Działka na sprzedaż bez pośredników
Brak Gorzechowo

NOWA OFERTA
Działka budowlana Gorzechowo, Brak. Zdjęcie 1

Działka na sprzedaż bez pośredników Gorzechowo Brak

67 665
65 zł/m²
1 041
Gorzechowo, Brak - lokalizacja przybliżona
Bezpośrednio od właściciela

Jeśli nie potrzebujesz pośrednika, zaoszczędzisz około 2 000 zł. Potrzebujesz wsparcia? Skorzystaj z pomocy agenta.

Na sprzedaż atrakcyjne działki budowlane, położone w miejscowości Gorzechowo
Działki znajdują się w cichej i spokojnej okolicy, idealnej dla osób szukających miejsca na budowę domu z dala od miejskiego zgiełku.

Najważniejsze informacje:
- możliwość podłączenia do sieci wodnej i energetycznej (w drodze gminnej)
-Działki przeznaczone są pod budowę domu jednorodzinnego ( plan ogólny )
- Możliwość uzyskania warunków zabudowy w gminie.
- Dojazd z drogi gminnej do drogi asfaltowej około 200m.
- Powierzchnia działek do wyboru od 1000m do 1600m.
- Odległość od Płocka około 20km (dobry dojazd)



Okolica sprzyjająca aktywnemu wypoczynkowi na świeżym powietrzu, dużo zieleni w pobliżu lasy.

To doskonała inwestycja zarówno na własne potrzeby mieszkaniowe jak i jako lokata kapitału.
Cena do uzgodnienia.

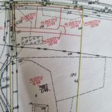
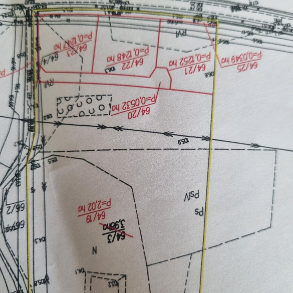
  • Brak, Gorzechowo, gmina Brudzeń Duży, powiat płocki  
  • Na sprzedaż działka budowlana o powierzchni 1 041 m²  
  • Numer ewidencyjny działki 64/7
  • Dojazd utwardzony
  • Ogrodzenie bez ogrodzenia
  • Media woda nieprzyłączona, brak kanalizacji, prąd nieprzyłączony, gaz nieprzyłączony
  • Cena do negocjacji  
  • Oferta bezpośrednio od właściciela dodana dodana dzisiaj
Ta nieruchomość może być Twoja od.. sprawdź
14000 zł (20%) Okres spłaty: 30 lat

Podobne działki na sprzedaż

4
Działka budowlana Więcławice

65 000

1300

Atrakcyjne działki na sprzedaż - Więcławice, blisko Płocka Na sprzedaż dwie wyjątkowo położone działki w miejscowości Więcławice, zaledwie 18 km od Płocka, bezpośrednio przy drodze wojewódzkiej nr 562. - 13 arów - 65 000 zł - 19 arów - 75 000 zł Działki znajdują się w pięknej, malowniczej okolicy...

Zobacz ogłoszenie
4
Działka budowlana Bądkowo Kościelne

92 055

1083

Sprzedam działki budowlane w m. Bądkowo Kościelne, numer ewidencyjny : 44/7 i 110/18 o łącznej powierzchni 3786 m2 44/11 o powierzchni1083 m2 44/9 i 44/10 o łącznej powierzchni 1976 m2 cena 85 zł za m2 do negocjacji Teren objęty MPZP i oznaczony symbolami 4RM i MN Pasja Nieruchomości, D...

Zobacz ogłoszenie
4
Działka budowlana Parzeń-Janówek

84 506

1457

Dzień dobry, Przedmiotem aukcji są działki budowlane w miejscowości Parzeń-Janówek (w obrębie Brudzeńskiego Parku Krajobrazowego). Do każdej z tych działek jest wykonane przyłącze energetyczne. W cenie działki są również zawarte udziały w drodze dojazdowej. Działki oddalone są o 150m od linii brzeg...

Zobacz ogłoszenie
1
Działka budowlana Murzynowo

90 000

1000

Sprzedam działki o powierzchni 10 arów położonych w miejscowości Murzynowo na nowo rozpoczętym osiedlu. Więcej informacji pod numerem telefonu.

Zobacz ogłoszenie
3
Działka budowlana Brudzeń Duży

75 000

1001

Sprzedam działkę budowlaną o powierzchni 1001 m2, znajdującą się w Brudzeniu Dużym. Działka posiada warunki zabudowy oraz mapę geodezyjną do celów projektowych. Na części działki zostały posadzone drzewka owocowe. Znajduje się na niej również kompostownik. Działka jest ogrodzona i znajduje się przy ...

Zobacz ogłoszenie
1
Działka budowlana Siecień

89 000

1025

Sprzedam działkę w Siecieniu. Powierzchnia: 1025 m2. Numer działki: 424/7.

Zobacz ogłoszenie