Działka na sprzedaż bez pośredników
Kieszek Kieszek

NOWA OFERTA
Działka budowlana Kieszek, Kieszek. Zdjęcie 1

Działka na sprzedaż bez pośredników Kieszek Kieszek

91 130
65 zł/m²
1 402
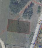
Kieszek, Kieszek - lokalizacja przybliżona
Bezpośrednio od właściciela

Jeśli nie potrzebujesz pośrednika, zaoszczędzisz około 2 700 zł. Potrzebujesz wsparcia? Skorzystaj z pomocy agenta.

Na sprzedaż działka o powierzchni 1402 m² położona w spokojnej i zielonej okolicy w miejscowości Kieszek, gmina Pionki (powiat radomski, woj. mazowieckie).

Numer działki: 26/7

Nieruchomość powstała z podziału większego terenu przeznaczonego pod zabudowę mieszkaniową. Dla tego obszaru została wydana decyzja o warunkach zabudowy umożliwiająca budowę budynków mieszkalnych jednorodzinnych wraz z niezbędną infrastrukturą techniczną.

Działka ma zapewniony dojazd poprzez działki 26/8 i 26/9 stanowiące drogę dojazdową. Udział w 1/5 części drogi.

Najważniejsze informacje:

- powierzchnia: 1402 m²
- numer działki: 26/7
- brak miejscowego planu zagospodarowania przestrzennego
- wydane warunki zabudowy dla terenu
- spokojna, zielona okolica
- idealna pod budowę domu jednorodzinnego

Działka stanowi grunty orne w ewidencji, jednak dla terenu wydano decyzję o warunkach zabudowy.

Możliwość zakupu bezpośrednio sąsiadującej działki z lasem o numerze 26/10 i 26/11 o powierzchni 4535m2 co daje wyjątkową przestrzeń, większą prywatność oraz piękne naturalne otoczenie. To doskonała opcja dla osób szukających większego terenu lub marzących o własnym kawałku lasu.

Zapraszam do kontaktu telefonicznego w celu uzyskania dodatkowych informacji lub umówienia się na obejrzenie działki.

  • Kieszek, Kieszek, gmina Pionki, powiat radomski  
  • Na sprzedaż działka budowlana o powierzchni 1 402 m²  
  • Plan w serwisie geoportal.gov.pl Otwórz plan
  • Numer ewidencyjny działki 26/7
  • Cena do negocjacji  
  • Oferta bezpośrednio od właściciela dodana dodana dzisiaj
Ta nieruchomość może być Twoja od.. sprawdź
18000 zł (20%) Okres spłaty: 30 lat

Podobne działki na sprzedaż

3
Działka budowlana Suskowola

95 000

2510

Nowe

Działka 2510 m² z domem - spokojna okolica, Suskowola koło Pionek. Cena: 95 000 zł (do lekkiej negocjacji). Na sprzedaż działka o powierzchni 2510 m² (0,2510 ha) położona w miejscowości Suskowola, gmina Pionki, województwo mazowieckie. Na działce znajduje się drewniany dom jednorodzinny, do rozbió...

Zobacz ogłoszenie
8
Działka budowlana Helenów

102 000

1700

Sprzedam działki pod zabudowę: 2.800m2 i 1.700m2 w Helenowie gmina Pionki woj. mazowieckie. Działki sa czesciowo zalesione. Znajdują się w pięknej, zielonej i spokojnej okolicy w sąsiedztwie rezerwatu ,, Lugi Helenowskie'' we wsi Helenow w sasiedztwie Puszczy Kozienickiej. Szerokosc dzialek okolo 32...

Zobacz ogłoszenie
2
Działka budowlana Wincentów

92 000

1150

Trzy atrakcyjne działki budowlane na sprzedaż w Wincentowie! Szukasz idealnego miejsca do budowy swojego wymarzonego domu? Mamy dla Ciebie propozycję trzech działek budowlanych położonych w cichej i zielonej okolicy Wincentowa, w pobliżu Pionek. Działki o powierzchni 1150 m2, 1112 m2 i 1295 m2 zape...

Zobacz ogłoszenie
8
Działka budowlana Laski

95 000

1085

Sprzedam nieruchomości zlokalizowane w malowniczej miejscowości Laski. Każda z nieruchomości składa się z dwóch działek ewidencyjnych o łącznej powierzchni ponad 1000 m2. Dostęp do drogi publicznej zapewniony został poprzez wydzielenie drogi wewnętrznej o szerokości 6m (oznaczonej na niebiesko na ...

Zobacz ogłoszenie
6
Działka budowlana Stoki

90 000

6900

Sprzedam działkę w super okolicy. Bliskość natury, granicząca z Parkiem Krajobrazowym, las i cisza. Budowlana o powierzchni 6900 mkw. Dojazd drogą asfaltową, woda oraz prąd w drodze. Cena do negocjacji. Zapraszam do kontaktu. Wymiary: 22 m x 330 m.

Zobacz ogłoszenie
1
Działka budowlana Płachty

zapytaj

2650

Sprzedam działkę o powierzchni 2655 m^2 z bezpośrednim dojazdem do drogi głównej.

Zobacz ogłoszenie