Działka na sprzedaż bez pośredników
ul. Złota Wągrodno

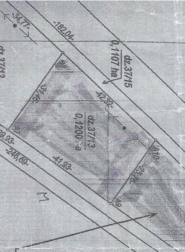
Działka budowlana Wągrodno, ul. Złota. Zdjęcie 1

Działka na sprzedaż bez pośredników Wągrodno ul. Złota

150 000
130 zł/m²
1 150
Wągrodno, Złota - lokalizacja przybliżona
Bezpośrednio od właściciela

Jeśli nie potrzebujesz pośrednika, zaoszczędzisz około 4 500 zł. Potrzebujesz wsparcia? Skorzystaj z pomocy agenta.

Sprzedam działkę budowlaną nr 37/13 w miejscowości Wągrodno gm. Prażmów, o powierzchni 1150 m.kw. Działka położona przy drodze Uwieliny Prażmów, przy drodze asfaltowej. Na działce energia (słup energetyczny), na sąsiedniej działce woda. Szerokość jednego boku 31 m, drugiego 25 m, długość 42 m. Kanalizacja w trakcie realizacji na terenie gminy. Zabudowa do 2,5 kondygnacji, możliwość dopuszczenia usług. Obowiązuje miejscowy plan zagospodarowania przestrzennego. Cena 150 000,00 zł. Kontakt w dni robocze po godz. 16.30.
Możliwość zakupu z sąsiednią działką nr 37/14 o pow. 1312 m.kw. (całość 290 000,00 zł)

  • ul. Złota, Wągrodno, gmina Prażmów, powiat piaseczyński  
  • Na sprzedaż działka budowlana o powierzchni 1 150 m²  
  • Numer ewidencyjny działki 37/13
  • Wymiary Długość: 42 m, szerokość: 31 m
  • Dojazd asfalt
  • Ogrodzenie bez ogrodzenia
  • Media woda nieprzyłączona, prąd, gaz nieprzyłączony
  • Oferta bezpośrednio od właściciela dodana ponad miesiąc temu i zaktualizowana ponad tydzień temu
Ta nieruchomość może być Twoja od.. sprawdź
30000 zł (20%) Okres spłaty: 30 lat

Podobne działki na sprzedaż

4
Działka budowlana Nowy Prażmów

150 000

1079

Oferujemy do sprzedaży atrakcyjną działkę budowlaną o powierzchni 1080m2 w Miejscowości Nowy Prażmów. Dla tej działki zostało wydane pozwolenie na budowę i jest rozpoczęty dziennik budowy domu o powierzchni 70m2. (fizycznie budowa nie została rozpoczęta) działka jest pusta - objęta planem zagospod...

Zobacz ogłoszenie
4
Działka budowlana Koryta

160 000

1000

Miejsce, w którym naprawdę można złapać oddech Witam Państwa i zapraszam do zapoznania się z ofertą sprzedaży działki budowlanej położonej w miejscowości Koryta, gmina Prażmów. To propozycja dla tych, którzy szukają czegoś więcej niż adresu. To przestrzeń, w której codzienność zwalnia a natura przes...

Zobacz ogłoszenie
5
Działka budowlana Nowy Prażmów, ul. Główna

190 000

1200

Sprzedam działkę budowlaną o powierzchni 1200 m². Nieruchomość ma wymiary 30 x 40 m. Do działki prowadzi utwardzona droga asfaltowa. W pobliżu znajdują się media: prąd, woda oraz szambo. To idealne miejsce na budowę wymarzonego domu. Jest obowiązujący plan miejscowy. Umożliwia budowę domu jednorodz...

Zobacz ogłoszenie
7
Działka budowlana Kolonia Gościeńczyce, ul. Sarny

144 000

1200

Sprzedam działki budowlane o powierzchni około 1200 m2 każda, w czystej, spokojnej okolicy. Gmina Prażmów, Kolonia Gościeńczyce, ul. Sarny. Droga dojazdowa 8-metrowa (ul. Sarny). Media: - wodociąg w drodze, - warunki na gaz ziemny, - prąd. - woda przy granicy działki.

Zobacz ogłoszenie
7
Działka budowlana Nowy Prażmów, ul. Wiśniowa

180 000

1200

Sprzedam 3 działki budowlane wraz z udziałem w drodze wewnętrznej. Każda z nich o wymiarze minimum 1200m2. Objęte są planem zagospodarowania przestrzennego. Na działkach znajdują się drzewa. Naprzeciwko znajduje się Chojnowski Park Krajobrazowy. W ulicy są media. Działki stanowią idealną ...

Zobacz ogłoszenie
3
Działka budowlana Kamionka, ul. Brzozowa

150 000

1000

Dzień dobry, sprzedam działkę z wydaną decyzją o warunkach zabudowy (budowa budynku mieszkalnego dwurodzinnego - bliźniak). Dojazd do działki wzdłuż innych posesji. Ul. Brzozowa. Działka jest ogrodzona, prąd w drodze.

Zobacz ogłoszenie