Działka na sprzedaż
Kozłów  

Działka budowlana Kozłów. Zdjęcie 1
Działka budowlana Kozłów. Zdjęcie 2
Działka budowlana Kozłów. Zdjęcie 3
Działka budowlana Kozłów. Zdjęcie 4
Działka budowlana Kozłów. Zdjęcie 5
Działka budowlana Kozłów. Zdjęcie 6

Działka na sprzedaż Kozłów

126 000
105 zł/m²
1 200
Kozłów - lokalizacja przybliżona

Właściciel powierzył sprzedaż nieruchomości pośrednikowi. Możesz zadzwonić lub napisać do agenta za darmo.

DO SPRZEDANIA TEREN POD ZABUDOWĘ - Kozłów, gm. Jastrzębia
Na sprzedaż atrakcyjna nieruchomość gruntowa położona w spokojnej i zielonej miejscowości Kozłów, w gminie Jastrzębia, z bardzo dobrym dojazdem do Radomia i głównych tras komunikacyjnych.
Dla działek zostały:
wydane Warunki Zabudowy na budowę budynków mieszkalnych jednorodzinnych, wolnostojących,
wydane postanowienie o podziale działek 687 i 688 na mniejsze.
[/list]Aktualne możliwości zakupu: 
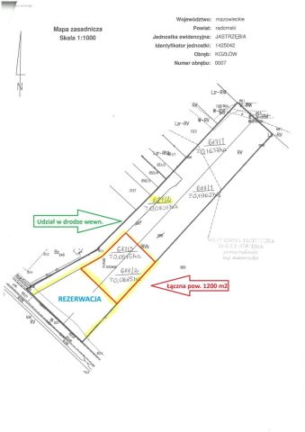
2 działki o powierzchni 1 200 m² (dz. nr 687/3 i 688/2) za cenę 105 zł/m2.
2 działki o powierzchni 3 599 m² (dz. nr 687/1 i 688/1) za cenę 85 zł/m2.[/list][/list] [/list] W cenę działki wliczona jest wartość udziału w drodze dojazdowej wewnętrznej o nr geod. 687/2.
Lokalizacjaok. 6 km od ronda Kozienickiego w Radomiu,
szybki dojazd w kierunku Zwolenia, Krakowa, Lublina i Kozienic,
zalew w Siczkach - ok. 15 minut,
przystanek autobusowy - ok. 1,5 km.
[/list]Nieruchomośćdojazd drogą publiczną asfaltową,
spokojna okolica z zabudową jednorodzinną,
wymiary działek dostępne na mapie poglądowej.
[/list]Mediawoda - przy działce (ok. 10 m od frontu),
prąd - na działce,
kanalizacja - w drodze po drugiej stronie asfaltu (ok. 5 m),
telekomunikacja - sieć przy froncie działki, w miejscowości dostępny światłowód.
[/list]Atuty ofertymożliwość zakupu całości lub mniejszych działek,
wydane Warunki Zabudowy,
pełne uzbrojenie w media,
cicha i zielona okolica,
bliskość Radomia i świetna komunikacja,
idealne miejsce pod zabudowę jednorodzinną.
[/list]Zapraszamy do kontaktu w celu uzyskania szczegółowych informacji oraz umówienia prezentacji nieruchomości.
Kupujący nie płaci prowizji!
Ogłoszenie ma charakter informacyjny i nie stanowi oferty handlowej w rozumieniu art. 66 §1 Kodeksu Cywilnego.

  • Kozłów, gmina Jastrzębia, powiat radomski  
  • Na sprzedaż działka budowlana o powierzchni 1 200 m²  
  • Wymiary Długość: 193 m, szerokość: 54 m
  • Ogrodzenie bez ogrodzenia
  • Ogłoszenie biura nieruchomości  
  • Oferta dodana ponad miesiąc temu
Ta nieruchomość może być Twoja od.. sprawdź
25000 zł (20%) Okres spłaty: 30 lat

Podobne działki na sprzedaż

5
Działka budowlana Kolonia Lesiów

150 000

1500

Na sprzedaż atrakcyjne działki budowlane położone w miejscowości Kolonia Lesiów. Znajdują się one w spokojnej, zielonej okolicy, a jednocześnie zapewniają bardzo dobry dostęp do komunikacji i infrastruktury. To idealne miejsce dla osób, które chcą wybudować dom z dala od miejskiego hałasu, ale bez r...

Zobacz ogłoszenie
8
Działka budowlana Dąbrowa Jastrzębska

115 500

1100

Na sprzedaż atrakcyjne działki położone w miejscowości Dąbrowa Jastrzębska, w gminie Jastrzębia, woj. mazowieckie. Idealna propozycja dla osób szukających spokojnego miejsca z doskonałym dostępem do infrastruktury miejskiej i komunikacyjnej. Lokalizacja: ok. 10 minut jazdy do centrum Radomia, dojaz...

Zobacz ogłoszenie
1
Działka budowlana Goryń

136 000

1000

Działka we wsi Goryń przy przystanku autobusowym, 300 m od rzeki Radomki, ogrodzona, media w ulicy.

Zobacz ogłoszenie
10
Działka budowlana Bartodzieje

150 000

2300

Sprzedam wyjątkową działkę budowlaną – Bartodzieje, gm. Jastrzębia Szukasz miejsca, gdzie połączysz spokój natury z wygodą codziennego życia? Ta oferta jest właśnie dla Ciebie! Lokalizacja Bartodzieje, gmina Jastrzębia, powiat radomski tylko 20 minut jazdy od Radomia stacja kolejowa Bartodzieje ...

Zobacz ogłoszenie
1
Działka budowlana Małomierzyce

155 000

5,5 ha

Na sprzedaż atrakcyjne działki położone w miejscowości Małomierzyce, gmina Iłża, powiat radomski, województwo mazowieckie. Nieruchomości zlokalizowane są po obu stronach drogi asfaltowej, w spokojnej i zielonej okolicy, blisko lasu, z dostępem do ścieżek rowerowych i terenów rekreacyjnych. Cena: O...

Zobacz ogłoszenie
8
Działka budowlana Bartodzieje

128 000

1200

Działka budowlana: 1200 metrów. Rozpoczęta budowa domu z garażem jednorodzinnego, 110 m2. - Wykonane fundamenty. - Projekt: Słowicze N, biura KB Projekt. Do sprzedania 4 działki niezabudowane z aktualnymi warunkami zabudowy, od 1200 do 1700 m2, w cenie 93 zł za m2.

Zobacz ogłoszenie