Działka na sprzedaż bez pośredników
ul. Zawadzka Wólka Pracka Zawady

Działka budowlana Wólka Pracka Zawady, ul. Zawadzka. Zdjęcie 1

Działka na sprzedaż bez pośredników Wólka Pracka Zawady ul. Zawadzka

431 270
305 zł/m²
1 414
Wólka Pracka Zawady, Zawadzka - lokalizacja przybliżona
Bezpośrednio od właściciela

Jeśli nie potrzebujesz pośrednika, zaoszczędzisz około 12 900 zł. Potrzebujesz wsparcia? Skorzystaj z pomocy agenta.

Oferuję do sprzedaży działkę budowlaną o pow. 1414m2 (prostokat 48m x 29,5) za 431270,-zł. Położona w Złotokłosie, Wólka Pracka - Zawady przy ulicy Zawadzkiej.
Media: woda, prąd, gaz i kanalizacja w ulicy Zawadzkiej. Według planu zagospodarowania przestrzennego przeznaczona jest pod zabudowę jednorodzinną dwulokalową, powierzchnia zabudowy 30%, powierzchnia biologicznie-czynna 70%, wysokość zabudowy 11 m, garaż 6 m. Dojazd do działki drogą asfaltową ostatnie 100m drogą polną. Wokoło domy jednorodzinne oraz niezabudowane działki. W najbliższej okolicy: tereny rekreacyjne, las, szkoła, przedszkola, obiekty sportowe, restauracje, przychodnia zdrowia, sklep, poczta.
Dobry dojazd do Centrum Warszawy (2,5 km do S7). Dostępna jest również komunikacja: autobus L2 w kierunku Piaseczna i 728 w kierunku P+R Aleja Krakowska.

ul. Zawadzka -, Wólka Pracka Zawady, gmina Piaseczno, powiat piaseczyński
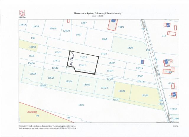
Na sprzedaż działka budowlana o powierzchni 1413 m².
Numer ewidencyjny działki: 132/13, 133/12, 134/13, udział 1/4 w 134/16
Długość: 48 m, szerokość: 29,5 m
Dojazd: asfalt, ogrodzenie: jedna strona
Media: woda, kanalizacja, prąd, gaz
Ogłoszenie bezpośrednio od właściciela

  • ul. Zawadzka, Wólka Pracka Zawady, gmina Piaseczno, powiat piaseczyński  
  • Na sprzedaż działka budowlana o powierzchni 1 414 m²  
  • Numer ewidencyjny działki 132/13, 133/12, 134/13
  • Wymiary Długość: 48 m, szerokość: 30 m
  • Dojazd asfalt
  • Ogrodzenie bez ogrodzenia
  • Media woda nieprzyłączona, kanalizacja, prąd nieprzyłączony, gaz nieprzyłączony
  • Oferta bezpośrednio od właściciela dodana ponad miesiąc temu i zaktualizowana dzisiaj
Ta nieruchomość może być Twoja od.. sprawdź
86000 zł (20%) Okres spłaty: 30 lat

Podobne działki na sprzedaż

2
Działka budowlana Wólka Pracka Zawady, ul. Zawadzka

431 270

1414

Oferuję do sprzedaży działkę budowlaną o pow. 1414m2 (prostokat 48m x 29,5) za 431270,-zł. Położona w Złotokłosie, Wólka Pracka - Zawady przy ulicy Zawadzkiej. Media: woda, prąd, gaz i kanalizacja w ulicy Zawadzkiej. Według planu zagospodarowania przestrzennego przeznaczona jest pod zabudowę jednoro...

Zobacz ogłoszenie
4
Działka budowlana Pilawa, ul. Braci Czapskich

420 000

1347

Sprzedaż bezpośrednia! Agencjom dziękuję! Na sprzedaż jedna z ostatnich niezabudowanych działek obok terenów leśnych. Działka nr. ew. 70/3 z obrębu 0030 jest objęta MPZP, położona wśród zabudowy jednorodzinnej w miejscowości Pilawa na początku ul. Braci Czapskich u zbiegu z ul. Klonową. Położ...

Zobacz ogłoszenie
11
Działka budowlana Chojnów, ul. Graniczka

465 000

1477

Na sprzedaż działka budowlana o powierzchni 1477 m kw położona w miejscowości Chojnów w powiecie piaseczyńskim. Teren płaski, suchy, na działce pozostawiono kilka dorodnych drzew, z trzech stron teren jest ogrodzony. W cenę wliczony jest udział w drodze dojazdowej. W drodze dostępna jest kanalizacj...

Zobacz ogłoszenie
2
Działka budowlana Wólka Pracka Zawady, ul. Zawadzka

431 000

1413

Oferuję do sprzedaży działkę budowlaną o pow. 1413m2 (kwadrat) 38m x37m za 430000,-zł. Położona w Złotokłosie, Wólka Pracka - Zawady przy ulicy Zawadzkiej. Media: woda, prąd, gaz i kanalizacja w ulicy Zawadzkiej. Według planu zagospodarowania przestrzennego przeznaczona jest pod zabudowę jednorodzin...

Zobacz ogłoszenie
12
Działka budowlana Grochowa, ul. Zbigniewa Pawlaka

450 000

1500

Sprzedam działki budowlane (cztery po 1500m2) w miejscowości Grochowa w Gminie Piaseczno. Działki mają kształt zbliżony do prostokąta i są to kolejno 8/7, 8/6, 8/5, 8/4. Każda działka ma bezpośredni dojazd do ulicy Zbigniewa Pawlaka i znajduje się na granicy otuliny Chojnowskiego Parku Krajobrazoweg...

Zobacz ogłoszenie
3
Działka budowlana Bogatki

418 000

1783

Oferujemy na sprzedaż atrakcyjną działkę budowlaną o powierzchn1783 m, przeznaczoną w miejscowym planie zagospodarowania przestrzennego pod zabudowę mieszkaniową jednorodzinną i bliźniaczą. Zgodnie z planem, 1500 m przeznaczone jest dla zabudowy wolnostojącej, natomiast 750 m dla zabudowy bliźniacze...

Zobacz ogłoszenie