powierzchni 800 m²  
  • Dojazd asfalt
  • Media woda, kanalizacja, prąd
  • Cena do negocjacji  
  • Oferta bezpośrednio od właściciela dodana ponad miesiąc temu i zaktualizowana ponad tydzień temu
Ta nieruchomość może być Twoja od.. sprawdź
94000 zł (20%) Okres spłaty: 30 lat

Podobne działki na sprzedaż

2
Działka budowlana Mikoszewo, ul. Gdańska

650 000

900

Sprzedam działkę budowlaną. Mikoszewo ul. Gdańska. Więcej informacji udzielę telefonicznie.

Zobacz ogłoszenie
1
Działka budowlana Jantar, ul. Południowa

330 000

1700

Na sprzedaż działka w Jantarze o powierzchni 1697m2 położona nieopodal ulicy Południowej. 1500 m do morza, centrum Jantara 600m. W Miejscowym Planie Zagospodarowania Przestrzennego oznaczona symbolem 17MN -tereny zabudowy mieszkaniowej jednorodzinnej z dopuszczeniem usług turystycznych typu pokoje z...

Zobacz ogłoszenie
3
Działka budowlana Stegna, ul. Rycerska

390 000

1392

OFERTA WYJĄTKOWO BEZ PROWIZJI Z przyjemnością prezentujemy działki 760/4 i 760/3 w Stegnie (gmina Stegna) o łącznej powierzchni 1392 m², przeznaczone pod realizację wolnostojącego budynku usługowo-mieszkalnego (w tym zabudowy jednorodzinnej). To propozycja dla osób, które szukają terenu z jasno okr...

Zobacz ogłoszenie
9
Działka budowlana Jantar, ul. Gdańska

385 000

1097

DZIAŁKA 546/6 - OSTATNIA DOSTĘPNA W TEJ LOKALIZACJI Na sprzedaż ostatnia dostępna działka z atrakcyjnego kompleksu gruntów położonych w nadmorskiej miejscowości Jantar, jednej z najbardziej dynamicznie rozwijających się lokalizacji na Mierzei Wiślanej. Działka nr 546/6 to idealna propozycja zarówno ...

Zobacz ogłoszenie
1
Działka budowlana Junoszyno

399 000

1300

800 m od morza w lini prostej Jantar Junoszyno w sąsiedztwie małego zoo Dzialka budowlana Sprzedam lub zamienię na mieszkanie w Gdańsku 1300 m cena tel)

Zobacz ogłoszenie
3
Działka budowlana Drewnica, ul. Zielona

359 000

3356

Sprzedam dużą działkę budowlaną w Drewnicy - 3356 m², ul. Zielona Na sprzedaż duża działka budowlana o powierzchni 3356 m², położona w spokojnej i malowniczej miejscowości Drewnica (gm. Stegna, pow. nowodworski, woj. pomorskie), przy ul. Zielonej. Działka objęta jest miejscowym planem zagospodarowan...

Zobacz ogłoszenie