Działka na sprzedaż bez pośredników
Płużki Buszków

Działka rolno-budowlana Buszków Płużki. Zdjęcie 1

Działka na sprzedaż bez pośredników Buszków Płużki

260 000
118 zł/m²
2 200
Buszków Płużki - lokalizacja przybliżona
Bezpośrednio od właściciela

Jeśli nie potrzebujesz pośrednika, zaoszczędzisz około 7 800 zł. Potrzebujesz wsparcia? Skorzystaj z pomocy agenta.

Na sprzedaż zadbana, zielona, ogrodzona działka z domem, dwoma garażami i magazynem. Powierzchnia nieruchomości to 2 200 metrów kwadratowych.
Działka znajduje się na uboczu, tuż nad rzeką Nidzicą. Wiosną i latem ma dodatkowych mieszkańców, czyli bocianią rodzinę, która ma gniazdo na terenie posesji. Na działce znajduje się też niewielki las.
Murowany budynek mieszkalny ma 70 metrów kw. powierzchni. Na tę powierzchnię składają się kuchnia, łazienka, dwie sypialnie i użyteczny schowek.
Na działce znajdują się też dwa blaszane garaże. Przestrzeń między nimi jest zabudowana, co sprawia, że uzyskano w ten sposób dodatkową powierzchnię do przechowywania. Na działce rosną dwa orzechy włoskie, śliwa, krzaki malin oraz mały ogródek warzywny.
W cenie wyposażenie domu oraz regały w pomieszczeniach do przechowywania. Posesja jest solidnie ogrodzona. Prowadzi do niej dwuskrzydłowa brama oraz furtka.
Za ogrodzeniem rzeka, łąka i sielskie krajobrazy. Cisza, spokój, piękne zachody słońca i bociany, które swoim klekotem witają dzień.
Dom na działce można rozbudować, ale na istniejących fundamentach. Po sąsiedzku sklepy (Biedronka), kompleks sportowy, stawy hodowlane, stacja benzynowa oraz przystanek autobusowy.
21 kilometrów do Miechowa. Do Krakowa 60.

  • Buszków Płużki, gmina Słaboszów, powiat miechowski  
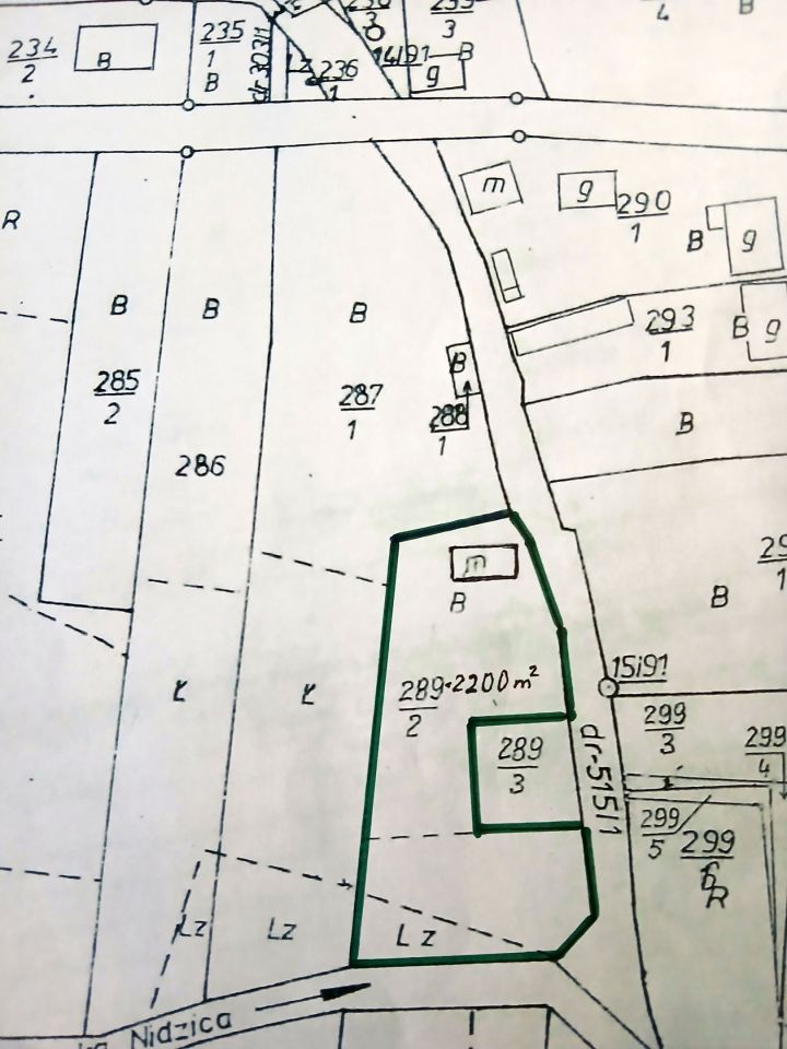
  • Na sprzedaż działka rolno-budowlana o powierzchni 2 200 m²  
  • Numer ewidencyjny działki 289/2
  • Dojazd asfalt
  • Ogrodzenie siatka
  • Media woda, szambo, prąd, gaz nieprzyłączony
  • Cena do negocjacji  
  • Oferta bezpośrednio od właściciela dodana ponad miesiąc temu i zaktualizowana ponad tydzień temu
Ta nieruchomość może być Twoja od.. sprawdź
52000 zł (20%) Okres spłaty: 30 lat

Podobne działki na sprzedaż

3
Działka rolno-budowlana Miechów, ul. Partyzantów

295 000

7900

Oferuję na sprzedaż piękną, widokową działkę położoną w Miechowie przy ul. Partyzantów. Całość działki to 79 arów, z czego ponad 8 arów znajduje się w obszarze budowlanym zgodnie z miejscowym planem zagospodarowania przestrzennego (MPZP). Działka jest doskonale nasłoneczniona i zapewnia panoramiczn...

Zobacz ogłoszenie
8
Działka rolno-budowlana Kępie

230 000

5326

Szanowni Państwo, do sprzedania działka o powierzchni 5326 m2 w miejscowości Kępie (gmina wiejska Kozłów, powiat miechowski, województwo małopolskie) zabudowana budynkami. W skład budynków wchodzi: dom, dom gospodarczy, drugi dom gospodarczy, szopa, stodoła. Media na działce: prąd Media w drodze: wo...

Zobacz ogłoszenie
2
Działka rolno-budowlana Kamienica

290 000

2,43 ha

Witam. Mam do sprzedania działkę rolno budowlaną wraz z widocznymi zabudowaniami. Działka budowlana uzbrojona. Dwa wjazdy na działkę. Powierzchnia działki budowlanej 0,44ha a działki rolnej 1,99ha. Telefon: 514-716-212

Zobacz ogłoszenie
8
Działka rolno-budowlana Szreniawa

180 000

7710

Na sprzedaż działka budowlano rolna 7710,0m2 . Położona w spokojnej okolicy, z zabudową kilku domów jednorodzinnych. Do drogi głownej trasy Wolbrom-Miechów 2 km. Szkoła, ośrodek zdrowia, sklepy w odległosci 1 km. Sklada sie z dwóch działek 246 i 247. Szerokość około 50 metrów , dlugosc 155 m. Powier...

Zobacz ogłoszenie
10
Działka rolno-budowlana Przybysławice

160 000

7739

Mam do sprzedania działkę rolno-budowlaną w miejscowości Przybysławice (gmina Kozłów, powiat miechowski, województwo małopolskie). Działka jest głównie rolna, z fragmentem przeznaczonym na cele budowlane. Powierzchnia całości to 7739 metrów kwadratowych (około 0,7 hektara). Około 700 m2 jest ogrodz...

Zobacz ogłoszenie
1
Działka rolno-budowlana Kamienica

180 000

1,77 ha

Do sprzedania działka budowlano-rolna, z dojazdem bezpośrednio z drogi gminnej asfaltowej. Część działki ok. 18 a w części budowlanej aktualnie zakrzaczona. Pozostała część jest użytkowana rolniczo.

Zobacz ogłoszenie