Działka na sprzedaż bez pośredników
Dębe  

NOWA OFERTA
Działka budowlana Dębe. Zdjęcie 1

Działka na sprzedaż bez pośredników Dębe

187 000
187 zł/m²
1 000
Dębe - lokalizacja przybliżona
Bezpośrednio od właściciela

Jeśli nie potrzebujesz pośrednika, zaoszczędzisz około 5 600 zł. Potrzebujesz wsparcia? Skorzystaj z pomocy agenta.

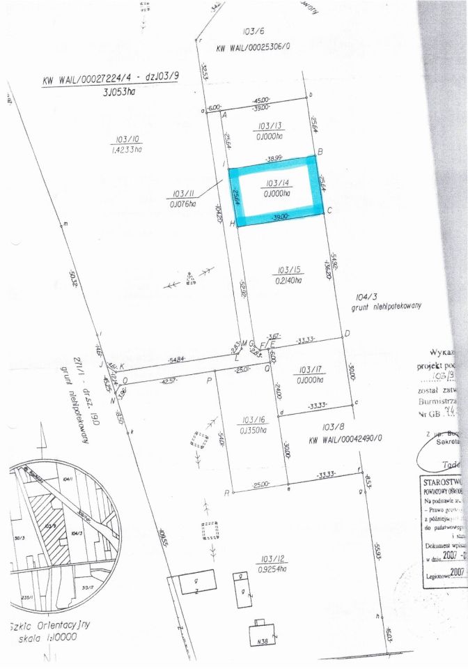
Na sprzedaż atrakcyjna działka budowlana o powierzchni 1000 m², położona w miejscowości Dębe nad rzeką Narew, w gminie Serock. Miejsce idealne dla osób szukających spokoju, natury i jednocześnie dobrej lokalizacji pod budowę domu jednorodzinnego.

Wymiary działki:
- długość: 39 m
- szerokość: 25,64 m

Działka ma bardzo dobre proporcje, co daje duże możliwości zabudowy domu jednorodzinnego z ogrodem.

Media:
- prąd - w wspólnej drodze przy granicy działki
- gaz - ok. 50 m od działki
- kanalizacja - ok. 50 m od działki

Istnieje możliwość podłączenia gazu i kanalizacji przez wspólną drogę (za zgodą współwłaścicieli).
Jeden z sąsiadów, który wybudował dom około 14 lat temu, korzysta z własnej studni, co jest często stosowanym rozwiązaniem w tej okolicy.
Obecnie wielu inwestorów decyduje się na pompę ciepła oraz instalację fotowoltaiczną, co stanowi nowoczesne i ekonomiczne rozwiązanie grzewcze.

Dodatkowe atuty:
- spokojna okolica
- blisko rzeki Narew
- idealna pod dom jednorodzinny

Jeśli szukasz atrakcyjnej działki w spokojnej lokalizacji blisko natury, ta oferta może być idealna dla Ciebie.
Zapraszam do kontaktu.

  • Dębe, gmina Serock, powiat legionowski  
  • Na sprzedaż działka budowlana o powierzchni 1 000 m²  
  • Wymiary Długość: 39 m, szerokość: 25 m
  • Dojazd utwardzony
  • Ogrodzenie bez ogrodzenia
  • Media woda, kanalizacja, prąd
  • Oferta bezpośrednio od właściciela dodana dodana dzisiaj
Ta nieruchomość może być Twoja od.. sprawdź
37000 zł (20%) Okres spłaty: 30 lat

Podobne działki na sprzedaż

7
Działka budowlana Szadki

180 000

801

Działka budowlana 801 m² w Szadkach pod Serockiem - Gotowa pod budowę (MPZP)! Opis nieruchomości: Na sprzedaż ustawna działka budowlana o powierzchni 801 m², położona w malowniczej i spokojnej miejscowości Szadki (gmina Serock, powiat legionowski). To idealna propozycja dla osób szukających balans...

Zobacz ogłoszenie
1
Działka budowlana Wierzbica

180 000

856

Sprzedam działki w Wierzbicy k. Serocka.  Działki objęte są miejscowym planem zagospodarowania przestrzennego. Numery ewidencyjne działek : 19/14 i 19/15. Działki znajdują się na wydzielonym terenie podzielonym na działki budowlane i drogi dojazdowe. Wjazd na teren z ul. Pułtuskiej - obecnie droga ...

Zobacz ogłoszenie
14
Działka budowlana Kania Nowa

180 000

999

Kania Nowa, ul. Topolowa, działki nr 184/11, 183/7 o łącznej powierzchni 999 m. Działka objęta Miejscowym Planem Zagospodarowania Przestrzennego. Ma w nim przeznaczenie: Zabudowa mieszkaniowa jednorodzinna i rekreacyjna. Wodociąg w drodze. Zarośnięta haszczami. Pierwsze zdjęcie jest zdjęciem dzia...

Zobacz ogłoszenie
8
Działka budowlana Wola Smolana

189 000

940

Ogłoszenie bezpośrednie - sprzedaż od właściciela, bez prowizji. Wyjątkowa, piękna działka (nr 186/2), czysta, równa, bez krzaków, ostatnia zabudowa wsi, częściowo ogrodzona - z jednej strony płot. MPZP (MNU - zabudowa jednorodzinna), wydane warunki przyłączy wody i prądu, media przy granicy dział...

Zobacz ogłoszenie
1
Działka budowlana Zabłocie

180 000

1200

Działka budowlana Zabłocie, gmina Serock, 1200 m², pozwolenie na budowę, blisko Zalewu Zegrzyńskiego. Na sprzedaż działka budowlana o powierzchni 1200 m², położona w miejscowości Zabłocie, w gminie Serock (woj. mazowieckie). To idealne miejsce dla osób, które szukają spokojnej przestrzeni blisko na...

Zobacz ogłoszenie
8
Działka budowlana Zabłocie

162 500

1250

Na sprzedaż działki budowlane o powierzchni od 1156 m2 do 1525 m2. Cena za 1 m2: 130 zł. Lokalizacja: Zabłocie, gmina Serock, powiat Legionowski. Malownicza, spokojna, leśna okolica. Dojazd do posesji drogą prywatną. Najbliższe miasta: - 10 km do Serock - 10 km do Nasielska Dokładne wymiary pod...

Zobacz ogłoszenie