Działka na sprzedaż bez pośredników
Grzywna  

Działka rolna Grzywna. Zdjęcie 1

Działka na sprzedaż bez pośredników Grzywna

515 000
50 zł/m²
10 300
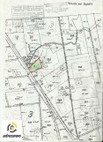
Grzywna - lokalizacja przybliżona
Bezpośrednio od właściciela

Jeśli nie potrzebujesz pośrednika, zaoszczędzisz około 15 500 zł. Potrzebujesz wsparcia? Skorzystaj z pomocy agenta.

Sprzedam atrakcyjną nieruchomość, stanowiącą gospodarstwo rolne o powierzchni 1,03 ha (jeden hektar trzysta metrów kwadratowych) oddalonej od Centrum Torunia około 12 km. Nieruchomość jest niezabudowana, nieuzbrojona, położona w Grzywnie, gmina Chełmża, powiat toruński i posiada bezpośredni dostęp do głównej drogi nr 91, stara A1. Działka rolna z możliwością przekształcenia na przemysłową lub budowlaną. W pobliżu strefa ekonomiczna Ostaszewo. Idealna dla prowadzenia działalności gospodarczej.
W skład tej działki wchodzą wyłącznie użytki rolne, grunty orne klasy III. Dla działki oznaczonej numerem 242/5, prowadzona jest księga wieczysta w Sądzie Rejonowym w Toruniu. W sąsiedztwie znajdują się inne grunty rolne i zabudowania. W pobliżu przystanek autobusowy oraz sklepy.
Teren płaski. Działka ma regularny, wydłużony kształt (patrz mapa); długość około 130 m, szerokość 80m.

Sprzedaż bezpośrednio od właściciela.
Pośrednikom nieruchomości, za współpracę z góry dziękuje.

W razie pytań proszę o kontakt .
Serdecznie polecam.

  • Grzywna, gmina Chełmża, powiat toruński  
  • Na sprzedaż działka rolna o powierzchni 1,03 ha (10 300 m²)  
  • Wymiary Długość: 130 m, szerokość: 80 m
  • Dojazd asfalt
  • Oferta bezpośrednio od właściciela dodana ponad miesiąc temu i zaktualizowana ponad tydzień temu
Ta nieruchomość może być Twoja od.. sprawdź
103000 zł (20%) Okres spłaty: 30 lat

Podobne działki na sprzedaż

3
Działka rolna Skwirynowo

350 000

2,5 ha

Sprzedam 2,5h ziemi rolnej zalesionej kilkunastoletnim lasem blisko Torunia. Ziemia V klasy możliwość podzielenia na mniejsze działki. Ziemia ma obiecującą lokalizację w niedalekiej przyszłości planowana jest przeprawa przez Wisłę, łącząca Ciechocinek z Toruniem. Przeprawa prawdopodobnie będzie prze...

Zobacz ogłoszenie
1
Działka rolna Zławieś Mała

350 000

5000

Sprzedam działkę rolną o powierzchni 5000 m2, położoną w miejscowości Zławieś Mała, pomiędzy Toruniem a Bydgoszczą. Bardzo dobry dojazd z drogi gminnej poprzez drogę wewnętrzną. Działka w trakcie procedury uzyskania warunków zabudowy. Wodociąg i kanalizacja znajdują się przy działce. Okolica spo...

Zobacz ogłoszenie
1
Działka rolna Ostaszewo

500 000

2,7 ha

Sprzedam działke rolna połozona w centrum miejscowości Ostaszewo Toruńskie o powierzchni 27000 m2 . Blisko szkoła 100m, sklep 100m , przystanek 250m. bezpośredni dostep do drogi wojewódzkiej o raz do drogi krajowej 250 m. Działka znajduje sie około 12km od Torunia i 10 km od Chełmży.

Zobacz ogłoszenie
1
Działka rolna Łążyn

517 500

3,45 ha

Sprzedam 3,45 ha ziemi rolnej - jedno pole, klasa III i IV. Cena: 150 tys. zł za hektar.

Zobacz ogłoszenie
1
Działka rolna Gutowo

340 000

4,28 ha

ziemia rolna ,łąki dwie działki o pow 2,59 hektara, 1,69 hektara nad kanałem Bydgoskim

Zobacz ogłoszenie
2
Działka rolna Wielka Nieszawka, ul. Zielona

430 000

8436

Sprzedam działkę rolną. Media prąd wod-kan. Działka bezpośrednio od właściciela. Cena do negocjacji

Zobacz ogłoszenie