Działka na sprzedaż bez pośredników
ul. Bazarowa Tuszyn

Działka rolna Tuszyn, ul. Bazarowa. Zdjęcie 1

Działka na sprzedaż bez pośredników Tuszyn ul. Bazarowa

65 000
33 zł/m²
1 945
Tuszyn, Bazarowa - lokalizacja przybliżona
Bezpośrednio od właściciela

Jeśli nie potrzebujesz pośrednika, zaoszczędzisz około 2 000 zł. Potrzebujesz wsparcia? Skorzystaj z pomocy agenta.

Sprzedam działkę rolną zlokalizowaną w Tuszynie (95-080)
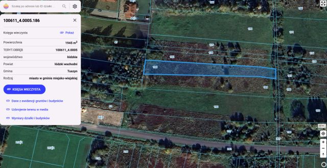
W pobliżu ulicy Bazarowej - obręb 5, działka 186.
Identyfikator działki z serwisu Geoportal: 100611_4.0005.186
Powierzchnia: 0,1945 ha (1945 m2)
Wymiary działki: ~130m x ~11m/16m

  • ul. Bazarowa, Tuszyn, powiat łódzki wschodni  
  • Na sprzedaż działka rolna o powierzchni 1 945 m²  
  • Plan w serwisie geoportal.gov.pl Otwórz plan
  • Numer ewidencyjny działki 186
  • Wymiary Wymiary działki: ~130m x ~11m/16m
  • Oferta bezpośrednio od właściciela dodana ponad tydzień temu
Ta nieruchomość może być Twoja od.. sprawdź
13000 zł (20%) Okres spłaty: 30 lat

Podobne działki na sprzedaż

1
Działka rolna Grodzisko

42 887

2508

Sprzedam dwie działki rolne jako całość. 100610_5.0005.76 100610_5.0005.108 Cena dotyczy jednej działki. Druga działka jest w osobnym ogłoszeniu. https://adresowo.pl/o/dzialka-rolna-rzgow-grodzisko-wesola-s2g7j9

Zobacz ogłoszenie
1
Działka rolna Długie

75 000

1 ha

Sprzedam ziemie rolna. Doskonały dostęp do wody, prądu i mediów. Do działki prowadzi nowy asfalt. Uszykowana przy ulicy doskonala pod zabudowę lub rekreacje

Zobacz ogłoszenie