Dom na sprzedaż bez pośredników
Stara Wieś  

siedlisko, 3 pokoje Stara Wieś. Zdjęcie 1

Dom na sprzedaż bez pośredników Stara Wieś

239 000
3 677 zł/m²
65
3 pok.
Stara Wieś - lokalizacja przybliżona
Bezpośrednio od właściciela

Jeśli nie potrzebujesz pośrednika, zaoszczędzisz około 7 200 zł. Potrzebujesz wsparcia? Skorzystaj z pomocy agenta.

Sprzedam bezpośrednio siedlisko o powierzchni 2167 m2 z możliwością zabudowy.

Lokalizacja:
Stara Wieś nr 7
Gmina Puchaczów 21-013
pow. łęczyński

- 31 minut do Lublina (31 km)
- 6 minut do Łęcznej (7 km)

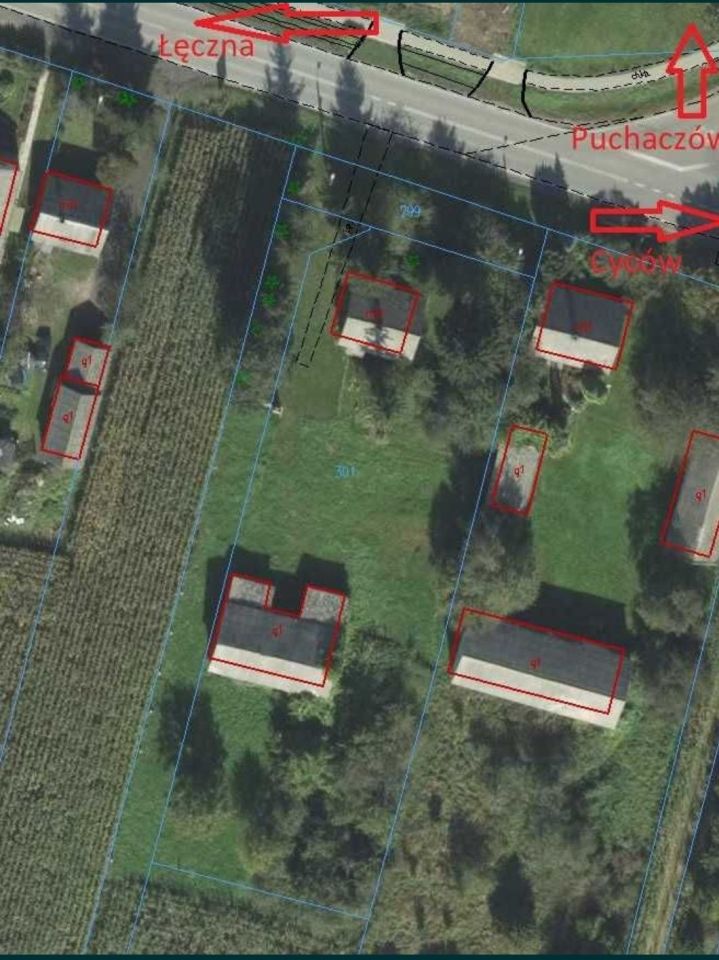
Działka znajduje się przy drodze krajowej nr 82.
Wymiary działki to ok. 27 m x 80 m.
Numer działki: 061005_2.0011.301.

Do działki przynależy także współwłasność drogi - działka nr 300.

Przyłącze elektryczne, wody, kanalizacji.
Możliwe jest uzyskanie przyłącza gazu ziemnego - są wykonane warunki.

Na działce znajduje się:
- dom drewniany o powierzchni ok. 65 mkw z piecem kaflowym,
- pod częścią domu murowana piwnica,
- stodoła drewniana o powierzchni ok. 140 mkw,
- studnia,
- sad: jabłonie, czereśnia, wiśnia, orzechy, maliny, borówki,
- kilkanaście niedawno posadzonych drzew i krzewów iglastych.

Działka została w 2023 ogrodzona - brama wjazdowa 4 m pod automatykę + furtka.

- dopuszczalne nieuciążliwe usługi,
- powierzchnia zabudowy do 40% powierzchni działki,
- wysokość budynków do 12 m.

Zapraszam do bezpośredniego kontaktu z właścicielem bez pośredników.

  • Stara Wieś, gmina Puchaczów, powiat łęczyński  
  • Na sprzedaż siedlisko o powierzchni 65 m², 3 pokoje wybudowany w 1965 roku
  • Sizing Streamline Icon: https://streamlinehq.com
    Działka 2 167 m², wymiary działki: 27 m x 80 m  
  • Budynek w stanie do remontu  
  • Dojazd asfalt
  • Ogrodzenie metalowe
  • Media woda, kanalizacja, prąd, gaz nieprzyłączony
  • Oferta bezpośrednio od właściciela dodana ponad miesiąc temu i zaktualizowana ponad tydzień temu
Ta nieruchomość może być Twoja od.. sprawdź
48000 zł (20%) Okres spłaty: 30 lat

Podobne domy na sprzedaż

19
dom wolnostojący, 2 pokoje Rogóźno

295 000

80

2 pok.

Na sprzedaż urokliwy domek nad jeziorem - idealne miejsce na odpoczynek! Oferuję na sprzedaż klimatyczny domek położony w malowniczej okolicy, tuż nad jeziorem. To doskonałe miejsce dla osób ceniących spokój, naturę oraz aktywny wypoczynek. Domek o powierzchni ok. 80 m² składa się z: - przytulnego...

Zobacz ogłoszenie
10
dom letniskowy, 4 pokoje Kaniwola

325 000

60

4 pok.

Domek letniskowy nad jeziorem Piaseczno 400 m. Drewniany parterowy duży. Zadbana działeczka. Woda ze studni głębinowej, szambo , łazienka, prąd.

Zobacz ogłoszenie
16
dom wolnostojący, 5 pokoi Rogóźno

300 000

55

5 pok.

Do sprzedania dom murowany z 1994r do niedużego remontu/odnowienia nad jeziorem Łukcze -ok. 500m od jeziora. Dom usytuowany pod lasem, w spokojnym zacisznym miejscu. Na działce dodatkowo domek narzędziowy ok. 6m2. Drewniana studnia. Woda doprowadzona do domu.  Możliwość dokupienia sąsiedniej działki...

Zobacz ogłoszenie
6
siedlisko Jaszczów-Kolonia

250 000

60

Siedlisko położone w miejscowości Jaszczów Kolonia, gmina Milejów, na działce o powierzchni 1,1615 ha. Składa się z budynku mieszkalnego o powierzchni 60 m2 i budynku gospodarczego o powierzchni 129 m2. Nieruchomość posiada bezpośredni zjazd z drogi powiatowej relacji Jaszczów - Białka. Posiada wła...

Zobacz ogłoszenie