Działka na sprzedaż
Rosanów  

Działka inwestycyjna Rosanów. Zdjęcie 1
Działka inwestycyjna Rosanów. Zdjęcie 2
Działka inwestycyjna Rosanów. Zdjęcie 3
Działka inwestycyjna Rosanów. Zdjęcie 4
Działka inwestycyjna Rosanów. Zdjęcie 5

Działka na sprzedaż Rosanów

1 250 000
89 zł/m²
13 971
Rosanów - lokalizacja przybliżona

Właściciel powierzył sprzedaż nieruchomości pośrednikowi. Możesz zadzwonić lub napisać do agenta za darmo.

Na sprzedaż duża działka inwestycyjna w Rosanowie - idealna pod rezydencję lub zabudowę deweloperską
Oferujemy na sprzedaż wyjątkową działkę o powierzchni 13 971 m² w malowniczej lokalizacji Rosanów, tuż przy Zgierzu.
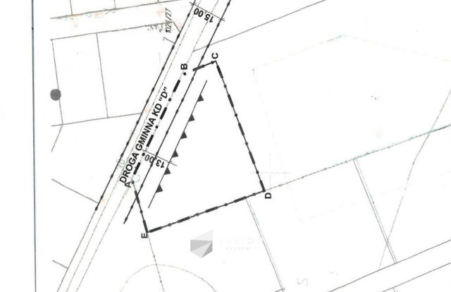
Wymiary działki:
Granica od ulicy 67m
Długość działki  160 - 201 m
Szerokość działki 74 - 78 m
Opis działki:

• Częściowo ogrodzona
• Warunki zabudowy dla domu jednorodzinnego
• Idealna pod zabudowę rezydencjonalną lub inwestycję deweloperską
• Teren z dużym potencjałem - możliwość podziału i sprzedaży części działek
• media w drodze

Działka jest podzielona na cztery części, każda o powierzchni nie mniejszej niż 3 000 m², co daje elastyczne możliwości zabudowy lub inwestycji. Teren jest częściowo ogrodzony i posiada warunki zabudowy dla budynku mieszkalnego jednorodzinnego.
To idealna propozycja dla osób szukających miejsca na rezydencję marzeń lub dla inwestorów planujących projekty deweloperskie.
Atuty lokalizacji:

• Bliskość Zgierza i Łodzi
• Malownicze tereny zielone i lasy idealne na spacery
• Niedaleko kąpielisko Malinka - idealne miejsce do wypoczynku i rekreacji

Okolica sprzyja rekreacji i kontaktowi z naturą - w niedalekiej odległości znajduje się kąpielisko Malinka oraz rozległe lasy, idealne na spacery i aktywny wypoczynek.
Promocyjna cena za sprzedaż całego terenu!
Zapraszamy do kontaktu w celu prezentacji działki i omówienia szczegółów inwestycji.

TEKTON PROPERTY TO NAJLEPSZE BIURO NIERUCHOMOŚCI W POLSCE WG KONKURSU LIDER NIERUCHOMOŚCI OTODOM 2020.
Znajdź nas w swoim mieście: Gdańsk, ul. Chmielna 10 - Warszawa, Plac Dąbrowskiego 1/311 - Kraków, ul. Józefitów 7/4 - Poznań, ul. Wojskowa 6/D6 - Łódź, ul. Zachodnia 70 pok. 223, Opole, Gen. Tadeusza Kościuszki 1, lok. 1C.
Podejmując współpracę z przedstawicielami Tekton Property zyskujesz:
- oszczędność czasu,
- weryfikację dokumentów od strony formalno-prawnej,
- wsparcie agenta na każdym etapie transakcji,
- pomoc przy uzyskaniu kredytu hipotecznego w kilkunastu bankach,
- wgląd do umów przed zawarciem aktu notarialnego u sprawdzonych Notariuszy,
- własne analizy makroekonomiczne i raporty z prowadzonych działań,
- dostęp do cen transakcyjnych z okolicy.
Skontaktuj się z opiekunem oferty, a on poprowadzi Cię przez wszystkie etapy transakcji.
Zapraszamy do współpracy!

Niniejsze ogłoszenie nie stanowi oferty handlowej w rozumieniu przepisów art. 66 k.c., a przedstawione dane mają charakter informacyjny.

  • Rosanów, gmina Zgierz, powiat zgierski  
  • Na sprzedaż działka inwestycyjna o powierzchni 1,4 ha (13 971 m²)  
  • Wymiary Długość: 201 m, szerokość: 78 m
  • Ogłoszenie biura nieruchomości  
  • Oferta dodana ponad miesiąc temu
Ta nieruchomość może być Twoja od.. sprawdź
250000 zł (20%) Okres spłaty: 30 lat

Podobne działki na sprzedaż

2
Działka inwestycyjna Słowik

1 279 300

1,28 ha

Mam na sprzedaż działkę oznaczoną w KW jako Łąki Trwałe. Powierzchnia działki: 12793 metrów kwadratowych. Numer działki: 171/8. Obecnie w studium jako: Łąki, Lasy. Lokalizacja: Przylega bezpośrednio do przyszłego węzła Słowik.

Zobacz ogłoszenie
16
Działka inwestycyjna Stary Imielnik

1 459 680

1,82 ha

Wyjątkowa działka usługowo‑rekreacyjna 1,8246 ha - Stary Imielnik (okolice Łodzi) Opis nieruchomości Na sprzedaż atrakcyjny grunt o powierzchni 1,8246 ha, obejmujący działki: 8/1, 9/1, 10/1 w miejscowości Stary Imielnik (zaledwie 200 m od granicy miasta Łódź). Dojazd drogą asfaltową - przedłużenie ...

Zobacz ogłoszenie
1
Działka inwestycyjna Parzęczew

zapytaj

2 ha

Teren po byłym GC w Parzęczewie wraz z budynkami ( halami ) 2 hektary gruntu . Zapraszam do zakupu

Zobacz ogłoszenie
12
Działka inwestycyjna Kolonia Głowa, ul. Główna

861 000

2001

Działka o powierzchni 2001 m2 wraz z projektem i pozwoleniem na budowę!!! 580m2 PUM, FV VAT. DUŻY POTENCJAŁ INWESTYCYJNY Położona w miejscowości Kolonia Głowa, ulica Główna 83A. Działka nr 221/6, obr 0005 Biała. Wymiary działki: 50 m x 40 m. Doskonała lokalizacja łącząca ciszę i naturę z łatwym ...

Zobacz ogłoszenie
1
Działka inwestycyjna Wola Błędowa

1 120 000

1,75 ha

Sprzedam działkę inwestycyjną z domem i budynkami gospodarczymi o powierzchni 1,75 ha. Działka znajduje się przy Drodze Krajowej nr 14, między Strykowem i Bratoszewicami. Więcej informacji udzielę telefonicznie.

Zobacz ogłoszenie
7
Działka inwestycyjna Emilia, ul. Zgierska

850 608

8592

Na sprzedaż działka inwestycyjna położona w miejscowości Emilia, w bardzo dobrej lokalizacji komunikacyjnej – pomiędzy drogą krajową DK91 Zgierz–Ozorków a wjazdem na autostradę A2. Nieruchomość stanowi interesującą propozycję dla inwestora poszukującego gruntu z dogodnym dojazdem oraz przeznaczeniem...

Zobacz ogłoszenie