Działka na sprzedaż bez pośredników
Drożyna  

Działka budowlana Drożyna. Zdjęcie 1

Działka na sprzedaż bez pośredników Drożyna

130 000
39 zł/m²
3 300
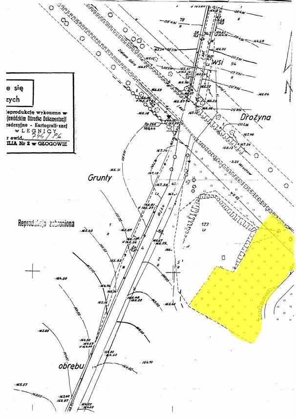
Drożyna - lokalizacja przybliżona
Bezpośrednio od właściciela

Jeśli nie potrzebujesz pośrednika, zaoszczędzisz około 3 900 zł. Potrzebujesz wsparcia? Skorzystaj z pomocy agenta.

Sprzedam działkę budowlaną w pobliżu miejscowości Drożyna, gm. Radwanice, w powiecie polkowickim, o powierzchni 3300 m².

Położona jest blisko drogi S3.

Działka sąsiaduje z dużym, asfaltowym parkingiem dla samochodów osobowych i ciężarowych.

Nadaje się pod budowę restauracji, motelu lub stacji benzynowej.

  • Drożyna, gmina Radwanice, powiat polkowicki  
  • Na sprzedaż działka budowlana o powierzchni 3 300 m²  
  • Dojazd asfalt
  • Oferta bezpośrednio od właściciela dodana ponad miesiąc temu
Ta nieruchomość może być Twoja od.. sprawdź
26000 zł (20%) Okres spłaty: 30 lat

Podobne działki na sprzedaż

1
Działka budowlana Krępa

120 000

2200

W malowniczej miejscowości Krępa posiadam do sprzedania działkę,pobliskie lasy bogate w runo leśne jagody i grzyby. Dla osób chcących zamieszkać w ciszy i spokoju z dala od zgiełu, pedzącego życia jak pociąg polecam,jest to wymarzone miejsce z potencjałem postawienia domu dużego lub małego...

Zobacz ogłoszenie
4
Działka budowlana Sieroszowice Ułanów

80 000

1600

Działki budowlane w Ułanowie gmina Radwanice w odległości 8 kilometrów od Polkowic woj dolnośląskie. Działki 16 i 17 arowe. Dostępne działki zaznaczono na zielono.

Zobacz ogłoszenie
8
Działka budowlana Przesieczna

160 000

1400

Na sprzedaż atrakcyjna działka budowlana o powierzchni 14 arów, położona w miejscowości Przesieczna, gmina Radwanice, powiat polkowicki – w spokojnej, dobrze skomunikowanej okolicy zabudowy jednorodzinnej. --> Lokalizacja i dane działki: miejscowość: Przesieczna gmina: Radwanice powiat: Polko...

Zobacz ogłoszenie
3
Działka budowlana Jakubów

140 000

1632

Sprzedam działkę budowlaną w spokojnej okolicy w Jakubowie. Numer działki 264/7, powierzchnia działki to 1632m2. W drodze przylegającej do działki znajduje się woda i elektryka. Cena do negocjacji

Zobacz ogłoszenie
2
Działka budowlana Sieroszowice

130 000

2000

Oferujmy Państwu na sprzedaż działkę o pow. 20ar położoną w miejscowości Sieroszowice - wieś w Polsce, w województwie dolnośląskim, w powiecie polkowickim, gmina Radwanice. Działka w miejscowym planie zagospodarowania przestrzennego oznaczona jest symbolem 12MN/U i przeznaczona jest pod zabudowę m...

Zobacz ogłoszenie
2
Działka budowlana Radwanice, ul. Gwiaździsta

100 000

1000

Sprzedam działkę budowlaną w Radwanicach na ulicy Gwiaździstej. Działka ma 10 arów, numer działki to 282/4. Cena to 100 000 zł. 

Zobacz ogłoszenie