Działka na sprzedaż bez pośredników
Kępa Anielin

Działka budowlana Anielin Kępa. Zdjęcie 1

Działka na sprzedaż bez pośredników Anielin Kępa

290 940
65 zł/m²
4 476
Anielin Kępa - lokalizacja przybliżona
Bezpośrednio od właściciela

Jeśli nie potrzebujesz pośrednika, zaoszczędzisz około 8 700 zł. Potrzebujesz wsparcia? Skorzystaj z pomocy agenta.

Działki 19/4 i 19/5 na sprzedaż – razem
Pow. 4476 m2. Cena 65 zł/m2 – do negocjacji.
Cena ogółem 290 940 zł; Kontakt do właściciela: [numer]
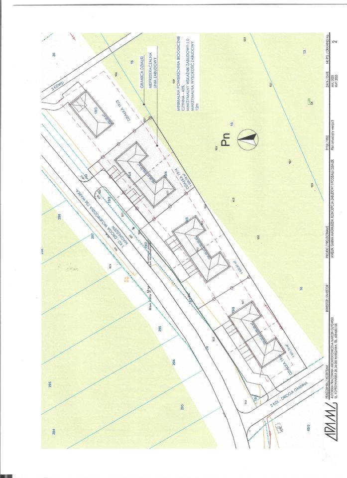
Działki posiadają miejscowy plan zagospodarowania przestrzennego (MPZP) w tym decyzje o odlesieniu.
Przeznaczenie: teren usług nieuciążliwych i (lub) zabudowy mieszkaniowej i jednorodzinnej.
1) Dz nr 19/4 wg mapy zasadniczej (nr 2 na PZT ) – pow. 1436 m2;, Wjazd bezpośredni z drogi 736 Warka – Magnuszew. Wg zał koncepcji architekta budynek mieszkalny o pow. 220 m2
2). Dz. Nr 19/5 wg mapy zasadniczej (nr 1 na PZT ) – pow. 3040 m2. Wjazd z drogi gminnej 20 m od drogi wojewódzkiej 736 Warka Magnuszew. Wg zał. koncepcji architekta budynek usługowy lub 2 domy po 200 m2
Uwaga: Linia średniego napięcia biegnąca po skraju działek jest w trakcie przebudowy na kabel położony w gruncie. Na przebudowę wydano decyzje lokalizacyjną

  • Anielin Kępa, gmina Magnuszew, powiat kozienicki  
  • Na sprzedaż działka budowlana o powierzchni 4 476 m²  
  • Plan w serwisie geoportal.gov.pl Otwórz plan
  • Numer ewidencyjny działki 19/4; 19/5
  • Wymiary Długość: 120 m, szerokość: 30 m
  • Dojazd asfalt
  • Cena do negocjacji  
  • Oferta bezpośrednio od właściciela dodana ponad miesiąc temu
Ta nieruchomość może być Twoja od.. sprawdź
58000 zł (20%) Okres spłaty: 30 lat

Podobne działki na sprzedaż

6
Działka budowlana Wola Magnuszewska

215 000

2270

Do sprzedania działka budowlana o powierzchni 2270 m², położona w miejscowości Wola Magnuszewska. Cicha i spokojna okolica. Bezpośredni dostęp do drogi asfaltowej oraz mediów: - Woda - Kanalizacja - Prąd - Internet światłowodowy Więcej info pod nr telefonu.

Zobacz ogłoszenie
5
Działka budowlana Grzybów Nowy Grzybów

190 000

2000

Do sprzedania bardzo ładna działka budowlana w miejscowości Grzybów, gmina Magnuszew o powierzchni 2000m2. Dojazd drogą wewnętrzną, utwardzoną, zapewniony z dwóch stron, od DK79 oraz DW736. Działka w kształcie prostokąta 32mx62m z wydanymi warunkami zabudowy na budowę domu całorocznego. Przyłącze el...

Zobacz ogłoszenie
1
Działka budowlana Garbatka-Letnisko, ul. Jana Kochanowskiego

300 000

1 ha

Sprzedam hurtem 20 działek budowlanych w Garbatce Letnisko za połowę wartości rynkowej. Pas działek od Garbatki Długiej w stronę Kochanowskiego. Więcej informacji udzielę przez telefon. Ryszard Maciejewski

Zobacz ogłoszenie
9
Działka budowlana Mniszew

299 900

4700

Powierzchnia działki budowlanej to 4700m² lasu nad Pilicą pod Mniszewem, powiat Kozienicki. Ogrodzona siatką nieruchomość sąsiaduje z licznymi działkami rekreacyjnymi w gęstym sosnowo-dębowym lesie. Posiada bezpośrednie połączenie wodne z Wisłą przez Pilicę i Kanal Trzebienski nad ktorym leży. Pełny...

Zobacz ogłoszenie
14
Działka budowlana Mniszew

200 000

2702

Działka numer 1627/47 Powierzchnia: 0,2702 ha Województwo: Mazowieckie, Powiat Kozienicki, Gmina Magnuszew, Mniszew Przeznaczenie: B - Tereny mieszkaniowe Numer księgi wieczystej: RA1K/00009658/8 Piękna, zalesiona działka budowlana położona blisko rzeki Pilicy z dostępem do plaży. Tereny są mało zu...

Zobacz ogłoszenie
8
Działka budowlana Boguszków

273 000

4977

Na sprzedaż malownicza działka budowlana w Boguszkowie! Zapraszam do zakupu wyjątkowej działki położonej w urokliwej miejscowości Boguszków, w gminie Magnuszew, powiecie kozienickim. Działka znajduje się zaledwie 50 km od Warszawy i 35 km od Kozienic, w otoczeniu lasów, jeziora Boguszkowskiego (130...

Zobacz ogłoszenie