Rydułtowy Radoszowy

działka rolno-budowlana na sprzedaż Bez pośrednika

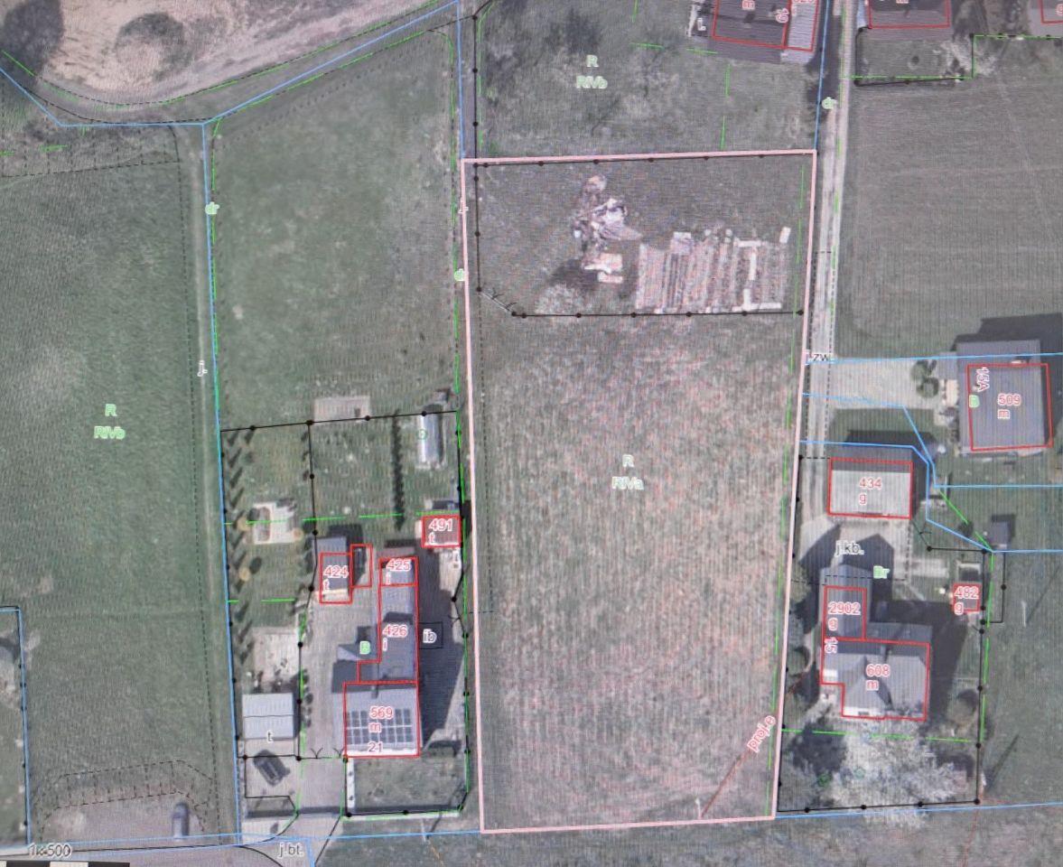
Działka rolno-budowlana Rydułtowy Radoszowy
Cena
337 300
Powierzchnia
3373 m²
Cena za m²
100
Rydułtowy Radoszowy · 337 300 zł

Ogłoszenie właściciela - bez pośredników

Działka rolno-budowlana Rydułtowy Radoszowy. Zdjęcie 1
Działka rolno-budowlana Rydułtowy Radoszowy. Zdjęcie 1

Bez pośrednika. Oszczędzasz 10 100 zł na prowizji pośrednika!

Sprzedam działkę o powierzchni 3373 m2, zlokalizowaną w Rydułtowach, obręb Radoszowy.

W MPZP działka oznaczona jest symbolem MN-U, czyli teren zabudowy mieszkaniowej jednorodzinnej lub usług.

W granicach działki znajduje się uzbrojenie w postaci:
- sieć elektroenergetyczna,
- sieć kanalizacyjna,
- sieć wodociągowa.

  • Rydułtowy Radoszowy, powiat wodzisławski
  • Na sprzedaż działka rolno-budowlana o powierzchni 3373 m².
  • Media: woda
  • Oferta dodana bezpośrednio przez właściciela ponad miesiąc temu i zaktualizowana ponad tydzień temu
Wróć
Największa baza ogłoszeń bez pośredników
Zarejestruj się, aby przejść dalej
lub

Kontynuując akceptujesz
Regulamin i Politykę prywatności

Masz już konto na adresowo.pl?
Zaloguj się

Mamy dla Ciebie kredyt hipoteczny z niską ratą! Chcesz poznać szczegóły?

Kontakt z VeloBank:
- ofertę, wniosek i decyzję o przyznaniu kredytu w procesie online,
- wsparcie eksperta hipotecznego na każdym kroku,
- kredyt do 90% wartości nieruchomości.





Wyrażam zgodę na przetwarzanie moich danych osobowych zawartych w formularzu na stronie adresowo.pl przez VeloBank S.A. z siedzibą w Warszawie przy Rondo Ignacego Daszyńskiego 2C (Bank), a tym samym na ich przetwarzanie, w tym profilowanie, przez Bank w celu marketingu produktów i usług Banku za pośrednictwem rozmowy telefonicznej i sms. Zgoda może być w każdej chwili wycofana. Cofnięcie zgody nie ma wpływu na zgodność z prawem przetwarzania danych przed jej wycofaniem.