Działka na sprzedaż bez pośredników
Letniki  

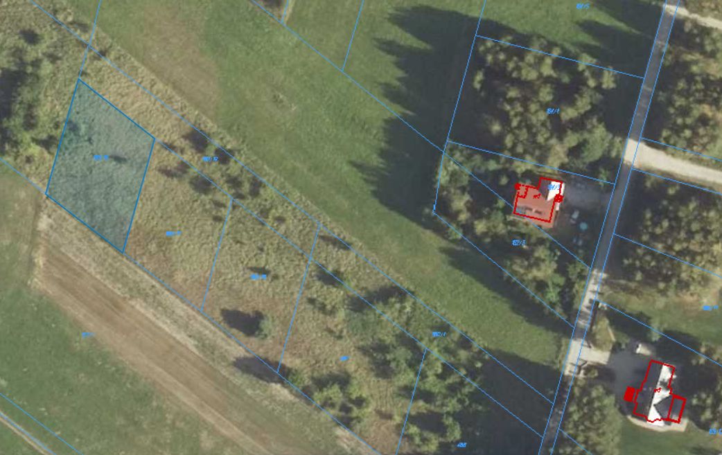
Działka rolno-budowlana Letniki. Zdjęcie 1

Działka na sprzedaż bez pośredników Letniki

180 000
180 zł/m²
1 000
Letniki - lokalizacja przybliżona
Bezpośrednio od właściciela

Jeśli nie potrzebujesz pośrednika, zaoszczędzisz około 5 400 zł. Potrzebujesz wsparcia? Skorzystaj z pomocy agenta.

Sprzedam działkę rolno-budowlaną o nr ewid. 180/16 na pograniczu miejscowości Podleńce/Letniki o powierzchni 1000 m2 i wymiarach ok. 29x35 m, przeznaczona pod zabudowę jednorodzinną . Spokojna i malownicza okolica, idealna dla miłośników natury, blisko Białegostoku i wszystkich udogodnień. Teren w bezpiecznej odległości od budowanych dróg szybkiego ruchu , co zapewnia ciszę i spokój , a zarazem szybki dojazd do granic Białegostoku ok. 7 km. Do przystanku autobusowego linia nr 400 około 10 minut pieszo. Wydane warunki zabudowy na budynek mieszkalny jednorodzinny parterowy z poddaszem użytkowy, wraz z niezbędnymi urządzeniami budowlanymi , w tym :
udział powierzchni zabudowy w stosunku do powierzchni działki do 15%
szerokość elewacji frontowej -15,5m z tolerancją do 20 %
wysokość projektowanego budynku do 8,7m
dach dwuspadowy o kacie nachylenia od 35 ' do 45 '
Studnia głębinowa, zbiornik szczelny o pojemności do 10m3 , wjazd z drogi gminnej ( zjazd ustalony w gminie ). Współwłasność w drodze wewnętrznej o szerokości 10 m, droga polna . Media w drodze gminnej: woda , prąd. Działka położona korzystnie względem stron świata oraz pozyskiwania energii z promieni słonecznych.
Zapraszam do kontaktu .

  • Letniki, gmina Dobrzyniewo Duże, powiat białostocki  
  • Na sprzedaż działka rolno-budowlana o powierzchni 1 000 m²  
  • Plan w serwisie geoportal.gov.pl Otwórz plan
  • Numer ewidencyjny działki 180/16
  • Dojazd polny
  • Ogrodzenie bez ogrodzenia
  • Media woda nieprzyłączona, szambo, prąd nieprzyłączony
  • Cena do negocjacji  
  • Oferta bezpośrednio od właściciela dodana ponad miesiąc temu i zaktualizowana dzisiaj
Ta nieruchomość może być Twoja od.. sprawdź
36000 zł (20%) Okres spłaty: 30 lat

Podobne działki na sprzedaż

8
Działka rolno-budowlana Bohdan

179 000

944

Działka w miejscowości Bohdan o powierzchni 944m2, 8km od Białegostoku. Działka w kształcie kwadratu o boku około 30m, jeden bok ogrodzony. Bardzo dobra lokalizacja, blisko od Białegostoku, 8 km od Auchan na ul. Produkcyjnej. Działka otoczona przyrodą, łąkami i lasami. Prąd już zgłoszony do podłącze...

Zobacz ogłoszenie
1
Działka rolno-budowlana Kopisk

150 000

3011

Kupię prywatnie działkę w okolicy wsi Kopisk / Zdroik (1500-3500 m²) Dzień dobry, szukam dla siebie działki pod zabudowę siedliskową lub zagrodową w okolicach miejscowości Kopisk, Zdroik lub Rybniki. Interesuje mnie grunt o powierzchni od 15 do 35 arów. (1500-3500mkw) Zależy mi na: Prywatnej trans...

Zobacz ogłoszenie
3
Działka rolno-budowlana Chraboły

185 000

1900

Sprzedam działkę w miejscowości Chraboły o numerze 209/1. Działka ogrodzona, z bezpośrednim dostępem do drogi asfaltowej. Więcej informacji na priv. Agencjom dziękuje.

Zobacz ogłoszenie
1
Działka rolno-budowlana Michałowo

120 000

7000

Atrakcyjna , duża działka w Michałowie ,ogrodzona,. Na działce studnia głębinowa. W pobliżu zieleń, ogródki działkowe,domy jednorodzinne.

Zobacz ogłoszenie
1
Działka rolno-budowlana Wierobie

190 000

1,54 ha

Na sprzedaż atrakcyjna działka rolno-budowlana o powierzchni 15 400 m² (1,5400 ha). Położona w gminie Gródek, powiat białostocki, województwo podlaskie. Numer działki: 90/11 Identyfikator: 200204_2.0034.90/11 Powierzchnia: 15 400 m² Dlaczego warto? * Duża powierzchnia - aż 1,54 ha daje wiele możliw...

Zobacz ogłoszenie
2
Działka rolno-budowlana Dobrzyniewo Duże, ul. Białostocka

199 500

1478

Sprzedam działkę w Dobrzyniewie Dużym przy ul. Białostockiej przy drodze asfaltowej oznaczoną w części graficznej w czwartej linii zabudowy (dojazd nieutwardzony) przeznaczoną pod zabudowę jednorodzinną o wymiarach ok 35 x 40 m i powierzchni 1478 m2. (135zł/m2) + udział w drodze dojazdowej. Działka ...

Zobacz ogłoszenie